壹 、引言:
首先如你所见,此篇文章致力于尽可能展示中国有分布的木虱总科的属的个别(若干)种的图片以供鉴赏。
其次做个自我介绍,我是渴望盛夏的避谭蛛,QQ同名,是电力相关专业的大学生,但是更喜欢生物,昆虫资料整理纯粹是为爱发电,愿与诸位共勉。
最后,图片来源我均标明,若有侵权还望及时反馈,若有纰漏和错误,还恳请各位专家批评指正,若有文章排版布局等意见,还请各位提出。
贰、文章目录:
本文分类参考自
https://www.checklistbank.org/
中
条目(截止至本文图片部分完成时间2025年10月7日),还请甄别。
图源皆为网站截图
半翅目-胸喙亚目Sternorrhyncha,旗下物种可大概分为蚜虫,蚧壳虫,木虱,粉虱这四类。这类昆虫是一类体型微小的、植食性的、口器为刺吸式的昆虫,经常见于各种农作物,各种林木,行道树,果树,甚至人们家中饲养的观赏花卉和其他种类的观赏植物上,它们一般在寄主植物上聚集着生活。如下图
某种蚜虫聚集生活
图源见水印
某种蚧聚集生活
图源
https://genent.cals.ncsu.edu/insect-identification/order-hemiptera-suborder-homoptera/family-coccoidea/
某种木虱聚集生活
图源https://insectaintegration.com/archives/16693
某种粉虱聚集生活
图源
https://www.southernalpsphotography.com/Wildlife/Insects/True-bugs-cicadas-and-aphids/Aleyrodidae
而本期的主角为:木虱总科Psylloidea。
木虱分布于世界各地,主要取食多年生的林木果树等双子叶植物,其食性高度专化,飞翔能力弱,扩散迁移能力差,有些种类是农、林、牧业的重要害虫,可造成一定的危害和损失。木虱由于体小、生活环境隐蔽等原因,往往不易被人们注意。
木虱的生活史在热带是整年进行的,但生长率受气候和寄主植物因素控制,而且有些种类有滞育现象(卢川川,邓浩仁,1989);在北温带和北极带的木虱,当植物过冬时停止发育,木虱会为了生存而与植物协同过冬(Vondraceck,1957)。
而对于不同种类的木虱,过冬方式不完全一致:
①木虱越冬一般以成虫越冬,如中国梨喀木虱Cacopsylla chinensis。
②少数以卵越冬,如梧桐裂木虱Carsidara limbata,过冬卵一般产在芽鳞上的隐蔽处。
③以若虫过冬的种类,如Cacopsylla ambigua栖居在寄主植物喜欢栖居的小地方,如芽鳞内、疤痕处和树皮缝中。
④以成虫过冬的种类,很少在它们的寄主植物上,大部分分散到周围的各种植物的隐蔽处,在山东、北京,合欢羞木虱Acizzia jamatonica、槐豆木虱 Cyamophila willieti喜欢在寄主植物附近的针叶树上,黄栌丽木虱Calophya rhois在北京则多在寄主植物附近的针叶树、丁香树上,历年春天再回到真正的寄主植物上交配产卵。
对于木虱的发育为不完全变态发育,对于木虱的卵,若虫,成虫的一些生活特性,可以简要概述为如下三点:
①卵:木虱的卵形式多样,但基部几乎都具有卵柄,卵通过卵基部的卵柄插人植物组织吸收水分,如果将卵柄由植物组织中取出卵就会干瘪(White,1968a)。植物组织任何的变化,都会影响卵对水分的吸收(Catling, 1971)。
②若虫:木虱若虫为防止水分丢失对干燥是非常敏感的,特别是高温季节,是对木虱种群最主要的抑制因素(Atwalet al. 1970;Catling&Annecke,1968;Green&.Catling,1971);若虫蜕皮最敏感的是水分,因此若虫背腹扁平,表面率缩小,分泌蜜露均能高度减少水分的丢失,一些种类的若虫可分泌蜡液而形成一种蜡壳,覆盖于体背面的虫瘿口部,防止水分丢失,而这种形式在中国造瘿木虱中也很常见(杨集昆,李法圣,1982c)。而其他一些种类,有的生活在湿度缓冲的卷叶中,如中国梨喀木虱Cacopsylla chinensis。有的生活在虫瘿中,如木荷瘿木虱Cecidopsylla schimae。有些自由生活的种类为防止干燥丢失水分,生活在叶腋和芽鳞内或生活在分泌而形成的蜡丝、蜡粉或叶背面的绒毛中,如桑异脉木虱Anomoneura mori。
③成虫:木虱成虫的飞翔能力是十分有限的,不过某些木虱随气流可长距离飞翔,Glick(1939)记载Paratrioza cockerelli被风长距离扩散达13km以外,落到隐蔽植物上过冬(Hodkinson,1972);风助扩散短的距离(200m以上),在很多种类中是普通的现象(Clark,1962;Rasmy&MacPhee,1970;Watmough,1968b)。
