
本文基于国内实际工程项目为例,通过将Surfer软件差值生成的等值线导出的相对坐标,通过一定的算法转换为实际的三维坐标,然后利用EVS进行三维差值生成三维物探模型,对模型进行裁剪、剖切、筛选,最终形成一个三维的交付成果。
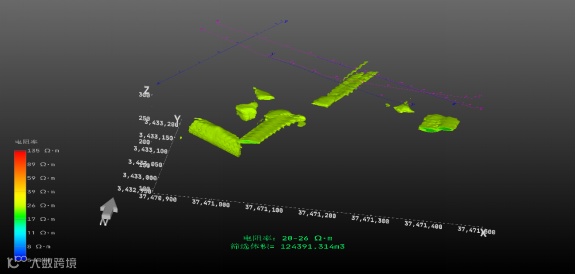
下图为EVS软件读取处理成三维坐标的物探数据,共计五条剖面。



然后对三维模型进行进一步的剖切,并可对所切割剖面添加等值线。

下图为仅显示等值线的效果。

Surfer二维差值成果与
EVS三维差值成果对比

Surfer软件基于二维差值生成的 1线剖面图

EVS切割三维模型所得1线剖面在三维空间中的呈现效果

EVS中展开的1线剖面图

Surfer软件基于二维差值生成的2线剖面图

EVS切割三维模型所得2线剖面在三维空间中的呈现效果

EVS中展开的2线剖面图

Surfer软件基于二维差值生成的3线剖面图

EVS切割三维模型所得3线剖面在三维空间中的呈现效果

EVS中展开的3线剖面图

Surfer软件基于二维差值生成的4线剖面图

EVS中展开的4线剖面图

Surfer软件基于二维差值生成的5线剖面图

切割三维模型所得5线剖面在三维空间中的呈现效果

EVS中展开的5线剖面图
UTUM BIM+GIS三维数字引擎支持上传完成的模型可以实现后台转换,实时轻量化预览模型,提供场景与模型文件关联,关联后实现模型在线浏览、在线管理,包括模型分类显示、BIM树管理、查看构件属性、框选、点选构件、三维测量等相关功能。
支持自动转换的模型格式: |
支持人工转换模型格式: |
rvt revit模型、ifc、obj、dae、skp、X、glb、txt/las点云模型、eff EVS地质模型 |
max/3ds 3dsMax模型 osgb 倾斜摄影模型 dgn BENTLEY模型 |
模型保留BIM几何信息、属性信息、材质信息以及内部关联信息,不损失任何有用信息。
BS端架构,不需要额外安装任何插件,打开浏览器即可访问,支持谷歌、搜狗、IE、QQ、360等支持WebGL的浏览器。
支持私有云部署,确保数据安全可控和高速访问,同时支持在公有云端部署,方便异地远程共享。
根据本项目BIM应用平台的要求,根据平台应用对象的不同,可分为企业级用户和项目级用户,这两类用户对应的模块功能也有所不同。
项目级用户功能包括:模型总览、视频监控、档案资料、工艺标准、汇报展示、合同管理、图纸模型、设计变更、设计校审、三维设计、图模对比、模拟分析、进度管理、安质管理、设备管理、施工日志、劳务实名、风险监测、造价算量等模块。
关于优土优木
18827424100
官网:www.utum.cn
邮箱:utum@utum.cn

