

据CNET网站报道,随着月球内核冷却硬化,体积萎缩变小,月球表面正在形成叶状陡坡,而陡坡的形成规律与地球潮汐原理相似,其实地球引力也会对月球表面产生影响,只是不明显罢了。
月球绕地球公转,而地球和月球围绕太阳公转,地球和月球之间存在着一种平衡:离心力使它们相互排斥,重力使它们相互吸引。月球的引力也对地球产生明显的作用,尤其是海洋的潮起潮落。

事实证明,地球的重力也对月球产生作用,尽管月球表面没有液态水,因此地球重力所产生的作用不像潮汐涨落那么明显可以观察到。实际上,随着月球开始萎缩,地球正影响月球表面叶状陡坡的形成。
月球在萎缩,原因是月球内核在冷却,但这点其实不需要太担心。随着月球内核冷却,地幔中部分融化的区域将开始凝固。
月球的重力对地球产生作用的同时,地球的重力也对月球产生作用。
月球萎缩,其表面就会产生“皱纹”,并形成叶状陡坡,像在水星看到的一样,这种陡坡通常不长于10公里,大概十米高。
在2010年,NASA的月球勘测轨道器发现了14处此类陡坡,目前共计发现70处,这些陡坡随机分布在月球表面。这就NASA科学家得出月球正在萎缩结论的原因。

5年后,月球勘测轨道器已经获取了月球表面约75%的此类陡坡的高清图像,目前共计发现超过3200处陡坡。有趣的是,月球自身的引力并不会对叶状陡坡的朝向产生影响,这些陡坡的朝向都比较有规律。
美国航空航天博物馆首席研究作者兼史密森尼高级研究员托马斯·沃特斯(Thomas Watters)解释称,“这些陡坡朝向的形成规律其实受某些因素的影响,这些因素可能作用于整个月球,陡坡的朝向因而被重新设定。”

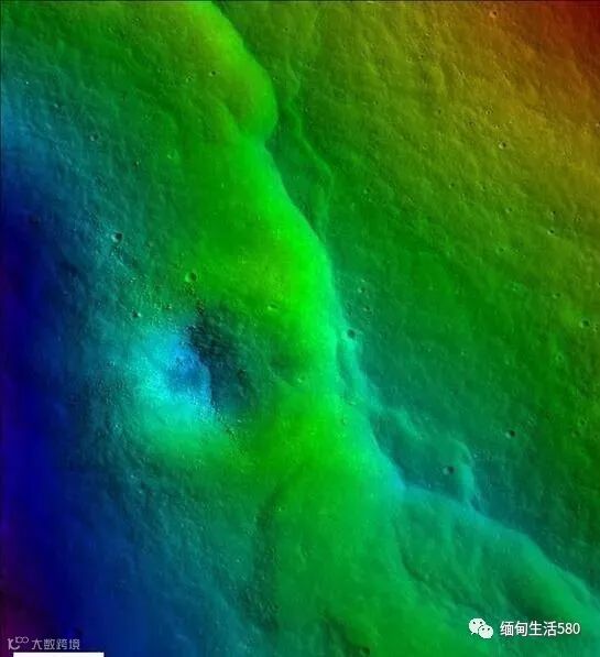
陡坡海拔图,蓝色代表低海拔,红色代表高海拔。

黑色线代表地球作用于月球上的潮汐力,红色部分为叶状陡坡。
这种力来自地球的地心引力,于月球作用于地球的潮汐力相同。地球作用于月球的潮汐力所对应的黑色线的朝向与叶状陡坡的朝向高度匹配。
亚历山大州立大学研究共同作者兼月球勘测轨道器摄像机主要侦查员马克·罗宾逊(Mark Robinson)表示,“任务开展初期,我们猜测潮汐力影响月球的地貌的形成,但我们没有足够资料来得出结论性报告。现在,我们得到了半个月球以上的清晰图像,我们可以着重研究月球的结构模式了”。
因为月球内核还在冷却,陡坡很可能还会继续形成,随着地球和月球的距离增大,影响叶状陡坡形成的力的作用也增强。这也是地震发生最频繁的时期。NASA希望有一天能监测到月球上的地震——“月震”。
为了凝聚全越南华人
团结互助





赶紧扫描下方二维码
即可进入自己所在的城市群

胡志明1号社群

胡志明2号社群

北江社群

越南总号

岘港社群

河内社群

海防社群

北宁社群

芽庄社群
看完的越南华人朋友们
赶紧转发本文到微信朋友圈,
让更多的同胞加入我们的社群。



