
位于米兰MODA街区,GARIBALDI附近的VIA TITP SPERI有一家空店,总共500平,300平地面层+200平地下室店面。扇形店面,4个大门面,可视度超高。街区办公室集中,且旁边有一栋拥有2500多职员的办公中心,和一家134个房间的五星宾馆。周边办公室集中,流动人口消费阶层高。


办公中心

微软意大利新总部

五星酒店

对面为一家米兰知名高级意大利餐厅,生意火爆


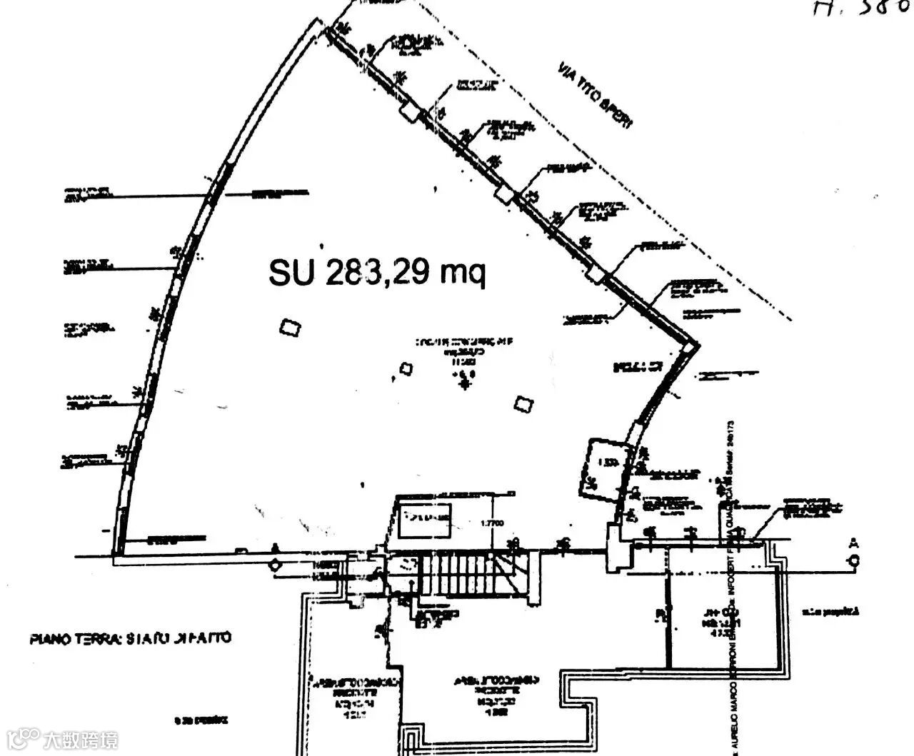
以下为图纸,分别为300平+200平,都属于店面。房租135000/每年,前三年可以优惠房租。无转让费。建议做高级中餐等。


维马(VIVILMATTONE)房地产投资公司期待您的垂询,对于您的如何疑问和要求,我们都有专业的中文团队为您解答,尽最大的能力为您提供贴心的服务是我们的工作态度。
公司网站:www.vivilmattone.it
微信公众号:asmservice(搜索微信公众号,点击关注,了解更多资源)
联系人:Joe Liau +39 3926666699
微信: jg52099 Email: joe.liau@vivilmattone.it
公司地址: Via Andrea Costa,4 Milano Italy


