关注我们有助于升职加薪噢!
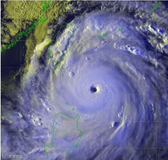
今年第9号台风“利奇马”已行成为超强台风。在高海温、强流出、丰沛水汽的共同作用下,利奇马今天继续增强,最大风力已增大至55米/秒(16级),不排除继续增强至17级的可能性。
中央气象台对“利奇马”最新预计路径显示,它的台风中心可能在本周末由南向北直穿上海市中心城区。对利奇马的路径,主流超级计算机模式已基本一致,那就是在8月10日登陆浙江,最大可能是台州和温州市沿海。
山东辽宁也须重视台风暴雨威胁,按照日本气象厅及其他几家机构预计的路径,利奇马登陆后将一路沿海北上横扫包邮区+山东,然后台风可能会在山东停滞下来盘旋几天。山东辽宁应该要特别注意台风暴雨和倒槽暴雨的严重威胁了!这种倒槽暴雨一点也不比台风本体暴雨弱。
9日起上海市风力将逐渐增大,9-11日陆地最大阵风可达8-10级,长江口区西部以及沿江沿海地区可达10-11级,长江口区东部可达11-12级,洋山港区和上海市沿海海面的阵风可达12-14级,11日夜里开始风力逐渐减小。
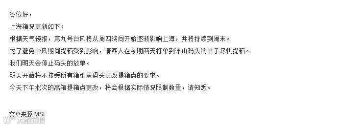
目前,全球最大船公司马士基已发出内部通知,将于明日停止上海洋山港的放单,并且不接受所有箱型从码头更改提箱点的要求,届时将无法提箱、还箱。目前,全球最大船公司马士基已发出内部通知,将于明日停止上海洋山港的放单,并且不接受所有箱型从码头更改提箱点的要求,届时将无法提箱、还箱。
现代商船对客户发出提前提箱通知,上海中远海运也于今日发出通知,呼吁大家根据无纸
现代商船对客户发出提前提箱通知,上海中远海运也于今日发出通知,呼吁大家根据无纸化指定的提箱点抓紧提箱。
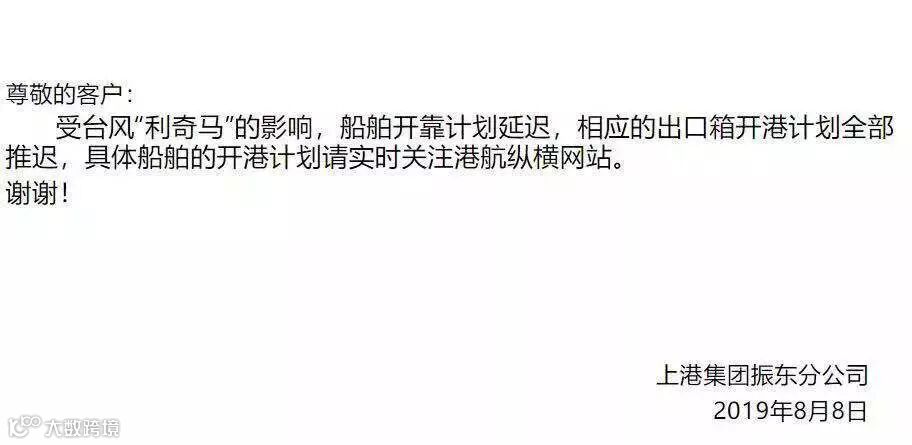
上港振东码头、上海浦东国际集装箱码头也于8日下午在其官方微信公众号上分别发布推迟开港公告与推迟出口箱开港,具体船舶的开港计划请实时关注港航纵横网站。
受“利奇马”影响,8日浙江南部沿海海面风力也将达到8-10级。浙江省气象台于7日17时发布海上台风警报,浙江省防指于7日18时启动防台风Ⅳ级应急响应。目前宁波港已开始捆扎空箱,宁波的堆场则将于明天中午开始捆扎。
上海泛亚航运有限公司发布通知称,受9号台风利奇马影响,IC9航线新重庆轮095S航次宁波港装卸货计划变化,该航次宁波进出口货物的交货期将受到一定影响
宁波海事局已宣布宁波沿海从8月8日12时起进入二级防台。根据《宁波海事局辖区水上防台监督管理规定》相关要求,船舶和水上防台单位在Ⅱ级防台--防台实施阶段应做到:
(一)所有船舶要做好封舱、活动部件加固以及通信设备的检查等工作,准备抗台。
(二)各水上防台单位应立即通知相关船舶停止装卸作业、过驳作业,并合理安排船舶有序离泊。
总长250米以上的大型船舶应立即驶离宁波港。
非空载的危险品船舶应立即驶离码头;液化气船、载有一级危险货物的船舶应立即驶离甬江。
从事水上水下施工作业船舶应立即停止作业,进入避风锚地。
客、渡船及观光旅游船应根据风力变化情况适时停渡停航,不得冒险航行。
(三)冲滩避台的船舶必须对加固情况进行检查,防止移位。
(四)准备靠泊码头抗台的船舶应增加系缆数量,及时调整系缆,确保全部系缆受力均匀。
(五)锚泊船舶应加强锚泊值班,对主机、辅机、锚机、舵机、通信设施等关键性设备状况进行检查。
(六)北仑锚泊点不得作为避风锚地使用,所有在此待泊的船舶应立即离开。
(七)港区应急救助船舶应进入待命状态。
两天前,福建海事局已于8月6日启动防抗台风“利奇马”四级响应,提前对防御此次台风进行针对性部署。
明后两天,台湾、福建东北部、浙江大部、上海等地将有大到暴雨,局地大暴雨。周末两天,“利奇马”和东移而来的高空槽共同合作,给我国东部沿海,包括辽宁、山东、江苏、上海、浙江等地带来大范围的暴雨到大暴雨。