此外,木虱可以在多年生的木本植物上完成它的生活史,某些温带的木虱种类具有要转移到地面覆盖植物上越冬的习性。木虱为有性繁殖,但繁殖率却比较低,因此木虱需稳定的栖境。
而在吸食植物的同时,木虱也能传播一些植物疾病:如柑橘呆木虱Diaphorina citri传播柑橘黄龙病,有些植物由于中国梨喀木虱Cacopsylla chinensis的危害感染各种霉病等。
简要的介绍完毕,接下来是图片鉴赏环节:
一、斑木虱科 Aphalaridae
广布于全世界,但优势于全北界。
1.棘木虱属Togepsylla
Kuwayama, 1931
改自 半木虱属Hemipteripsylla Yang & Li,1981
山鸡椒棘木虱Togepsylla matsumurana
图源
https://blog.tamagaro.net/?p=1233
2.明木虱属Crastina Loginova,1964
山地明木虱Crastina montana
A.头;B.触角;C.前翅;D.后翅;G.头、胸侧视,示前胸侧板
图源参考资料①
3.柽木虱属Colposcenia Enderlein,1929
柽柳柽木虱Colposcenia aliena
图源参考资料②
4.斑木虱属Aphalara Förster, 1848
萹蓄斑木虱Aphalara polygoni
图源
https://www.britishbugs.org.uk/homoptera/Psylloidea/Aphalara_polygoni.html
5.边木虱属Craspedolepta
Enderlein,1921
云斑边木虱Craspedolepta nebulosa
图源
https://bugguide.net/node/view/846023
6.Gyropsylla Brèthes, 1921
改自凹头木虱属Coelocara
改自 长唇凹头木虱Coelocara longilabiata
图源参考资料①
7.异斑木虱属Xenaphalara Loginova,1961
图源参考资料①
8.后斑木虱属Eumetoecus Lognova,1961
碱蓬后斑木虱Eumetoecus suaedisuga
A.头;B.前翅;C.后翅
参考资料①
9.胖木虱属Caillardia Bergevin,1931
胖木虱在梭梭和白梭梭上危害形成的叶苞状虫瘿,是由一片片苞片组成。
异色胖木虱Caillardia robusta
A雄、B雌
图源参考资料③,①
10.笠木虱属Rhodochlanis Loginova,1964
A雄、B雌
图源参考资料①
11.隆脉木虱属Agonoscena
Enderlein,1914
图源参考资料①
12.漆木虱属Rhusaphalara
Park & Lee,1982
黄连木漆木虱
Rhusaphalara philopistacia
A.头;B.触角;C.前翅;D.后翅
图源参考资料①
13.朴盾木虱属Celtisaspis Yang & Li,1982
北京朴盾木虱Celtisaspis beijingana
图源
https://www.cfh.ac.cn/album/showalbum.aspx?albumid=a6c4a2da-ec7b-4c3b-84c6-7c582419c6f1
14.芽木虱属Blastopsylla Talylor,1985
Blastopsylla occidentalis
改自 桉树芽木虱Blastopsylla barbara
图源
https://bugguide.net/node/view/1090579/bgimage
15.梳木虱属Ctenarytaina
Ferris & Klyer,1932
仅供参考
图源
https://plantwiseplusknowledgebank.org/doi/10.1079/pwkb.species.16823
二、扁木虱科 Liviidae
1.小头木虱属Paurocephala
Crawford,1913
山黄麻小头木虱
Paurocephala trematos
图源
http://www.gagaphoto.com/new23/9401/w11.htm
2.扁木虱属Livia Latreille,1804-1805
仅供参考
图源
https://www.britishbugs.org.uk/homoptera/Psylloidea/Livia_juncorum.html
3.Peripsyllopsis Enderlein, 1926
改自 叶斑木虱属Microphyllura Li,2002
Peripsyllopsis longicellus
A.头;B.触角;C前翅;D.后翅
图源参考资料①
4.截脉木虱属 Diclidophlebia
Crawford, 1920
改自 曲脉木虱属Sinuonemopsylla Li & Yang,1991
