在农事生产中,除了满足作物生长最基本的条件以外,为了追求作物的高品质、高产量等,我们也会根据作物的生长情况适当的施用一些微量元素。微量元素在作物体内含量虽少,但它对植物的生长发育起着至关重要的作用,是植物体内酶或辅酶的组成部分,具有很强的专一性,是作物生长发育不可缺少的和不可相互代替的,在农事生产中了解作物对某些微量元素的敏感程度十分重要。
常见的典型元素对作物生长的影响
No.1 硼
对硼肥有良好反应的作物有50种以上,大多数双子叶作物比单子叶作物需要较多的硼。多年生作物对硼的需要量高,对高硼环境的忍耐力也强。十字花科作物施用硼肥往往效果较好。根用作物对硼肥的需求量最大。许多豆科作物、纤维作物、果树和蔬菜对施硼肥也有良好的反应。禾本科作物对硼的需求量较少,但土壤中硼不足时,施硼肥也有良好的效果。
硼(B)的生理作用
硼是影响生殖器官发育,影响作物体内细胞的伸长和分裂,对开花结实有重要作用。
作物缺硼症状
作物缺硼一个重要的症状是子叶不能正常发育,叶内有大量碳水化合物积累,影响新生组织的形成、生长和发育,并使叶片变厚、叶柄变粗、裂化。植物生长点和幼嫩植物缺硼可造成多种病症,因植物不同而异。但最早的病症之一是根尖不能正常地延长,同时受抑制。在植物体内含硼量最高的部位是花,因此缺硼常表现为甘蓝型油菜“花而不实”,花期延长,结实很差。棉花出现“蕾而无花”、只现蕾不开花。小麦出现“穗而不实”,结实少,子粒不饱满。花生出现“存壳无仁”等现象。果树缺硼时,结果率低、果实畸形,果肉有木栓化或干枯现象。
对缺硼高度敏感的作物
甜菜、紫花苜蓿、三叶草、油菜、莴苣、花椰菜、大白菜、包心菜、芜青、甘蓝、芹菜、萝卜、芫荽、向日葵、葡萄、苹果、柠檬、油橄榄等。
对缺硼中度敏感的作物
苕子、花生、胡萝卜、番茄、菠菜、洋葱、马铃薯、辣椒、芥菜、甘薯、烟草、棉花、桃、梨、美州山核桃、樱桃、橄榄等。
对缺硼敏感度小的作物
大麦、小麦、燕麦、玉米、大豆、豇豆、蚕豆、亚麻、草莓等。
No.2 锌
锌在作物体内的含量,一般为干物质重量的十万分之几至百万分之几。尽管含量极少,但作用较大。实验证明,锌素还能提高玉米等作物的抗寒、抗旱、抗热、抗盐性。
锌(Zn)的生理作用
作物缺锌症状
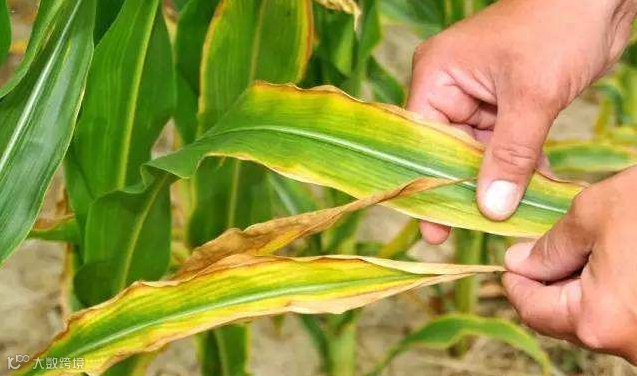
老组织先出现缺锌时生长素含量下降,作物生长受阻,节间缩短,叶片扩展受抑制,表现为小叶簇生,称为小叶病或簇叶病。玉米缺锌出现白条症。
对缺锌高度敏感的作物
玉米、水稻、大豆、蚕豆、荠麦、麻、蓖麻、烟草、向日葵、啤酒花、油桐、甘蓝、莴苣、芹菜、菠菜、桃、樱桃、苹果、梨、李、杏、柑橘、葡萄、核桃、石榴、木瓜、咖啡等。
对缺锌中度敏感的作物
高粱、紫花苜蓿、三叶草、马铃薯、番茄、甜菜、苏丹草、圆葱、番茄、大麦等。
对缺锌敏感度小的作物
豌豆、芦笋、禾本科牧草、胡萝卜、红花、薄荷等。
No.3 铜
