|
|
|
|
|
|
|
|
|
|
|
|
|
|
|
|
|
|
|
|
|
|
|
|
|
|
|
|
|
|
|
|
|
|
|
-
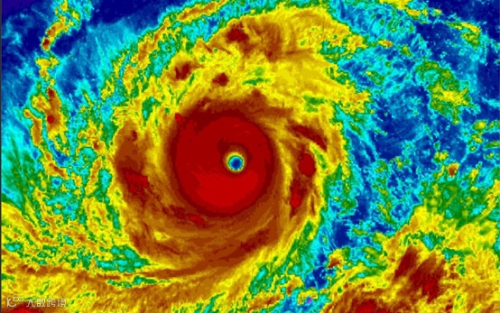
一是要有足够广阔的热带洋面,这个洋面不仅要求海水表面温度高于26.5℃,而且在包括60米深的这一层海水里,水温都要超过这个数值,这是因为台风在形成了维持旋转的过程中,需要消耗大量的能量,也只有富含热量的热带洋面,才能够提供给其如此巨大和源源不断的能量。 -
二是在台风形成之前,先在附近存在一个热带漩涡,它的作用就是给台风提供巨大的能量消耗来源。热带漩涡的气压值会比周边地区稍低,也就是弱低压现象。在弱低压的上方,高低空的风向风速差别小,这种情况有利于热量聚集,从而供给台风旋转时的巨大能量。 -
三是由于地球由西向东高速自转,热带气旋在地球自转时,因其体积庞大移动较慢,所以就会与地球表面进行摩擦,越靠近赤道摩擦力越强,这就引导气流逆时针旋转,从而形成台风。因为地球自转速度太快,台风跟不上,从而相对的让人感觉台风是在向西移动。不过,具备这些条件不等于就有台风发生。台风发生是一个复杂的过程,至今尚有很多科学问题需要解决。
-
蓝色预警信号——24小时内可能或者已经受热带气旋影响,沿海或者陆地平均风力达6级以上,或者阵风8级以上并可能持续。要求“相关水域水上作业和过往船舶采取积极的应对措施,如回港避风或者绕道航行等”。 -
黄色预警信号——24小时内可能或者已经受热带气旋影响,沿海或者陆地平均风力达8级以上,或者阵风10级以上并可能持续。要求“相关水域水上作业和过往船舶采取积极的应对措施,加固港口设施,防止船舶走锚、搁浅和碰撞”。 -
橙色预警信号——12小时内可能或者已经受热带气旋影响,沿海或者陆地平均风力达10级以上,或者阵风12级以上并可能持续。要求“相关水域水上作业和过往船舶应当回港避风,加固港口设施,防止船舶走锚、搁浅和碰撞”。 -
红色预警信号——6小时内可能或者已经受热带气旋影响,沿海或者陆地平均风力达12级以上,或者阵风达14级以上并可能持续。要求“回港避风的船舶要视情况采取积极措施,妥善安排人员留守或者转移到安全地带”。
更多航运资讯,请点击“阅读原文”