5.无形木虱属 Aphorma
Heslop-Harrison, 1952
中文名参考 Wikiwand
九寨无形木虱Aphorma jiuzhaiensis
改自 九寨鳞斑木虱Leprostictopsylla jiuzhaiensis
A.头;B.触角;C.前翅;D.后翅;G.后足
参考资料①
6.拱木虱属Camarotoscena Haupt,1935
仅供参考
图源参考资料④
7.Anomoterga Klyver 1932
Anomoterga hsenpinensis
改自 天料木滑头木虱Homalocephala hsenpinensis
再次修改依据 台灣生物多樣性網絡2024-08-15
图源
https://www.inaturalist.org/observations/18560576
8.沙木虱属Eremopsylloides
Loginova,1964
Eremopsylloides calligonae
图源参考资料①
9.叶木虱属Euphyllura Förster, 1848
10.短头叶木虱属Brachyphyllura Li,2011
曲脉短头叶木虱
Brachyphyllura nesoscolia
A. 头;B.触角;C.前翅;D.后翅
图源参考资料①
11.弓顶叶木虱属Crytophyllura Li,2011
多刺弓顶叶木虱
Crytophyllura polyacantha
A.头;B.触角;C.前翅;D.后翅
图源参考资料①
12.李叶木虱属Ligustrinia Loginova,1973
图源参考资料①
13.新叶木虱属Neophyllura Loginova,1973
仅供参考
图源
https://bugguide.net/node/view/1441153/bgimage
14.管叶木虱属Syringilla Loginova,1967
柃管叶木虱Syringilla humerosa
图源https://insecta.pro/gallery/79107
15.拱叶木虱属Syntomoza
Enderlein,1921
莿苳拱叶木虱Syntomoza scolopiae
图源
https://nchuentm.biodiv.tw/pages/558/list
16.呆木虱属Diaphorina Löw,1879
柑橘呆木虱Diaphorina citri
图源
https://nathistoc.bio.uci.edu/hemipt/Diaphorina%20citri/index.html
17.长角木虱属Epipsylla Kuwayama,1907
鸡血藤长角木虱Epipsylla wushaensis
图源
https://nchuentm.biodiv.tw/image/4932
三、花木虱科 Phacopteronidae
1.星室木虱属Pseudophacopteron
Enderlein,1921
鸭脚木星室木虱
Pseudophacopteron tuberculatum
图源
https://www.inaturalist.org/observations/138254745
2.花木虱属Phacopteron Buckton,1894
若虫在叶背致瘿,虫瘿呈球形或凹陷型。
嘉榄花木虱Phacopteron lentiginosum图源
https://databases.nbair.res.in/insectpests/Phacopteron-lentiginosum.php
四、丽木虱科Calophyidae
1.巴木虱属Bharatiana Mathur,1973
香椿巴木虱Bharatiana octospinosa
图源参考资料①
2.后木虱属Metapsylla Kuwayama,1907
图源参考资料①
3.丽木虱属Calophya Löw,1878
黄栌丽木虱Calophya rhois
图源
见水印
https://bladmineerders.nl/parasites/animalia/arthropoda/insecta/hemiptera/sternorrhyncha/psylloidea/calophyidae/calophya/calophya-rhois/?lang=nl
4.联木虱属Synpsylla Yang,1984
水锦联木虱Synpsylla wendlandiae
图源
https://nchuentm.biodiv.tw/pages/405/media
5.瘿木虱属Cecidopsylla Kieffer,1905
木荷瘿木虱Cecidopsylla schimae
1.成虫雄虫
2.成虫雌虫
3.第五龄若虫
4.若虫制造的叶缘虫瘿
(1. adult male.
2. adult female.
3. fifth instar immature.