铜是植物正常生命活动所必需的微量矿质元素,广泛参与各种生命活动,铜以阳离子(Cu2+)的形态被植物吸收,对维持植物正常的新陈代谢及生长发育具有极其重要的意义。
铜(Cu)的生理作用
铜在植物中的生理功能大多与酶的活动有关。这些含铜氧化酶类的重要生理功能是参与呼吸作用和光合作用,对叶绿素的形成有直接关系,对植物的氮代谢也有重大影响。
铜离子形成稳定性络合物的能力很强,它能和氨基酸、肽、蛋白质及其他有机物质形成,如各种含铜的酶和多种含铜蛋白质。各种含铜酶和含铜蛋白质有多方面的功能。
作物缺铜症状
作物缺铜时,叶绿素减少,叶片出现失绿现象,幼叶的叶尖因缺绿而黄化并干枯,最后叶片脱落;还会使繁殖器官的发育受到破坏。植物需铜量很微,植物一般不会缺铜。
对缺铜高度敏感的作物
大麦、小麦、燕麦、水稻、紫花苜蓿、莴苣、圆葱、菠菜、洋葱、胡萝卜、甜菜、苏丹草、柑橘、向日葵等。
对缺铜中度敏感的作物
玉米、高粱、三叶草、甘蓝、花椰菜、芹菜、黄瓜、萝卜、芫荽、芜青、菠萝、番茄、棉花、草莓、苹果、梨、桃等。
对缺铜敏感度小的作物
大豆、蚕豆、豌豆、油菜、芦笋等。
No.4 铁
一般来说,在根际区有还原能力并能分泌出某些能螯合铁的有机物质的作物(如燕麦能分泌麦根酸)能有效地利用土壤中的铁,较少发生缺铁现象;而有些作物由于其根际是氧化态的,所以极易出现缺铁现象。
铁(Fe)的生理作用
土壤中铁的含量和转化
铁在土壤中广泛存在,是土壤染色剂,和土壤的颜色有直接相关性。土壤中一般不会缺铁,植物缺铁的土壤本身不缺铁,只是铁的有效性差。铁在土壤中的含量一般为:3.8%。
作物缺铁症状
缺铁会严重影响植物生长。在植物体内,铁参与了植物呼吸作用中许多酶的合成,在其中起到一些重要的氧化-还原酶催化作用,主要参与植物细胞内的氧化还原反应和电子的传递。虽然铁不是叶绿素的组成成分,但却是植物合成叶绿素必需的营养元素。缺铁时,导致叶绿体合成过程中一些酶的活性显著降低,叶绿素合成受到制约,因此叶片会发生失绿黄化现象,比较典型的缺铁症状表现为叶脉间失绿黄化。植物缺铁主要表现在新梢幼叶上,叶片呈淡绿色,严重者全部为黄白色,叶脉呈明显的网纹状,但老叶仍保持绿色。
对缺铁高度敏感的作物
花生、大豆、蚕豆、高粱、花椰菜、甘蓝、番茄、薄荷、苏丹草、葡萄、草莓、柑橘、苹果、桃、梨、核桃、樱桃等。
对缺铁中度敏感的作物
燕麦、大麦、玉米、紫花苜蓿、棉花、亚麻等。
对缺铁敏感度小的作物
水稻、谷子、马铃薯、甜菜等。
No.5 锰
由于锰在作物体中的作用包括许多方面,因此,对锰肥有反应的农作物很多,包括粮、棉、油、糖、烟、果树和蔬菜等。
锰(Mn)的生理作用
土壤中的锰以三种氧化态存在(Mn2+、Mn3+、Mn4+),此外还以螯合状态存在。但主要以Mn2+的状态被植物吸收。锰对植物的生理作用是多方面的,它能参与光分解,提高植物的呼吸强度,促进碳水化合物的水解;调节体内氧化还原过程;也是许多酶的活化剂,促进氨基酸合成肽键,有利于蛋白质的合成;促进种子萌发和幼苗的早期生长;还能加速萌发和成熟,增加磷和钙的有效性。
