“新规”条件下,室内步行街消防设计
以万达轻资产标准版研发为例
基准方中
文 | 信息技术管理中心 伊善龙

室内步行街是商业综合体项目经常采用的形式,作为串联多功能、多业态的纽带,对形成业态丰富、空间多元的购物空间发挥了重要作用。以万达购物中心为代表的商业综合体项目就是通过商业主力店、次主力店、室内步行街等组合而成,形成了大规模、大体量、复杂交通流线为主要特征的商业综合体。
室内步行街在满足楼板开口比例、自然排烟口面积等要求下,在权威部门消防专家的意见看来可被界定为半室外空间,其安全性高于疏散走道、楼梯前室甚至避难走道。伴随着室内步行街形式在商业综合体中应用日益广泛,针对步行街消防设计的规范、规定也于近年来陆续出台,包括《建筑设计防火规范》(BG50016-2014,下称新消规)和《公安部关于加强超大城市综合体消防安全工作的指导意见》(公消〔2016〕113号,下称公安部113号文),前者酝酿良久并于2015年5月1日正式执行,后者在2016年4月25日颁布。两者对室内步行街设计均在一定程度作出了新的更加严格的规定,也为步行街消防设计带来新的课题和挑战。
基准方中作为万达集团主要设计供方之一,与中建北京院、中建上海院、悉地国际(CCDI)一起作为总包入围了轻资产标准版的研发工作。研发工作分方案、施工图及BIM三个阶段,本文结合天消所意见、万达商业规划院及四家总包单位研发成果,对“新规”条件下室内步行街消防设计要点做简单介绍。
一、“新规”针对室内步行街的消防设计要点
新消规结合国内外商业建筑设项目及火灾案例,对防火疏散等进行了一定优化。其中新消规补充了步行街安全疏散的要求,而公安部113号文则对于大型商业综合体中步行街与主力店、地下室的防火分隔进行了更加严格的界定。
1、 《建筑设计防火规范》(BG50016-2014)延续了《商业建筑防火规范》(DGJ32/J67-2008)中对于步行街的规定,但在5.3.6条明确了有顶棚室内步行街的定义及排烟要求,要点如下:
1)步行街两侧建筑的耐火要求
(1)耐火等级不应低于二级;
(2)相邻商铺之间应设置耐火极限不低于2.00h的防火隔墙,每间商铺的建筑面积不宜大于300m2;
(3)相邻商铺之间面向步行街一侧应设置宽度不小于1.0m、耐火极限不低于1.00h的实体墙。

附图1-1
2)步行街参数要求
(1)两侧建筑相对面的最近距离均不应小于本规范对相应高度建筑的防火间距要求且不应小于9m;
(2)步行街的端部在各层敞开或在外墙上设置可开启的门窗,且可开启门窗的面积不应小于该部位外墙面积的一半;
(3)步行街的长度不宜大于300m;
(4)设置回廊或挑檐时,其出挑宽度不应小于1.2m;
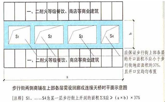
(5)步行街两侧的商铺在上部各层需设置回廊和连接天桥时,应保证步行街上部各层楼板的开口面积不应小于步行街地面面积的37%,且开口宜均匀布置。

附图1-2

附图1-3
3)步行街疏散要求
(1)步行街两侧建筑内的疏散楼梯应靠外墙设置并宜直通室外,确有困难时, 可在首层直接通至步行街;
(2)首层商铺的疏散门可直接通至步行街, 步行街内任一点到达最近室外安全地点的步行距离不应大于60m。步行街两侧建筑二层及以上各层商铺的疏散门至该层最近疏散楼梯口或其他安全出口的直线距离不应大于37.5m;