4. Leaf margin galls induced by immature )
图源参考资料⑤
6.圆木虱属Strogylocephala
Crawford,1917
胶木圆木虱Strogylocephala confluens
图源
https://nchuentm.biodiv.tw/gallery?page=15
7.聚木虱属Symphorosius Li,2002
长室聚木虱Symphorosus longicellus
图源参考资料①
五、同木虱科 Homotomidae
1.双角木虱属Diceraopsylla Crawford,1912
Diceraopsylla lecanthae
图源参考资料①
2.同木虱属Homotoma
Guérin-Méneville, 1844
改自 厚毛木虱属Caenohomotoma Yang & Li,1981
来源 臺灣生命大百科
图源
https://taieol.tw/pages/93009
https://nchuentm.biodiv.tw/image/7753
3.痣木虱属Macrohomotoma
Kuwayama 1907
剑痣木虱Macrohomotoma gladiata
图源
https://edis.ifas.ufl.edu/publication/IN1329
4.硕木虱属Dynopsylla Crawford,1913
榕硕木虱 Dynopsylla pinnativena
图源
https://www.inaturalist.org/observations/202961460
六、木虱科Psyllidae
1.邻叶木虱属Paraphyllura Yang,1984
含笑邻叶木虱Paraphyllura micheliae
图源
https://nchuentm.biodiv.tw/pages/562
2.长脉木虱属Mecistoneura Li, 2011
沙冬青长脉木虱Mecistoneura junatovi
A.头;B触角;C.前翅;D.后翅
图源参考资料①
3.蓬木虱属Yangus Fang,1990
Yangus hyalinus
改自 白格蓬木虱Yangus chiasiensis
A.头;B.触角;C.前翅;D.后翅;F.后足
图源参考资料①
4.邻幽木虱属Euphaleropsis Li,2004
绣线菊邻幽木虱
Euphaleropsis spiraeicola
A.头;B.触角;C.前翅;D.后翅
图源参考资料①
5.云实木虱属Colophorina Capener,1973
皂英云实木虱Colophorina robinae
图源https://blog.tamagaro.net/?p=6608
6.前角木虱属Epiacizzia Li,2002
肉楠前角木虱Epiacizzia actinotaphne
A.头;B.触角;C.前翅;D.后翅
图源参考资料①
7.三毛木虱属Trisetipsylla Yang & Li,1984
以及
五龄若虫
图源参考资料①
8.角木虱属Cornopsylla Li,1994
花椒角木虱Cornopsylla zanthoxylae
A.头;B.触角;C.前翅;D.后翅
以及
五龄若虫
图源参考资料①
9.异脉木虱属Anomoneura Schwarz,1896
桑异脉木虱Anomoneura mori
图源
https://blog.tamagaro.net/?p=6169
https://insectaintegration.com/archives/16693
10.匕木虱属Pugionipsylla Li,2006
A.头;B.触角;C.前翅;D.后翅
图源参考资料①
11.木虱属Psylla Geoffroy,1762
图源参考资料①
12.筒木虱属Cylindropsylla Li,2011
腾冲筒木虱
Cylindropsylla tengchongica
A.头;B.触角;C.前翅;D.后翅
图源参考资料①
13.羞木虱属Acizzia
Heslop-Harrison,1949
合欢羞木虱Acizzia jamatonica
图源https://bugguide.net/
14.异木虱属Heteropsylla
Crawford,1914
银合欢异木虱Heteropsylla cubana
图源
https://databases.nbair.res.in/insectpests/Heteropsylla-cubana.php
15.邻木虱属Gelonopsylla Li,1992
山东邻木虱Gelonopsylla shandongica
A.头;B.触角;C.前翅;D. 后翅
图源参考资料①
16.暗木虱属Auchmerina Enderlein,1918
仅供参考
图源
https://www.inaturalist.org/observations/237328537
17.邻豆木虱属Cyamophiliopsis Li
绣线菊沙邻豆木虱
Cyamophiliopsis sarmatica
A.头;B.触角;C.前翅;D.后翅
图源参考资料①
18.豆木虱属Cyamophila
Loginova,1976
槐豆木虱 Cyamophila willieti
图源
https://www.inaturalist.org/observations/81149996
19.喀木虱属Cacopsylla
Ossiannilsson,1970
①木通红喀木虱Cacopsylla coccinea
图源
https://mushinavi.com/navi-insect/data-kijirami_beni.htm
