8月9日,桂林市自然资源局公示了由桂林华崛大数据科技有限公司委托中船第九设计研究院工程有限公司编制的《电科云(桂林)国际大数据发展中心项目》方案。

据悉,电科云国际大数据发展中心项目位于雁山区大学生创业产业园内,用地面积50497平方米,总建筑面积80710平方米,总投资约189亿元,建设周期30个月,机柜总规模为83100个,数据中心安全等级为A级,计划于2023年全部建成并投入运营。
据了解,该项目分三阶段进行建设,第一阶段投资约50亿,一期工程建设期为8个月,预计在2021年底完成约22000台机柜正式投入运营。三阶段建设完成8.3万个机柜并全部投入运营实现满载后,预计年收入达120亿元,纳税7.8亿元。
据《项目方案》介绍,项目达产后,年综合能源消费量不超过194534吨标准煤(当量值)/498570吨标准煤(等价值),计入桂林市能源消费总量中,其中桂林市通过存量等量置换方式按进度解决2/3。
项目电能利用效率(EEUE)修正值≤1.14,电源使用效率(PUE)为1.36。项目单位工业增加值能耗不高于0.72吨标准煤/万元。
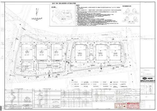
此次规划的电科云(桂林)国际大数据发展中心,位于雁山区科教园控规的C-3片区内,桂雁路南侧,桂阳公路西侧,规划设计条件中用地面积9.13公顷,容积率1.5、建筑密度45%、绿地率20%、建筑限高24米。其中工业厂房63152平方米、非生产性配套设施12214平方米,工业研发配套11871平方米,生活配套设施343平方米。其中,工业建筑包含数据中心、动力中心及相关附属建筑(垃圾房、门卫室)。
目前,电科云(桂林)国际大数据发展中心已入选“战略性新兴产业重大项目”,面向东盟、面向“一带一路”。
据了解,电科云(桂林)国际大数据发展中心项目是中国电子科技集团旗下全资子公司电科云(北京)科技公司在西南地区布局的全国五个大数据中心之一,满足云计算、大数据、智慧城市、智能制造以及物联网等创新业务发展需求,提供国家级高性能计算、云计算基础设施业务、宽带网络及增值服务、政务云和行业云应用服务等全产业链服务。
免责声明:部分文章来源于互联网及其他公众平台,内容仅供读者参考,不确保文章的准确性,如有侵犯版权请告知,我们将在24小时内删除!

欢迎加入DTDATA数据中心全生态服务平台,找机房、找品牌、找产品、找朋友,DTDATA团队为大家分享更多,敬请关注。服务热线:400-089-1045,投稿邮箱:service@dtdata.cn