玉兔在超强台风的基础上继续迅猛增强,一发不可收拾,力压山竹成为2018年全球最强热带气旋。中国中央气象台给了最大风速72米/秒(2分钟平均)。

按照气象专家预测来看,很大可能会在我国台湾东南部地区,进行“急转弯”北上,并且这个概率是最高的,中央气象台的模拟已经给出了转弯的路径,是模拟路径上的一个“新变化”,所以基本可以确定出它就是要转弯北上,按照路径的情况来看,所有的路径基本上都已经出现了转折点,并且是可能会靠近我国的24小时警戒线,这个转弯确实奇葩,可能会对我国的华南沿海或者是台湾局部地区产生影响。所以华南港口需要多观察台风的动向了。

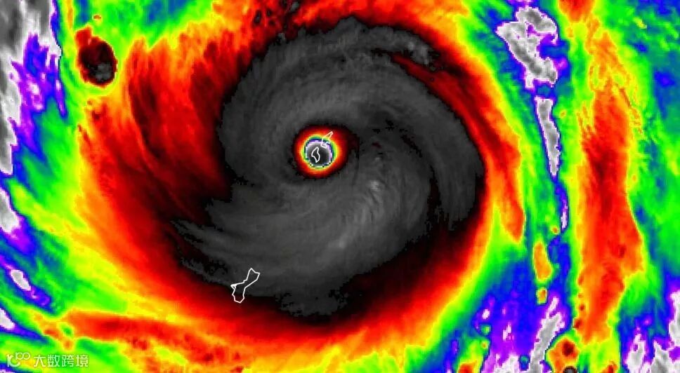
台 风 预 报
台风“玉兔”继续向西偏北方向移动
一、“玉兔”位于西北太平洋洋面
今年第26号台风(超强台风级)“玉兔”的中心,25日下午5点钟位于美国关岛西北方约365公里的西北太平洋洋面上,就是北纬16.1度、东经142.8度,中心附近最大风力17级以上(65米/秒),中心最低气压910百帕,七级风圈半径380-400公里,十级风圈半径120-140公里,十二级风圈半径80公里。
二、“玉兔”继续向西偏北方向移动
预计,“玉兔”将以每小时20公里左右的速度继续向西偏北方向移动,逐渐向台湾以东洋面靠近,强度变化不大。
29日前“玉兔”对我国近海海域无影响。

在玉兔成为风王的同时,西北太平洋的副热带高压也在增强,且增强超出预期。因此,玉兔的路径再次西调,将在10月29日前后靠近巴士海峡和菲律宾吕宋岛。10月底,玉兔有两种选择:如果副高继续偏强,它有可能进入南海;如果副高顶不住冷空气的压力,它将在巴士海峡附近急转弯向东离去。根据美国气象局和台湾气象预报,台风“玉兔”可能还是具有发展的空间,强度就与中央气象台预测的巅峰75米/秒保持一致。

不管玉兔怎么走,它靠近我国的可能性进一步增大。当然,由于我国沿海水温很低,冷空气很多,玉兔靠近我国时肯定不是风王了,但它对冷空气的吸引作用、对我国海区的大风影响都不容忽视。玉兔,既是2018年全球风王,是塞班岛和天宁岛的历史最强台风,也将是今年我国最冷的台风。
中央气象台预计转弯的时候大概在30日左右,强度大小在15级左右,风速为50m/s,所以还是一个强台风的级别,我们不容小视,就看未来的风圈半径有多大,影响我国台湾或者是华南沿海地区可能是存在的,毕竟是逼近了我国的24小时警戒线。
所以,各位外贸货代人目前还不用太担心,继续关注玉兔的相关路径即可。
10月的西太平洋地区真的会形成台风吗?
这其实是一个非常奇怪的现象,按照历史上平均值来看10月到12月之间基本上会有4到7个台风生成。1965年以后从来没有出现过10月空台。
而从近两年的数据看,10月生成的台风不仅有强度,甚至还会登陆中国。
2016年10月到12月一共生成8个台风。分别是:19号艾利、20号桑达、21号莎莉嘉、22号海马、23号米雷、24号马鞍、25号蝎虎、26号洛坦。期中10月的台风莎莉嘉先登陆海南省万宁市沿海,再登陆广西防城港东兴市沿海;而海马则登陆广东汕尾沿海;而12月的超强台风洛坦则强势袭击菲律宾。
2017年10月到12月同样生成8个台风。分别是:20号卡努、21号兰恩、22号苏拉、23号达维、24号海葵、25号鸿雁、26号启德、27号天秤。其中十月台风卡努登陆广东湛江徐闻沿海;兰恩则登陆日本;达维10月生成,11月登陆越南;另外11月生成的台风鸿雁再次登陆越南。
所以从历史数据看,10月要不生成台风真的很难,今年10月如果真的没有台风,那可算得上是半个世纪一遇的罕见现象了。
精彩导读:
各船东通知!10月20日上海口岸实行新舱单制度!违者无法上船!
©腾腾网
长按下方二维码关注我们
腾腾网
分享货代的最新资讯

