
天津16区
提到武清大家都会想到什么?
是佛罗伦萨小镇?还是绿博园?
武清素有“京津走廊”美誉
是京津冀三省市的交汇点
是国家“京津冀一体化”战略的
重要核心区和桥头堡

2020年5月25日
天津市武清区发展和改革委员会
发布了三道关于武清区市域铁路项目
(通武廊轻轨)的政府采购信息公告
武清区市域铁路详细规划项目
武清区市域铁路交通接驳规划项目
武清区市域(郊)铁路工程可行性研究相关专题报告编制项目

这次招标有几个要点:
招标部门是天津市武清区发展和改革委员会,发改委招标说明项目已经进入审核实施的阶段。
从三个招标内容上看,也是到了施工前最后的准备阶段了。
“通武廊”轻轨路线
按照规划,"通武廊"轻轨线路从北辰区地铁5号线北辰科技园北延伸到武清区,到达武清区后改为地上轻轨线路,然后一直延伸到河北省廊坊,和当地规划兴建的北三县轻轨连接,最后直接到达北京城市副中心──通州区。

“通武廊”轻轨在武清区的走向
截止到目前为止,武清区市域(郊)铁路项目在武清区范围内已经透露出三个点,以及一段路程的走向。
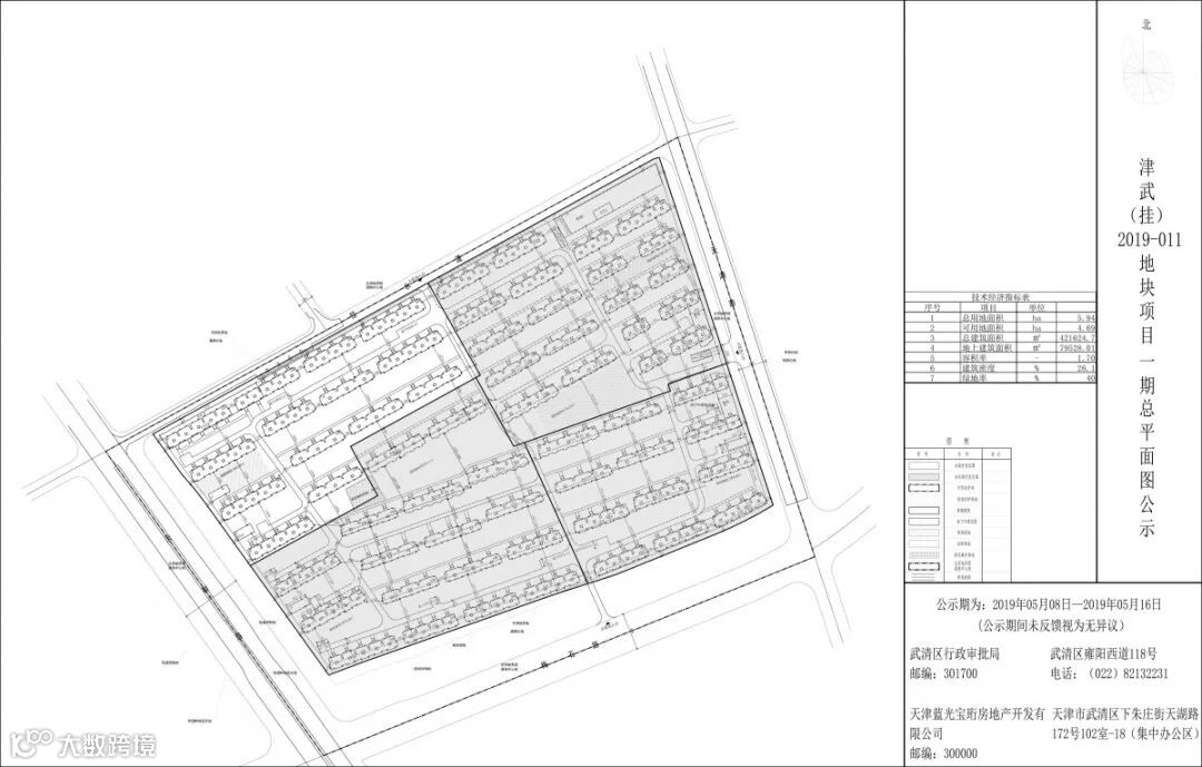
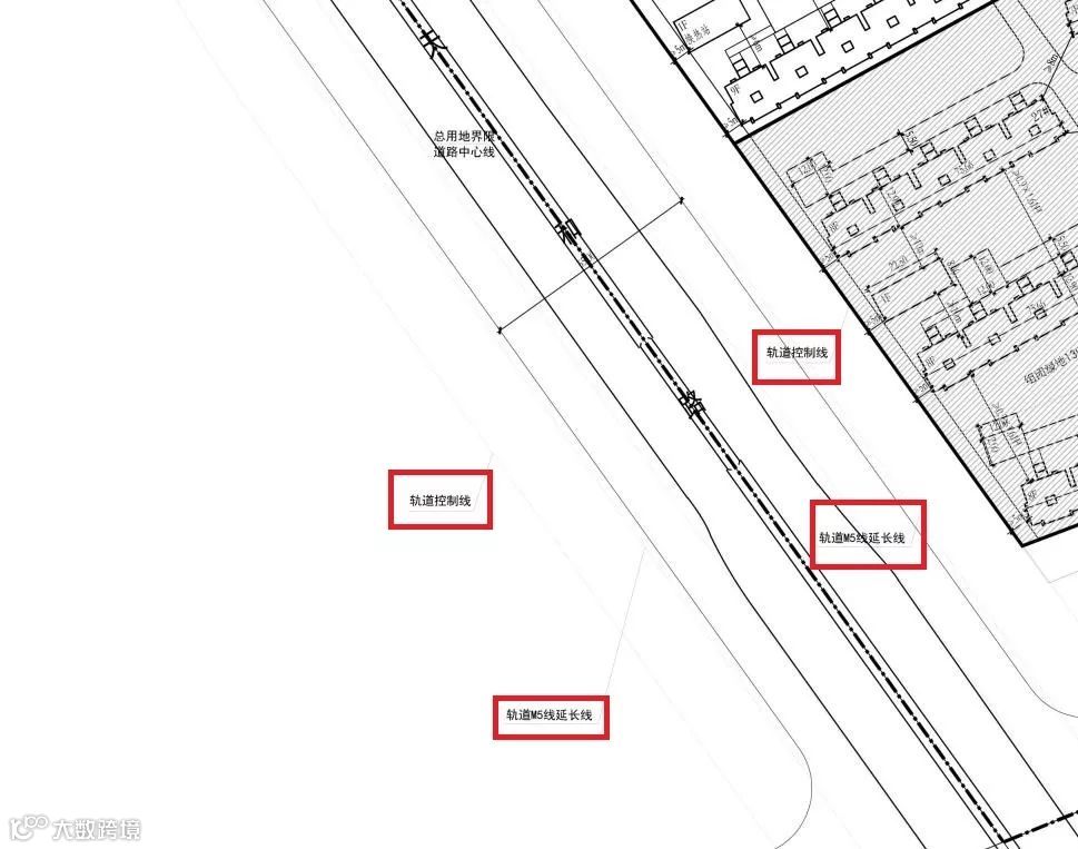
此前早些时候:天津市武清区行政审批局将天津市武清区津武(挂)2019-011地块一期项目总平面图进行公示。

