
今年第22号台风“山竹”(强台风级)已于16日17时在广东台山海宴镇登陆,登陆时中心附近最大风力14级(45米/秒,相当于162公里/小时),中心最低气压955百帕。
粤东、珠江三角洲市县和阳江、云浮共12市已经出现了平均风11级~14级、阵风15级~17级的大风。
预计,“山竹”将以25到30公里的时速向西偏北方向移动,强度逐渐减弱,穿过阳江和茂名市,将于17日凌晨前后移出我省。
受其影响,16日夜间到17日,粤西、珠江三角洲有大暴雨,部分市县有特大暴雨,粤东有暴雨局部大暴雨;16日夜间,我省海面和中南部市县、南海北部海面风力10级~13级,其中珠江三角洲南部和阳江、茂名沿海风力达14级~15级。
另外,大部分沿海地区已经发布了三到四级地质灾害气象风险预警,请在做好防风防雨的同时,也要注意做好地质灾害的防范。

△台风“山竹”路径图
风王“山竹”就像一头蛮牛,
直直地撞向广东。
可怕!

大家别怕,南方君镇住这只山竹了

开玩笑的
总之一句话,
今日宜肥宅!
在家刷手机看狂风暴雨就好了,
别出门!
各位谨记!
△现场直击:强台风“山竹”已登陆广东台山
风眼经过的现象
原本风狂雨骤的地方,突然风歇雨止,这不是台风已经远离,很有可能是台风眼经过的现象,一般而言,二三十分钟之后,狂风暴雨会再度来临,千万不能大意轻视,应继续呆在安全的室内,留意气象部门发布的最新预报预警信息。



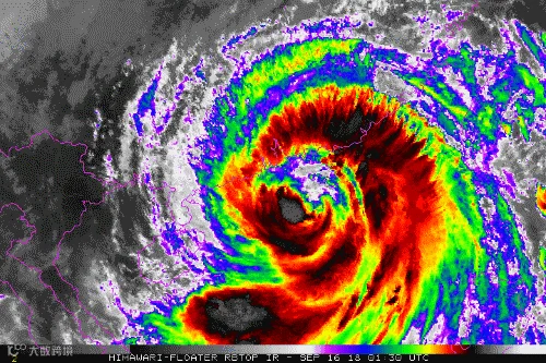
山竹登陆前后的云图、雷达图,中气爱根据SSD和NMC资料制作
广东最新台风预警
截至今早(16日)11点54分
广东发布
台风红色预警 41个
台风橙色预警 26个
台风黄色预警 19个
台风蓝色预警 19个

南沙最大风力17级!
今天(9月16日),记者从广州市南沙区气象局获悉,随着台风“山竹”逼近, 13时台风中心距离南沙区130公里左右,十级风圈范围已全面覆盖南沙,龙穴街舢板洲码头12时左右录得最大风力十七级(61.3米/秒),全区普遍出现中到大雨,局部暴雨。


今天台风新闻多
但是谣言也不少
这些谣言,别信了!
@中国气象局 :这是NASA宇航员在太空拍摄到的飓风佛罗伦萨,不是“山竹”。朋友圈有10万+的微信公众号耸人听闻,抖音上也有相关视频,请大家别传播了!转发辟谣!

返校谣言

广州市教育局提醒,该言论系谣言,请市民勿信谣、勿传谣,以官方发布的正式信息为准。同时请各校加强与学生及家长的沟通。
菜价辟谣
目前佛山农贸市场、超市粮油、肉、蛋等品种供应充足,价格总体平稳,蔬菜价格小幅上涨。
对网上爆出台风期间蔬菜价格暴涨的视频及照片,初步查清该视频拍摄地点非佛山市场。
此外,全市将严厉查处趁恶劣天气、自然灾害之机,经营者囤积居奇、串通涨价、哄抬价格等价格违法行为。如果市民在台风期间发现有商家恶意哄抬物价,及时拨打12358价格举报电话,一经发现将进行严肃查处、严厉制裁。

“山竹”登陆前
今早已开始肆虐广东各地
▼
广州
14时46分
海珠区双塔路往北方向
成排树木被台风吹断

广州天河万菱汇写字楼部分外墙玻璃掉落
万菱汇方面表示目前没有人员受伤

广州番禺一楼盘
台风还没来
楼道玻璃门就吹爆了

枫叶路上加拿大花园旁边的
太空羽球馆的遮雨布被整个吹散

拍摄:市民李先生
大梅沙京基喜来登酒店
观景餐厅大门
被海浪冲垮
现场一片狼藉

来源:深圳新闻网
深圳中英街海鲜街海水倒灌
居民已转移

△今天中午1点半左右,深圳国家开发银行大厦21楼的一块玻璃幕墙被风吹落,掉落的玻璃面积约3-5平方米,连同金属框架和大厦招牌都被吹落砸在人行道上,所幸没有造成人员伤亡,现场已经紧急封锁。而就在记者进行现场报道的时候,该栋23楼又再有玻璃和金属架被大风吹落。(视频来源:央视新闻移动网 矩阵号 触电新闻)
目前,珠海市
暴雨红色预警
+
台风红色预警
正在生效
今早10时10分
珠海担杆岛感受到“山竹”的威力
已有多个玻璃窗被强风吹爆
室外树枝树叶铁皮到处乱飞
风力非常强劲

担杆岛岛民杨志 摄

山竹导致珠海沿海海水入侵、巨浪拍岸,来自珠海本地媒体

山竹导致东莞某地塔吊转动,来自东莞本地媒体,图片已较实际时间调快
今早“山竹”还没到
霞涌已卷起千层浪

惠大高速惠州南站出口处
被“山竹”摧毁的面目全非

汕尾
今早汕尾出现
12到15级阵风
海浪翻腾冲向岸边

佛山
佛山南海九江派出所消息因台风影响,导致九江镇沙咀工业园区变压器断线着火,事发后,镇应急、供电部门第一时间赶到现场,切断电源。期间,无造成人员伤亡。

顺德乐从一辆停在墙边的小汽车
被倒下的墙壁压住
中山
小区居民乐观贴胶带防台风

中山东区有小区爆玻璃

中山博爱一路施工现场一片狼藉
围板栅栏倒下

江门市台山上川岛气象站的工作人员
冒着13级大风擦拭天气现象仪镜头
因为杂物遮挡会影响数据记录准确性

感谢有你们
广州警察蜀黍冒雨清理路面


深圳被困人员被解救

来源:微博@深圳交警
惠东县园林管理局抢险队伍
对县城所有路道进行排查
清理倒伏树木、清通道路

今日上午,霞涌街道办工作人员
转移桥底下的流浪汉到庇护中心

中山公安民警清理路障
转移受灾群众


江门台山市路边一棵树被吹倒
消防员在风雨里把树锯断疏通道路

南都记者 谭伟山 摄
因为你们在一线抢险保畅
筑成守护人民生命财产
最牢固的一道防线
感恩有你们
务必注意安全

最后,南方君提醒,
大家一定要注意安全!
最好肥宅!
愿一切平平安安!
来源:南方网综合南方日报、南方+、广东气象台、广东天气、南方都市报、广东应急气象、央视新闻等
猜你想看