附图1-4


附图1-5
4)其他机电及构造要求
(1)步行街的顶棚材料应采用不燃或难燃材料,其承重结构的耐火极限不应低于1.00h;
(2)步行街内不应布置可燃物;
(3)步行街的顶棚下檐距地面的高度不应小于6.0m,顶棚应设置自然排烟设施并宜采用常开式的排烟口,且自然排烟口的有效面积不应小于步行街地面面积的25%;
(4)步行街两侧建筑的商铺外应每隔30m设置DN65的消火栓。

附图1-6
2、《公消113号文》在新消规基础上,针对大型城市综合体消防安全提出了更加严格的要求,要点如下。
1)对大型商业综合体的定义——总建筑面积大于10万平方米(含本数,不包括住宅和写字楼部分的建筑面积),集购物、旅店、展览、餐饮、文娱、交通枢纽等两种或两种以上功能于一体的超大城市综合体。
2)执行对象和尺度的变量空间——文中明确提出总建筑面积小于10万平方米的城市综合体参照执行,鼓励地方消防部门出台更加严格的地方消防安全管理规定和技术标准,故存在一定变量空间。
3)提高有顶步行街设防等级——对于利用建筑内部有顶棚的步行街进行安全疏散的超大城市综合体,其步行街两端出口之间的距离不应大于300米,步行街两侧的主力店应采用防火墙与步行街之间进行分隔,连通步行街的开口部位宽度不应大于9米,主力店应设置独立的疏散设施,不允许借用连通步行街的开口。步行街首层与地下层之间不应设置中庭、自动扶梯等上下连通的开口。步行街、中庭等共享空间设置的自动排烟窗,应具有与自动报警系统联动和手动控制开启的功能,并宜能依靠自身重力下滑开启。
4)严格防火分隔措施——严禁使用侧向或水平封闭式及折叠提升式防火卷帘,防火卷帘应当具备火灾时依靠自重下降自动封闭开口的功能。建筑外墙设置外装饰面或幕墙时,其空腔部位应在每层楼板处采用防火封堵材料封堵。电影院与其他区域应有完整的防火分隔并应设有独立的安全出口和疏散楼梯。餐饮场所食品加工区的明火部位应靠外墙设置,并应与其他部位进行防火分隔。商业营业厅每层的附属库房应采用耐火极限不低于3小时的防火隔墙和甲级防火门与其他部位进行分隔。
5)充分考虑灭火救援需求——在消防设计中应结合灭火救援实际需要设置灭火救援窗,灭火救援窗应直通建筑内的公共区域或走道;在设置机械排烟设施的同时,在建筑外墙上仍需设置一定数量可自然排除火灾烟热的固定窗;鼓励面积较大的地下商业建筑设置有利于人员疏散和灭火救援的下沉式广场。
二、“新规”解读及万达轻资产标准版项目研发
1、万达轻资产设计延续购物中心重资产设计模式
万达广场购物中心自2014年开始轻资产模式,轻资产购物中心在经营模式上与过去不同,业态管理、技术规范基本不变。

附图2-1 轻资产模块图示
2、万达消防标准高于部分国家规定
《购物中心设计安全技术标准》《万达广场购物中心建筑防火技术要求》等内部标准,是万达集团联合公安部消防研究部门进行的消防专项科研工作成果,对室内步行街的消防设计提出了非常严格、具体的要求。
本次轻资产标准版方案也特邀了天消所及国家消防工程技术研究中心专家,针对轻资产标准版方案进行了沟通,并就不同版本的共性问题和设计难点提出了建议。
3、新消规及公安部113号文之后的问题应对措施
1)新消规明确了步行街长度不大于300m的要求,但对于300m的计算方式是多动线还是单动线没有明确,尚存诸多理解。如下图,目前暂按照位于两个步行街开口之间分段计算。

附图2-2
但四家轻资产设计团队也有声音认为不能重复利用步行街开口分段计算,应按照如下模式计算,如下图:

附图2-3
目前轻资产暂按照分段共用步行街开口设计,并对增加步行街开口进行了条件预留,作为标准版的变量之一在项目落地时进行适当调整。
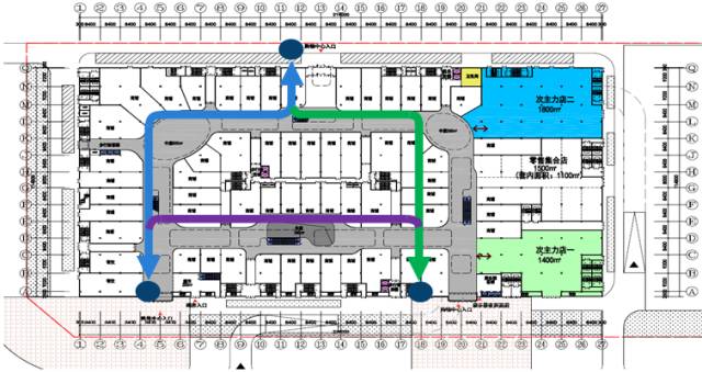
2)步行街两侧的主力店应采用防火墙与步行街之间进行分隔,这是对过去步行街与主力店借用疏散宽度、疏散距离的做法完全颠覆,对消防疏散设计提出了更高的要求。步行街与主力店不能共用楼梯,决定了在进行业态布局的时候,主力店宜集中靠一侧布置,且最好上下交通核联通、共用,避免疏散楼梯的浪费。
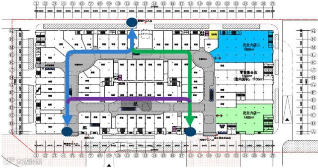
结合业态布局延续“重室内步行街、弃沿街商业界面”的模式,轻资产设计将主要人流向步行街内部引导;同时对消防规范进行教科书式的演绎,将大部分疏散楼梯布局在建筑外墙面。如下图,交通核主要沿外围布置,主力店(彩色填充)靠一侧布置且上下对齐。

附图2-4 步行街首层

附图2-5步行街二层
3)公安部113号文明确规定“连通步行街的开口部位宽度不应大于9米”。这条规定对商业步行街内部空间效果提出了挑战,如果采用实体墙过多,会严重影响商业界面与顾客体验。

附图2-6 B03标准版商业步行街内景
为达到既不影响空间效果又能够完成消防分隔的目的,基准方中轻资产设计团队建议采用防火卷帘+橱窗的模式,并作为样板推广至所有标准版中。如下图:

附图2-7
4)步行街首层与地下室之间不得设置中庭、自动扶梯等上下连通的开口,此要求对于超市入口的设置限定较大。基准标准版团队认为应将超市入口结合商业主入口独立设置,采用防火墙与商业中庭分隔开,或在商业主入口附近设置下沉广场作为地下超市入口。最终前者被万达商业规划院采用(附图2-8)。

附图2-8
5)由于业态及建筑分铺限制,部分步行街两侧商铺超过300平米,设计中将此类商铺按照主力店设计,疏散与步行街分开,并确保开口不大于9m。

附图2-9
6)公安部113号文规定餐饮场所食品加工区的明火部位应靠外墙设置,并应与其他部位进行防火分隔。在提袋消费日益电商化的今天,餐饮这种体验式消费是商业实体店主要的溢价点之一,餐饮条件对商铺货值更显得重要。
万达轻资产要求步行街顶层餐饮铺比例达到100%。基准方中设计团队结合近期轻资产项目消防审批数据,认为餐饮食品加工区的明火区域靠外墙设置主要是为了满足泄爆的要求,如果满足了通风、泄爆要求,并不一定如条文中靠外墙设置。我方提出集中操作方法得到了天消所认可,并引用在标准版消防评估报告中。具体做法如下:
(1)餐饮背道做开敞外廊;
(2)餐饮外走道顶部加隔层与餐饮明火部位连通;
(3)位于中央的餐饮商铺屋顶层开天窗,解决通风、泄爆等要求。