植物缺锰症状
缺锰症状首先出现在幼叶上,缺乏时叶肉失绿,严重时失绿小片扩大,表现为叶脉间黄化,有时出现一系列的黑褐色斑点而停止生长。在高有机质土壤和锰含量较低的中性到碱性pH土壤中最常发生。缺锰的水稻叶片(水培)叶脉间断失绿,出现棕褐色小斑点,严重时斑点连成条状,扩大成斑块。
对缺锰高度敏感的作物
花生、大豆、豌豆、绿豆、燕麦、小麦、烟草、甜菜、马铃薯、洋葱、莴苣、菠菜、柠檬、苹果、桃、山核桃、柑橘等。
对缺锰中度敏感的作物
紫花苜蓿、田菁、苕子、豌豆、三叶草、牧草、大麦、玉米、高粱、亚麻、薄荷、甜菜、甘蓝、花椰菜、芹菜、番茄、芫荽、胡萝卜、棉花等。
对缺锰敏感度小的作物
黑麦、芦笋等。
No.6 钼
最容易缺钼的作物是豆科、十字花科植物和柑橘等。由于钼的生理作用与根瘤菌的固氮作用有关,豆科作物对钼有特殊的要求。
钼(Mo)的生理作用
是作物需求量最少的必需元素。MoO42-是硝酸还原酶、固氮酶的组成成分;是黄嘌吟脱氢酶及脱落酸合成中的某些氧化酶的成分,豆科植物根瘤菌的固氮特别需要钼,固氮酶是由铁蛋白和铁钼蛋白组成的。
作物缺钼症状
作物缺钼的共同表现是植株矮小,生长受抑制,叶片失绿,枯萎以致坏死。豆科作物缺钼,根瘤发育不良,瘤小而少,固氮能力弱或不能固氮,由于豆科作物对钼有特殊的需要,故易发生缺钼现象,为此,钼肥应首先集中施用在豆科作物上。缺钼在酸性土壤的可能性最大,砂质土壤缺钼要比粘质土壤常见。随着土壤pH升高,钼的有效性增大。
对缺钼高度敏感的作物
花生、三叶草、甘蓝、花椰菜、菠菜、莴苣、圆葱等。
对缺钼中度敏感的作物
紫花苜蓿、苕子、豌豆、大豆、蚕豆、绿豆、油菜、甘蓝、萝卜、芫荽、番茄、胡萝卜、柑橘等。
对缺钼敏感度小的作物
大麦、小麦、水稻、玉米、马铃薯、棉花、禾本科牧草等。
No.7 氯
Cl是一种比较特殊的营养元素,在微量元素中,植物含氯量最高,但大多数植物在生产过程中无明显的缺氯症状。氯参与光合作用,有利于碳水化合物的合成和转化。
氯(CI)的生理作用
作物缺氯症状
缺氯时植株叶小,叶尖干枯、黄化,凋萎,最终坏死,根生长慢,根尖粗,根细而短,侧根很少,不结果。在大田中很少发现缺氯,因为即使土壤供氯不足,它仍可通过雨水、灌溉水、大气提供给植物。氯过量则是生产中的一个问题。氯中毒表现为:叶缘似烧伤,早熟性发黄或脱落。
耐氯力强的作物
水稻、高粱、谷子、棉花、红麻、菠菜、甜菜、番茄、油菜、水萝卜、黄瓜、茄子等
耐氯力中等的作物
小麦、玉米、花生、大豆、豌豆、葱、菜花、甘蓝、芹菜、草莓、甘蔗、柑桔、亚麻、葡萄幼苗、山楂幼苗等
忌氯的作物
马铃薯、白菜、辣椒、莴笋、苋菜、苹果、葡萄、西瓜等
全国统一客户服务热线
400-6480-800
解锁更多精彩资讯
长
按
关
注

