
近几年来Wigram 一直是基督城发展最迅速的新区之一,环境优美,交通便利,
此次推出由Magnolia Estate 开发的六块全幅大地:
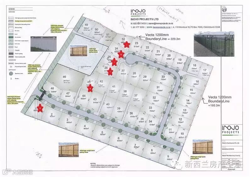
2 Little Gem Road, Wigram (Lot1 800sqm) Asking 280,000
5 Little Gem Road, Wigram (Lot45 762sqm) Asking 260,000
19 Little Gem Road, Wigram (Lot39 628sqm) Asking 248,000 Sold
25 Little Gem Road, Wigram (Lot36 618sqm) Asking 245,000 Sold
19 Pistacia Place, Wigram (Lot26 726sqm) Asking 250,000
21 Pistacia Place, Wigram (Lot25 590sqm) Asking 238,000
28 Pistacia Place, Wigram (Lot52 654sqm) Asking 265,000
30 Pistacia Place, Wigram (Lot24 590sqm) Asking 235,000
敬请致电Mark Wang (王龙)021 168 5386 or Michelle Fu 0210 251 8775 咨询议价,谢谢大家。





----------------------------推 广----------------------------


