售价: 1亿3140万日元(含税)≈836.62万RMB
土地面积:108.59㎡ (32.85坪)
类型 土地
道路 北侧约11M;
西侧约10M
区域 大阪市浪速区
地址 日本桥东4丁目
建蔽率 80%
容积率 400%
产权 永久所有权
土地形状尺寸图

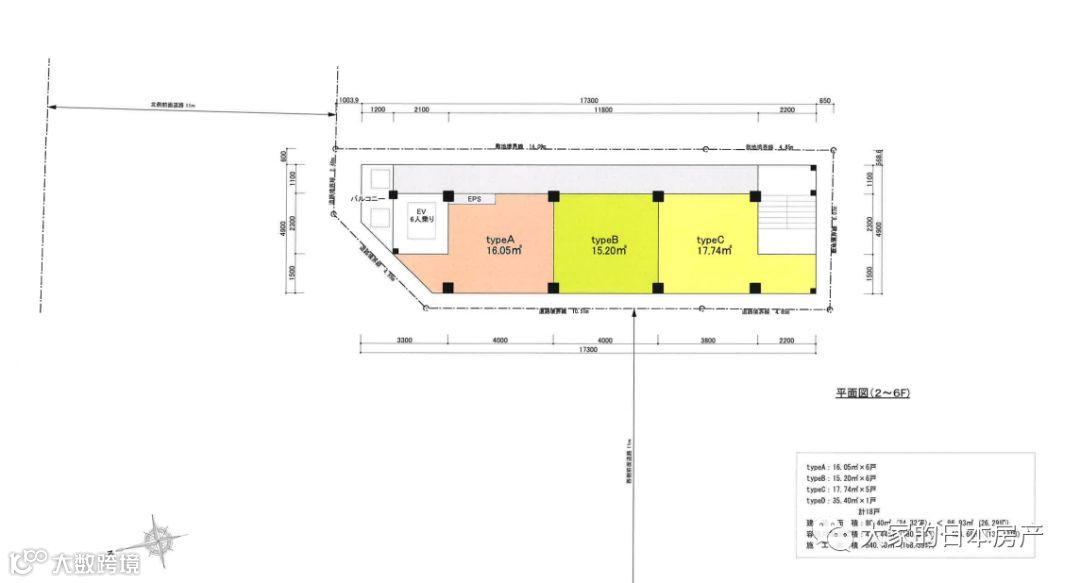
格局(建筑计划)



核心卖点:
1.本物件位于大阪市浪速区的核心位置,离大阪南部最大商圈-心斋桥难波商圈仅需步行10分钟,去大阪地标黑门市场、新世界通天阁也仅需步行10分钟,同时离最近车站仅需步行3分钟,交通方便至极。
2本土地面积为108.59㎡,形状方正,北侧和西侧两面邻主街,适合新建民宿楼、或者公寓等高收益项目。西邻日本桥电器街,东临夕陽ヶ丘大阪著名中学校区,附近便利店、邮局、学校、公园等齐全,便利的周边环境和交通预计会带来高入住率和高回报率。
3.另外附加一份总建筑面积540.13㎡、专有面积430.44㎡,共计18个房间的民宿楼(简易宿泊)建筑PLAN的运算收支,保守估计回报率7.29%。

区域优势:
浪速区位于大阪中央,是大阪市内,乃至通往和歌山,神户,奈良等地的交通枢纽。这一优越的地理位置条件使其商业工业都十分发达。所以浪速区有众多写字楼,也有大量复合型商业设施和商业街,例如日本桥电器街,以通天阁而闻名的“新世界”、以及“难波CITY”、“难波PARKS”等。另外,浪速区内以祈求生意兴旺而出名的今宫戎神社、以枯山水庭院而闻名的愿泉寺等被认为是具有灵验的神社佛阁。还有因大相扑三月场所的召开场所而闻名的大阪府立体育会馆、日本首家关于人权的综合博物馆大阪人权博物馆等等。同时去往心斋桥商圈和梅田商圈也都非常近,是一片繁华并充满大阪本土气息的区域。
交通路线:
大阪市营地下铁 阪堺線 「惠美须町」步行3分钟
周边地图

交通路线图

周边环境 心斋桥购物街


周边环境 难波商圈


周边环境 黑门市场


今天房产君推荐给大家的房子,可还满意?
其实房产君也汇集了更多优质房源,集合在这款方便实用的微信小程序内,点击图片即可到达,快来寻宝哦!
日本投资
我们是认真的