②中国梨喀木虱Cacopsylla chinensis
该虫随季节变化呈现出形态特征差异显著的夏型和冬型,属于典型的非遗传多型性。夏型体表颜色浅,活动能力强,危害严重,在梨树落叶前产的卵发育转变为冬型。冬型体表颜色为褐色至黑褐色,体躯增大,活动能力弱但抗逆能力增强。
图源
https://cpp.cau.edu.cn/art/2023/11/16/art_21979_999625.html
20.Tridencopsylla
改自 三齿木虱属Tridentipsylla Li,2002
Tridencopsylla hungtouensis
图源
https://nchuentm.biodiv.tw/pages/517/list
七、裂木虱科Carsidaridae
1.乔木虱属Tenaphalara
Kuwayama,1907
木棉乔木虱 Tenaphalara acutipennis
图源
https://www.inaturalist.org/observations/37705722
2.矫木虱属Tyora Walker,1865
广东矫木虱 Tyora guangdongana
图源
https://www.inaturalist.org/observations/18394228
3.裂木虱属Carsidara Walker,1869
梧桐裂木虱Carsidara limbata
1. 雄虫。 2. 雌虫。 3. 第五龄若虫,完全被蜡覆盖。 4. 一群若虫个体聚集在梧桐叶子下方,覆盖有絮状蜡和蜡质蜜露液滴。
(1. Male. 2. Female. 3. Fifth instar immature, completely covered in wax. 4. Group of immatures on the underside of a leaf of Firmiana simplex covered in flocculant wax and wax coated droplets of honeydew.)
图源参考资料⑥
4.瘦木虱属Mesohomotoma
Kuwayama,1907
黄槿瘦木虱
Mesohomotoma camphorae
图源
http://www.gagaphoto.com/9708bx/719-1.htm
八、个木虱科 Triozidae
1.线角木虱属Bactericera Puton, 1876
改自 裂个木虱属Carsitria Li,1997
图源参考资料①
2.翅木虱属Leptynoptera
Crawford,1919
海棠果翅木虱Leptynoptera sulfurea
图源
https://www.inaturalist.org/observations/117695151
3.小木虱属Pauropsylla
Rübsaamen,1899
聚果榕小木虱Pauropsylla depressa
图源
https://databases.nbair.res.in/insectpests/Pauropsylla-depressa.php
4.新个木虱属Neotrioza Kieffer,1904
水里新个木虱Neotrioza shuiliensis
来源 本文分类参考网站
中文名来源以及图源
https://www.inaturalist.org/observations/193298737
5.沙棘个木虱属Hippophaetrioza Conci & Tamanini,1984
斑沙棘个木虱
Hippophaetrioza maculata
A.头;B.触角;C.前翅;D.后翅;F. 后足
图源参考资料①
6.前个木虱属Epitrioza Kuwayama,1910
四纹前个木虱Epitrioza tetranotata
图源参考资料①
7.锥翅个木虱属Conicotrioza Li,2005
筒锥翅个木虱Conicotrioza cylindrata
图源参考资料①
8.叉个木虱属Furcitrioza Li,2011
假楼梯草叉个木虱
Furcitrioza lecanthae
A.头;B.触角;C.前翅;D.后翅;F.后足
图源参考资料①
9.Eotrioza Konovalova, 1987
改自 粗角个木虱属Trachotrioza Li,2011
Eotrioza ussuriensis
改自 北京粗角个木虱Trachotrioza beijingensis
图源参考资料⑦
10.胡杨个木虱属Egeirotrioza Boselli,1931
蔡氏胡杨个木虱Egeirotrioza ceardi
图源参考资料⑧
11.个木虱属Trioza Förster, 1848
图源
https://www.britishbugs.org.uk/homoptera/Psylloidea/Trioza_urticae.html
12.颊个木虱属Genotriozus Li,2011
十一斑颊个木虱
Genotriozus undecimimacularis
图源参考资料①
13.从毛个木虱属Torulus Li,1991
中国丛毛个木虱Torulus sinicus
图源参考资料①
14.缨个木虱属Petalolyma Scott,1882
大叶椎栗缨木虱
Petalolyma castanopsis
图源参考资料①
15.真胡杨个木虱属Evegeirotrioza Li,2011
纤细真胡杨个木虱
Evegeirotrioza gracilis
图源参考资料⑧
16.勾儿茶个木虱属Berchemitrioza Li,2011
尖勾儿茶个木虱
