为了应对日益增长的交通需求,提升高速公路的通行能力,加快早期已建成的高速公路扩容改造,加大国省干线公路的改建力度,已经成为当前公路交通建设的核心工作。但目前常用的公路改扩建测量方案难以满足需求且存在系列问题,对此华测提出了高效、完整的应对方案,从道路改扩建测量痛点出发,通过实际案例和数据成果为大家展开分享。
公路改扩建测量难点
现有高速公路改扩建测量主要使用RTK、全站仪等测量方法,需要上道测量,时间受限,存在人员安全问题;且采集的数据不全,需要多次采集,效率低。
采用车载激光雷达的测量方法,仍然需要上道,道路两侧的边坡、沟坎,被围栏岗亭遮挡等地方扫描不到,没办法一次采集到位。
RTK公路测量 车载公路测量
华测高效应对方案
华测大黄蜂无人机BB4搭载AA15机载长测程激光雷达公路改扩建测量方案,既不上道,也能一“扫”到位,同时还能一次采集获取完整的道路及附属构筑物真实点云及影像数据。
华测自研的三维数据智能解算软件CoPre,可以基于标靶点通过点云纠正和平差提高点云精度,满足改扩建公路的精度要求。标靶点布设在高速公路外围,避免人员上道测量。
搭配华测自研三维数据成果智能生产软件CoProcess,进行地面点自动滤波,提取道路标线边线,快速生成横纵断面。整套方案外业可控性高,内业数据精度高,具有高效、完整的特点。
BB4无人机搭载AA15测量作业
接下来,我们以某地部分高速路段改扩建测量为例,为大家介绍作业流程和数据成果及应用。
公路改扩建案例
项目概况
测区为两条单向6公里的带状公路,需要将每条道路扩宽,分别增加1条车道来改善车辆运行状况。
道路现状
作业流程
布设标靶是公路改扩建测量很重要的一环,在道路两侧50m内布设标靶,相邻标靶点的间距控制在200m以内,标靶板45°朝向航线,标靶点使用定制标靶板,以保证较好的扫描效果。
标靶板布设点位示意
布设标靶
使用BB4搭载AA15飞行一个架次约30min(速度7m/s)完成6Km带状数据采集。AA15机载激光雷达系统操作简单,其独特的性能设计,将测量光束从三个不同的方向连续对地扫描,获取高密度、更完整的地面点云。对比RTK、车载扫描方式,不用上道测量,一次采集即可获取多种传感器数据,实现影像与点云数据融合,提高外业效率,保证人员安全。
安装设备
AA15机载激光雷达系统最大可发射每秒200万点,75°视场角激光发射能量更集中,点云利用率高,极大提高点云成果密度,非常适合高精度的道路要素提取应用。150m重复测距精度5mm,最大程度保证测量精度。对比RTK,AA15能高精度还原道路构筑物特征。
1)基于标靶点布设提高点云精度
无需输入复杂参数,使用华测三维数据智能解算软件CoPre进行点云数据一键化处理,通过点云纠正和平差功能,提高解算后点云数据的精度。
标靶扫描效果