附图2-10
4、步行街消防难点及争议补救措施
轻资产步行街设计在研发设计过程中,能够满足大部分省市的消防要求,但考虑到公安部113号文中规定的“要根据本地城市综合体建设和发展实际,推动出台更加严格的地方消防安全管理规定和技术标准,有针对性地提高建筑消防安全设防等级”,部分环节尚存在争议。
对此消防专家通过条文解读以及条文解读背后的消防案例,从原理上进行补救,提出了部分解决措施,包括但不限于以下几点。
1)如前述步行街长度的界定上存在争议。从全国各地收集的信息显示,江浙沪闽等华东地区及江西省的消防部门不认可目前轻资产标准版的做法,在以上地区落地的标准版设计存在较大的修改变量。

附图2-11
天消所解释称,限定步行街长度的意义主要是为防止火灾一旦失控导致过火面积过大;另外,灭火救援时,消防人员必须进入建筑内,但火灾中的烟气大、能见度低,敷设水带距离长也不利于有效供水和消防人员安全进出,故控制这一长度有利于火灾扑救和保证救援人员安全。如果多条步行街组合在一起计算总长度,则可按照如下思路解决:避免因步行街过长,带来的火灾大规模蔓延的危害,和对火灾救援产生的不利影响。具体措施建议:
(1)增加1-2个主出入口;
(2)加强防火分隔,水平上,每大于2000m2,按防火分区的要求设防火墙,开口部位采用2m的T形防火墙;增大步行街的街宽;竖向上,增加回廊防火挑檐的宽度;
(3)保证消防救援人员更方便快速的进行到建筑内部,并展开灭火救援工作。增设适当的消防电梯和消防救援场地;
(4)增加排烟窗的开窗面积等。
2)步行街在中部的疏散楼梯到室外的距离偏长
《建规》5.3.6条第5款:“步行街两侧建筑内的疏散楼梯应靠外墙设置并宜直通室外,确有困难时,可在首层直接通至步行街;首层商铺的疏散门可直接通至步行街,步行街内任一点到达最近室外安全地点的步行距离不应大于60m。”
(1)采用扩大前室,注意前室内不能有管井门,商铺门不可避免使用前室连通,扩大前室不计入疏散距离。扩大前室长度宜控制在15m以内。

附图2-12
(2)采用避难走道,注意避难走道的长度不应大于60m,同时注意宽度不应小于担负疏散的楼梯的宽度之和。
当共用避难走道时:首层商铺应通过前室再通向避难走道,不增加走道宽度;疏散楼梯通向避难走道,走道宽度应相应叠加。
3)《建规》5.5.3条:“建筑的楼梯间宜通至屋面,通向屋面的门或窗应向外开启。”
将建筑的疏散楼梯通至屋顶,可使人员多一条疏散路径,有利于人员及时避难和逃生。因此,有条件时,如屋面为平屋面或具有连通相邻两楼梯间的屋面通道,均要尽量将楼梯间通至屋面。作为大型商业综合项目,设计人员与消防专家认为以下部位楼梯应考虑升到屋顶:
(1)建筑中部不能通向室外的楼梯上至屋面;
(2)步行街内按不大于5000m2一部上屋顶的楼梯布置,并沿着建筑的四周均匀布置。

附图2-13
三、室内步行街消防设计综述
万达广场作为十几年来中国商业建筑最具代表性的品牌之一,在适应城市发展与顾客购物习惯中不断优化、完善其产品业态,其采用的商业步行街模式也逐渐成熟,特别是在国内权威消防部门参与指导下,其室内商业步行街消防设计具有一定的代表性和重要的参考价值。
需要指出的是,轻资产标准版室内步行街消防设计并不是放之全国皆准的版本,而是在消防规范、公安部意见基础上,由万达集团及四家设计供方提出的一个相对理想的版本,根据不同地区的意见反馈,落地过程有各种变量修改,同时也对同类型的步行街设计更具指导性和参考价值。

欢迎加入
商业设计(交流群)


微信公众号“搜建筑”(ID:sjz9999)
合作、宣传、投稿
请加小编微信:soujianzhu006