Berchemitrioza acutata
A.头;B触角;C前翅;D.后翅;F.后足
图源参考资料①
17.Trisetitrioza Li, 1995
改自 三毛个木虱属Trisetrioza Li,1995
Trisetitrioza clavellata
图源参考资料①
18.毛个木虱属Trichochermes
Kirkaldy,1904
中华毛个木虱 Trichochermes sinicus
图源参考资料①
19.周个木虱属Chouitrioza Li,1989
中华周个木虱Chouitrioza sinica
A.头;B.触角;C.前翅;D.后翅;F.后足
图源参考资料①
20.瘦个木虱属Leptotrioza Miyatake,1972
https://nchuentm.biodiv.tw/pages/495/list
21.刺芹个木虱属Eryngiofaga
Klimaszewski,1968
柴胡刺芹个木虱Eryngiofaga babugani
图源参考资料①
22.Cecidotrioza
Cecidotrioza tzuensis
改自 慈恩邻个木虱Triozopsis tzuensis
A.头;B.前翅
图源参考资料①
23.狭个木虱属Stenopsylla
Kuwayama,1910
长斑狭个木虱
Stenopsylla longimaculae
图源参考资料①
24.鼻个木虱属Parastenopsylla Yang,1984
越橘鼻个木虱
Parastenopsylla proboscidaria
A.头;B.触角;C.前翅;D.后翅
图源参考资料①
25.亚个木虱属Asiotrioza Li,2011
中菲亚个木虱Asiotrioza zhongfeiensis
A.头、前胸顶视;B头前视;C.触角;D.前翅;E.后翅;H.后足
图源参考资料①
26.长个木虱属Dolichotrioza Li, 2002
波斑长个木虱 Dolichotrioza sinuata
图源参考资料①
27.角个木虱属Ceropsylla Riley,1883
朴树角个木虱Ceropsylla celticola
图源参考资料①
28.异个木虱属Heterotrioza Doberatu & Manolache,1962
藜异个木虱Heterotrioza chenopodii
图源
https://bladmineerders.nl/parasites/animalia/arthropoda/insecta/hemiptera/sternorrhyncha/psylloidea/triozidae/heterotrioza/heterotrioza-chenopodii/?lang=nl
29.叶个木虱属Phylloplecta Riley,1884
南方叶个木虱Phylloplecta meridionalis
A.头;B触角;C.前翅;D.后翅
图源参考资料①
30.短翅个木虱属Baeoalitriozus Li,2011
杨氏短翅个木虱Baeoalitriozus yangi
A.头;B.前翅
图源参考资料①
肆、总结:
本文总计展示国产木虱总科常见8科99属,那么木虱总科的鉴赏就暂时告一段落了,期待与各位同好们,专家们的交流,我们下期再见!
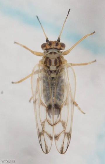
本期封面物种:
木虱科Psyllidae
木虱属Psylla
Psylla sanguinea
图源
https://www.inaturalist.org/photos/2840921
伍、参考资料:
①
《中国木虱志(昆虫纲:半翅目)》
(上下卷)
李法圣 著
②
Unravelling the Molecular Identity of Bulgarian Jumping Plant Lice of the Family Aphalaridae (Hemiptera: Psylloidea)
Monika Pramatarova ,Daniel Burckhardt,Igor Malenovský,Ilia Gjonov,Hannes Schuler, Liliya Štarhová Serbina
③
《梭梭木虱发生规律及其影响因子》
李粉莲,吴雪海,王佩玲,梁虎军,王鑫,王利军,张建萍
④
Jumping Plant-lice of Slovenia (Insecta: Hemiptera: Psylloidea)
Gabrijel Seljak
⑤
The jumping plant-lice of Laos (Hemiptera: Psylloidea)
Geonho Cho,Daniel Burckhardt,Igor Malenovsky,Seunghwan Lee
⑥
The identity of the Carsidara species (Hemiptera: Psylloidea: Carsidaridae) associated with Firmiana simplex (Malvaceae) in Japan and Korea
Geonho Cho,Hiromitsu Inoue,Daniel Burckhardt,Seunghwan Lee
⑦
On the taxonomy of Korean jumping plant-lice (Hemiptera: Psylloidea)
Geonho Cho,Daniel Burckhardt,Seunghwan Lee
⑧
《新疆北部为害胡杨的三种木虱形态识别及为害特征研究初探》
张炳坤,崔晓萍,王佩玲,孙红艳,周黎,庞慧玲,仝莉

