2017年,市政府出台了《关于推动城市经济发展的实施细则》,物流配送成为城市经济发展重点支持领域之一,明确将扶持重点放在城市综合物流园区建设、仓储资源整合提升以及城市配送体系构建等方面;同时对物流企业提档升级和供应链管理系统建设方面强化了扶持力度
随着我市电子商务、智能制造的快速发展,对物流行业提出了新的要求,加快推进传统运输、仓储企业向供应链上下游延伸服务,加快传统货运企业向规模化、现代化专业配送方向转型,全面提升供应链管理服务水平,提高供应链协同和整合能力。
江苏安达洲沿江国际物流有限公司紧抓时代脉搏,积极响应政府建设“大港口”的号召,在国家级常熟经济技术开发区先后征地200多亩,建造了3万多平方米的保税库和4万多平方米大型普货类公共仓库、5万多平方米的堆场集散基地,成立了 “安达洲沿江物流园”。公司于2017年,新取得编号常熟市2017G018地块、2017G019地块的国有土地使用权,新建仓储用房,完善供应链的建设。
新建仓储用房—8#、9#库工程
项目地址:常熟经济技术开发区问张路以北、通港路以南
项目占地面积:33.5亩
项目规模:建筑总面积28969.78平方米,3层立体仓库。最高檐高18.9米;最大跨度30米。
项目于2018年4月底开工,预计于2019年4月底竣工。

8#库效果图
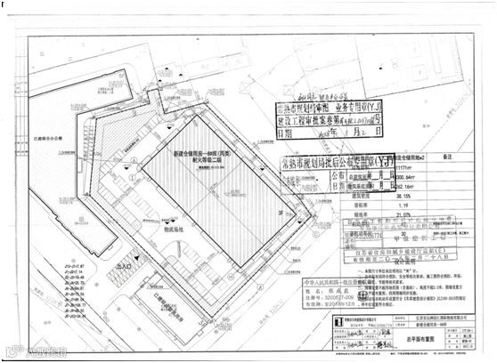
8#库总平面图


9#库效果图
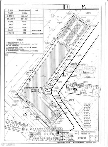
9#库总平面图

项目进度:基础浇筑完成
项目建成投产后,在宏观上可完善常熟经济技术开发区现代物流配送中心的载体建设和现代物流网的重要节点,在提高企业核心竞争力的同时,形成物流业务社会化,为发展专业化、社会化物流服务提供需求条件。微观上,将有效促进生产企业进行结构调整,使企业将原有的质量、成本、资金、营销管理转变为“供应链管理”的综合效益管理,完善企业内部流程,加强供应链上、下游业务的衔接,对商品实现动态管理,使生产企业和物流配送中心结成战略伙伴关系,发挥各自的产业核心优势,增产增效。同时,也为招商引资创造优良的信息、现代物流环境。
项目的进度,我们会持续报导......
·END·
专业服务·诚信所托