在规划图的左下角标注有“轨道M5线延长线”和“轨道控制线”,标注控制范围为,天和路两侧,天和路两侧都有该标记。

此前与该地块同时出让的处于该地块西侧(天和路)的010地块,该地块也明确了,轨道交通控制线正好与本次公布的011地块轨道交通控制线相互印合。津武(挂)2019-010号地块挂牌文件注明“该地块东侧为规划轨道M5线延长线,建筑与其间距应满足相关规范要求。”

武清区2019-2020年优质土地推介文件里暴露通武廊轻轨南湖站点信息。
下图是武清区2019-2020年优质土地推介里的一幅图。根据该图,发现了通武廊轻轨【市域(郊)铁路】在南湖的确切站点。

关于这个地方是轨道交通站点,此前政民零距离也有过明确回复。

站点大体位置如下图所示

此前消息:天津市武清区行政审批局按照住房城乡建设部印发的《关于城乡规划公开公示的规定》以及相关规定要求,将天津市武清区津武(挂)2018-060居住项目总平面图进行公示。

图上赫然写着“规划市域轨道S2线”以及“规划轨道控制线”。

早些时候,武清区南蔡村镇总体规划(2010-2020年)修改已经区政府批复。
这里有一个非常重要的信息,就是增加了一条市域轨道!尽管这个图不算很清楚,但是我们认真的分辨还是能够看出来这条市域轨道从泗村店方向一直向北,穿过南蔡村镇以后,沿103国道一直北向而去!见图中黑色方块内的内容。

“通武廊”轻轨对天津的意义
天津地铁5号线北辰科技园北链接武清市域郊铁路,辐射武清相关区域,加强北辰区、武清区两区的交通联系。
从北辰科技园北向北进入武清区,这条轨道大部分路线是在武清行政区界内,但是对于北辰区的辐射带动作用同样不可小觑,因为这条铁路最终的目的地是北京通州副中心。
一旦建成,那么北辰区作为武清市域郊铁路的起始站点,北辰区就多了一条进京大通道!可以说,一条轨道可以带动北辰、武清两个区的发展。

图源 图虫-707803205881298946
看到这里,北辰、武清的小伙伴们
有没有感到惊喜?
快来留言区分享一下喜悦吧!

来源:天津本地宝


