取向结构在血管、肌肉组织和骨骼等生物组织和器官中具有独特而重要的功能,促进了营养物质的转运、细胞的迁移与排列。例如,在骨骼中存在的从微观到宏观的取向结构赋予了其独特的力学支持功能,它的各向异性特征和多孔结构赋予了骨优异的细胞增殖、定向迁移和原位血管化能力。而在自然界中,也存在许多具有类似独特结构的天然材料。木材就是一类典型的具备各向异性和多级结构的天然材料,它具有沿排列方向运输液体、在互连的介孔结构中进行物质交换的特性。木质材料因其力学性能和物质交换能力而得到了广泛的研究,但在生物领域的应用仍然具有挑战性。
基于木材天然整齐排列的多孔纤维结构,该研究团队制备了取向结构复合材料。木材的天然结构和性能在制备过程中得到了完整的保留,表现出极佳的各向异性力学性能(纵向420MPa/径向20MPa)。此外,它还具有定向液体传输功能,以促进各种细胞的均匀播种,并且可以有效地诱导细胞迁移(约80%迁移率)和取向。而复合材料中的羟基磷灰石(HAp)与聚己内酯(PCL)的协同作用在很大程度上促进了细胞增殖和分化,为组织工程再生材料的研究提供了一种有前景的材料。

图1.(a)天然木材结构;(b)实验流程示意图:以天然木材为原料,通过去除木质素(DW)、原位合成HAp(WH)和真空PCL浸润(WHP)制备复合支架材料;(c)复合支架诱导的细胞迁移和取向示意图。
天然木材具有独特的三维通道结构,具有典型的各向异性特征。在整个制造过程中,通过控制PCL浓度和HAp原位合成时间,使内部通道孔径保持在合适的范围,并且其结构得到了最大程度的保留。

图2. (a)支架的方向定义;(b)天然木材的三维重建模型;(c)天然木材和复合支架材料的照片;(d)DW支架(e)WH支架和(f)WHP支架沿径向和纵向的SEM图像。
在对天然木材进行脱木素处理后,纤维素纤维之间的束缚被释放,其孔隙率得到提高,增加了复合改性的空间。然后,原位合成的HAp在纤维表面生长,提高了支架的生物活性,并且最后在纤维表面包裹的PCL协同HAp成为了细胞黏附增殖的良好微环境。

图3.不同支架不同方向的(a)压缩力学性能曲线;(b) 压缩模量;(c)(d) 循环压缩曲线;(e)(f)递进压缩曲线。
通过复合HAp和PCL,复合支架材料的力学性能和剪切性能得到提高,实验组支架的压缩模量可达420MPa,并且仍然保持着高度各向异性的特征。同时研究了各向异性对结构稳定性的影响,径向和纵向支架均表现出优异的力学缓冲性能。径向支架在相对较小的应变范围内具有极高的能量吸收能力,这意味着其具有较高抗冲击的结构稳定性。另一方面,纵向支架能够在较大的应变范围内吸收能量,产生了独特的力学缓冲作用。二者均反映了支架材料结构的高度稳定性。

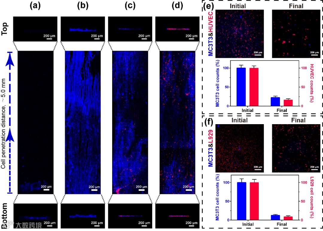
图3. (a)control支架和(b)WHP支架内MC3T3-E1(蓝色)细胞迁移情况;WHP支架中MC3T3-E1(蓝色)细胞与(c)HUVEC(红色)或(d)L929(红色)细胞共迁移情况。细胞培养皿中(e)MC3T3-E1细胞与HUVEC和(f)MC3T3-E1细胞与L929细胞共迁移前后的细胞量
基于木材内部高度取向排列的纤维素孔道结构,制备了一种可诱导细胞迁移的生物相容性支架。天然木材的各向异性特性赋予了复合支架材料独特的静态力学性能和动态力学性能,而复合的HAp与PCL协同促进了细胞增殖和成骨分化。此外,由取向孔道结构提供的细胞微环境可以在一定程度上引导细胞的迁移播种和取向生长,为新型生物复合支架的研究提供新的思路。
相关工作近期发表于ACS Applied Material & Interfaces,Wood-Derived Hybrid Scaffold with Highly Anisotropic Features on Mechanics and Liquid Transport toward Cell Migration and Alignment,文章的第一作者为四川大学高分子科学与工程学院研究生刘晋明,通讯作者为楚合涛副研究员和李建树教授。
论文连接:
https://pubs.acs.org/doi/10.1021/acsami.0c00646
相关进展
高分子科技原创文章。欢迎个人转发和分享,刊物或媒体如需转载,请联系邮箱:info@polymer.cn
诚邀投稿
欢迎专家学者提供稿件(论文、项目介绍、新技术、学术交流、单位新闻、参会信息、招聘招生等)至info@polymer.cn,并请注明详细联系信息。高分子科技®会及时推送,并同时发布在中国聚合物网上。
欢迎加入微信群 为满足高分子产学研各界同仁的要求,陆续开通了包括高分子专家学者群在内的几十个专项交流群,也包括高分子产业技术、企业家、博士、研究生、媒体期刊会展协会等群,全覆盖高分子产业或领域。目前汇聚了国内外高校科研院所及企业研发中心的上万名顶尖的专家学者、技术人员及企业家。
申请入群,请先加审核微信号PolymerChina (或长按下方二维码),并请一定注明:高分子+姓名+单位+职称(或学位)+领域(或行业),否则不予受理,资格经过审核后入相关专业群。
点
这里“阅读原文”,查看更多

