

新计价标准取消工程签证审核权
6月12日16:00,资深讲师免费直播讲解:
https://v.plvideo.cn/watch/5081512?promoteId=Zua3aQ
扫码入群,免费领取干货资料+开播现金红包

从三者的发起人、产出的原因、在工程中的作用、法律效力、承担费用责任方,这几个关键点详细分析三者区别。

二者的区别:变更的出具人是设计单位;洽商的提出人可以是建设、施工、监理任何一方;达成共识后四方共同签认(包括设计)
重要性:合同变化的依据,结算的重要文件

2、洽商记录的要点:
①完成的工作(注意不是图纸之内的),最好按照中标清单要求进行描述
②写清完成工程量(尽量不要写钱数)
③在不配图的情况下,写清工作工序(按工程量计算规则可以算量的工序)参考清单计价规范或地区定额计算规则(或者咨询造价人员)
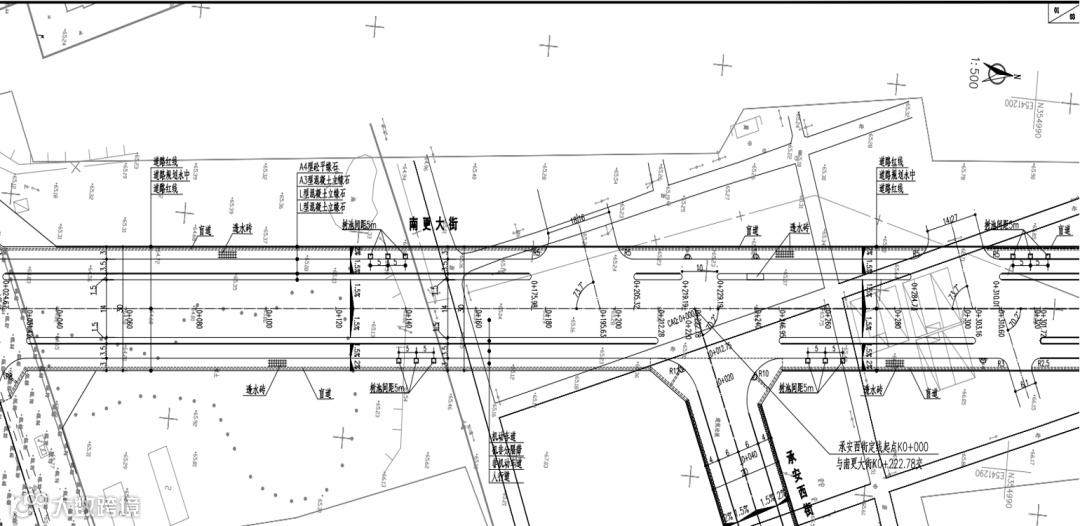
某新建道路综合市政工程,位于北京市密云区,道路全长600米,随路有给水、雨水、污水、中水、电力、燃气、电信等管道工程一同建设,建设手续合规合法,施工图纸完整齐全,前期通过招标单位确定了总承包单位。
2、施工图包括的内容和体现的信息
市政工程施工图,包括管网综合图、道路及各专业管道的专业施工图。
体现如下信息:
管道综合图:工程规划红线范围;各种管道布局、位置和走向;控制标高;重要节点(如交叉点和接驳点)的位置坐标

道路专业施工图:道路位置、纵横断面布置、道路结构布置、各部位的尺寸、标高等数据
各种管道专业施工图:详细的管道布局、结构、位置、标高、纵断等数据

3、实施中洽商、变更的情况
①遇障碍导致管道高程、位置局部调整
②增减管道附属构筑物(如井室、雨水口等)
③道路局部预留开口
1.现场变更:保存录音、添加照片(手机快看)
添加照片:照相-选择添加照片的位置-选择添加类别-添加-可看到添加结果


保存录音:标注工具-录音
选择命令-选择添加录音的位置-录入声音-可看到添加结果


2、图纸变更:形状标注、图纸对比
①上方工具栏-形状-云线、引线,标注定位变更点;

②图纸对比:对比施工前后差异
遇到图纸变更,CAD快速看图可以一键对比新旧图纸,快速找到2张图纸的差异部分。
点击图纸对比-选择变更前后两张图纸-开始对比-设置基准点-将图纸移动同一位置进行对比


6月12日16:00,我们不见不散
了解更多课程内容,点击免费学习:
https://v.plvideo.cn/watch/5081512?promoteId=Zua3aQ

来源:云图产品部
文案:青青
编辑:李梅 相杰
审核:王迪 珈琪