机载点云数据扫描清晰可靠,可以进行精确拟合刺点,纠正原始点云数据,路面激光点云的绝对精度达到2cm,满足公路改扩建的精度要求。点密度与车载点云相当,能准确反映道路及附属构筑物真实情况,为数据提取及管理提供有效支撑。
点云高程中误差1.5cm,符合2cm精度要求
2)公路及附属构筑物数据完整,一次采集到位
测区点云
路面点云,道路标线清晰
路边环境点云,对比车载数据采集更全
路侧涵洞点云
路中间排水沟点云
路中间排水沟剖面
电线交跨段点云
电线交跨段剖面
成果应用
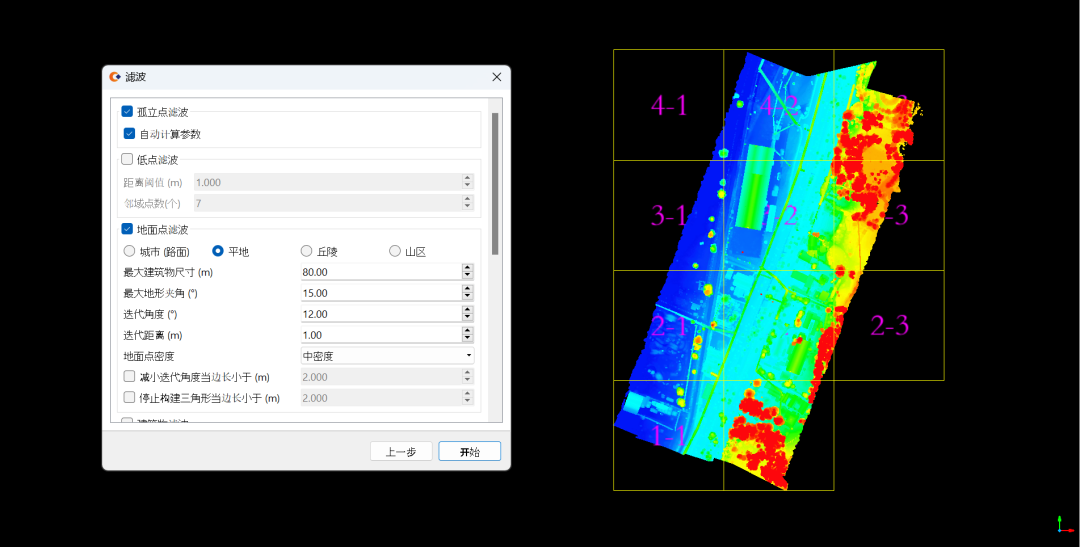
选择测区地形,用CoProcess内置自适应地面点滤波算法,进行地面点自动滤波。
一键自动滤波处理
CoProcess智能要素提取模块,支持道路实线、虚线的快速追踪提取,可自动获取线宽及线类型参数,追踪提取率及类型识别准确率优于90%。
道路标线,边线提取
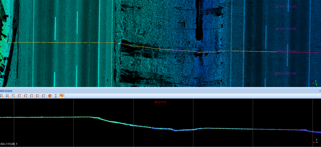
与传统RTK不同,点云对地面细节描绘更丰富的同时,也为手工绘制断面增加了工作量。但通过华测自研三维数据成果智能生产软件CoProcess,可以直接导入设计文件,自动生成横纵断面,并根据点云的信息自动生成横纵断面。在一些特殊地形,如道路边的沟坎,也可以支持人工手动编辑。在断面生成好后,可以直接导出设计需要的断面格式或者CAD图形,直接提交成果。
断面效果,原始点云
断面效果,地面点
方案总结
华测BB4搭载AA15机载激光雷达测量作业,作为一种先进的集成测量技术,能有效解决传统RTK公路改扩建测量周期长、上道安全性问题。同时对比车载激光雷达测量可实现一次获取完整的、满足2cm精度需求的点云数据,一次“扫”到位。整个项目投入2人即可保质保量完成,外业飞行一个架次30min采集到包含车道、道路附属构筑物、交跨电力线等完整数据,不用补测也无需上道。
伴随华测自研的CoPre、CoProcess等高度自动化数据处理软件,内业1人即可处理一键解算、点云纠正、自动滤波、道路标线边线提取,道路横纵断面快速生成等复杂成果,整体数据处理水平和处理效率有极大提升。软件成熟度高,已在多家交通行业用户单位应用于实际项目生产,后续我们将持续创新突破,研发更多适用于各行业生产的新功能,解决行业难题和痛点,进一步为客户降本增效。
注释:
*本页面所列出的各项参数数值均为理论值或华测导航测试人员在特定受控测试环境下测得值(请见各项具体说明),实际使用中可能因产品个体差异、固件版本、使用条件、使用方式和使用环境等不同使得结果或有不同程度的差异,请以实际使用的情况为准。
**为提供尽可能准确的产品信息、参数数值,华测导航可能实时对本页面的文字表述、参数数值等内容进行调整和修正,以求与实际产品性能、规格等信息相匹配。由于产品批次和生产供应因素等实时变化,如却有必要进行前述修改和调整的,恕不专门通知,请以官网实时信息为准。

