
刚过了一个美滋滋的中秋假
不过接下来的天气形势
似乎令人有些忐忑
本周作为国庆长假前最后一周
站好最后一班岗
小伙伴们就可以出门浪了

不要高兴太早
据中央气象台消息
强台风“山竹”刚走
今年的第24号台风“潭美”又来了
9月24日早晨
“潭美”在进入我国48小时台风警戒线的同时
已加强成为超强台风
它也成为今年继
杰拉华、玛莉亚、飞燕、山竹之后
第5个超强台风

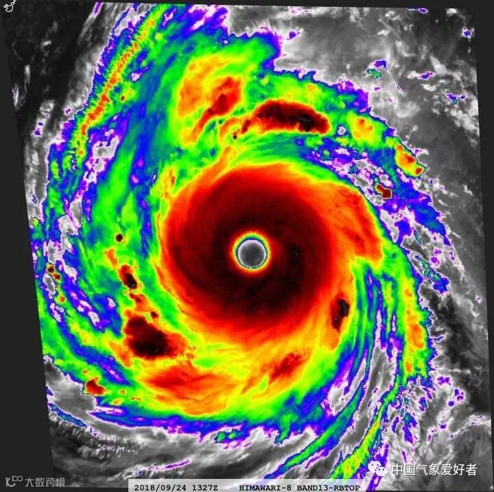
台风动态

(23日台风“潭美”的风云-2E红外云图实时动态)
“潭美”增强到超强台风级
预计强度还将有所加强

第24号台风“潭美”未来120小时路径概率预报图
正在大家忙着过节赏月的时候
台风“潭美“的最大风力连升3级
从一个14级的强台风升格为17级的超强台风
24日傍晚和夜间的卫星云图可见
潭美的核心云团和台风眼
像中秋夜的月亮一样圆
台风眼巨大而清晰


24日晚20点
中央气象台发布“台风快讯”
↓↓↓↓

预计
“潭美”将以每小时10公里左右的速度
向西偏北方向移动
强度还将有所加强

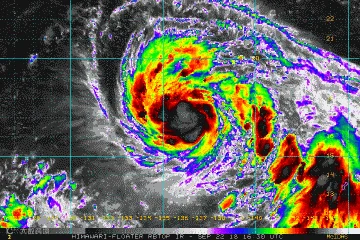
▲葵花-8号卫星监测到的"潭美"动态云图
近期各大官方台风预报机构
纷纷向西调整了未来几天“潭美”的移动路径
最新的预测结果显示
“潭美”将会在9月28日前后
到达台湾东部海域

不过
潭美已经是一个实力极为强大的台风
如果登陆我国后果依然非常严重
根据最新的超级计算机模式
由于潭美的加强快于预期
它更有可能在副高重新加强前北上
登陆我国的可能性在减小
急转弯去日本的可能性增加


“潭美”最大可能是
先来到我国台湾附近
然后滞留两三天
再而急转弯去日本

如果没有出现明显转向
基本上是以偏西为主
靠近台湾南部
紧擦或登陆
然后影响广东粤东、福建闽南沿海

因此国庆长假去台湾
或去华南、华东沿海一带的朋友
应谨慎选择行程
做好准备安排了
最后,南方君
送上未来三天的天气预报:
预计,25-27日,粤西和珠江三角洲市县有(雷)阵雨,其余市县多云;全省大部市县早晚有轻雾,能见度较低,出行请注意交通安全;未来三天雨势趋于减弱,但仍需要注意防御局地强对流天气。




来源:南方网综合广州天气、广东天气、中国气象爱好者、中央气象台等



