
今日凌晨时分
粤东沿海已风雨交加
接下来随着山竹的不断逼近
广东全省的风雨都将逐渐加大
大家务必加强防御


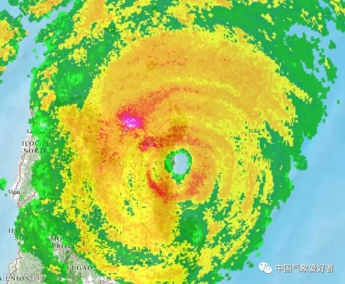
【台风最新消息】今天上午11时,今年第22号台风"山竹"(强台风级),中心位于北纬21点0度,东经114点7度,也就是在阳江市东南方向约265公里的南海北部海面上,中心附近最大风力15级,达到48米每秒的风速,中心最低气压945百帕,八级大风范围半径约400公里。
风王“山竹”不是盖的,
来看看它的“杀伤力”
▽

今早6点50分,珠海情侣路,风大浪大,可以看到港珠澳大桥。南都记者 朱鹏景 蒋生

珠海担杆岛正处于“山竹”危险右半圆,风力非常强劲!(广东天气)

深圳天文台的避雷针被风刮倒。(深圳天气)


香港海面海浪滚滚(央视)

地点:大梅沙喜来登


地点:盐田水产码头

地点:福田区彩田村

地点:大梅沙海滨公园

地点:大梅沙海滨公园


在看看这雨势
也没有谁了

目前,珠三角和粤东大部的平均风力已达10级以上;今天0时至11时,深圳、汕尾、惠州等多个站点已录得大暴雨级别的累积降雨,风雨仍在继续,请继续做好防御措施,受影响区域的小伙伴尽量呆在安全的室内。

预计,今天到明天,
粤西、珠三角和粤北部分市县有大暴雨,
部分市县特大暴雨,
其余市县大雨到暴雨局部大暴雨。

在这里南方君再特别提醒一下
粤东和粤西的两个暴雨点,
要提前做好防雨措施,
以及其引发的地质灾害,
切不可掉以轻心。

受吕宋岛地形和副热带高压南插影响
山竹进入南海后再次北调
阳江成为最可能的登陆点
珠三角将面对风力最大、能量最强
的“危险半圆”!


一起来了解一下什么叫台风的危险半圈!
台风路径:
“山竹”下午到夜间在珠海到电白沿海登陆
今早10时
今年第22号台风“山竹”(强台风级)
在阳江市东南方向约300公里的南海北部海面上
中心附近最大风力15级
预计将于今日下午到晚上
在广东珠海到电白一带沿海登陆
对广东有严重风雨影响
省气象台提醒有关方面密切注意,
并继续做好防御台风的工作。
(点击图片可以查看台风实时路径)
广东发出史上最大规模台风预警
广东全省发出台风预警
珠三角沿海全线红色预警
这是新预警制度以来
广东省最大规模的台风预警
截至今早(16日)11点54分
广东发布
台风红色预警 41个
台风橙色预警 26个
台风黄色预警 18个
台风蓝色预警 20个


台风那么来的那么猛,
广东省教育厅已发布紧急通知,
9月15日18时至9月17日全省学校停课停学。
上班族呢?
目前,
已宣布启动全市范围内停工停业停产。
具体内容可以戳下面链接
▽
下面我们来看看广东各地的实时状况
广州
珠海
佛山
中山
江门

更多内容
可以点击下面图片
查看南方网的台风报道集
台风来临前,
广东多地超市已经被清空
▽

其实南方君觉得,大家不必恐慌,据广州市商务委消息,广州加大物资储备,主副食品、生活用品库存量保持至少三天的供应量。同时广州 150 家市生活必需品应急供应点全面启动应急供应模式,确保台风到来前后,各类民生物资不脱销、不断档。目前各类商品交易价格保持平稳。所以没必要扫货~
贴胶布贴创意




玩归玩,
安全还是要做好的,
正确的贴窗法
▽

还有网友淡定在家
祈祷台风“山竹”不要那么猛

如果台风天一定要出门怎么办?
南方君建议,
请务必提前获取天气情况
及相关出行信息,
并做好防风措施。
道路交通
【广州】
桥面风速达10级,虎门大桥将封桥:9月15日,虎门大桥发布信息,当桥面平均风速达20米/秒(8级)持续15分钟时,进入封桥戒备状态,当桥面平均风速达到28米/秒(10级),将实施封桥措施。
广州所有汽车客运站停止售票、暂停发班:记者15日19时从广州市交委获悉,从18时40分起,根据广州市三防总指挥部关于启动防风一级应急响应的通知,为确保客运班线运营安全,目前广州市区各客运站采取停止售票、暂停发班措施,同时为旅客提供退票、改签服务。待防风一级应急响应解除后,各客运站将恢复运营。给广大旅客带来不便,敬请谅解。

【珠海】
珠海公交16日全市停运:珠海公交集团透露,16日,全市公交停运,恢复时间待通知。从9月16日7时起,将会对情侣路、港湾大道、珠海大桥等沿海路段和桥梁采取封闭措施;公交、出租车等公共交通停运。
从省交管局获悉,从9月16日起0时起,珠海情侣中路德瀚大酒店至东风路口路段、情侣北路沿海边路段、情侣南路湾仔沿海边路段;珠海大桥、横琴大桥、横琴二桥、淇澳大桥、鸡啼门大桥、南水大桥、横坑大桥、斗门大桥、新月桥、情侣路、珠海大桥等沿海路段和桥梁已采取封闭措施。
【粤港跨境巴9月16日所有班车停运】
受台风“山竹”的影响,按照香港天文台现时预测台风路径,粵港巴士将暂停明天2018年9月16日(星期日)香港、澳门往返內地的所有班车服务。 粤港公司对停运路线班次的车票提供免费退票、免费改签等服务。
【粤运大巴:七地市部分客运班线停班】
肇庆粤运:16日前,肇庆各粤运车站发往湛江、茂名、阳江、江门、珠海、深圳等沿海地区的班线全部停班;16日中午之前,发往广州、佛山、云浮及肇庆等非沿海地区的班线,将视各地应急响应级别及要求,作出适时停班措施;16日中午之后,肇庆各粤运车站所有客运班线全面停班。

9月15日白天,山竹离开菲律宾后迅速重整台风眼
阳江粤运朗日:15日阳西站14:30、18:30停开往深圳方向2个班次,阳春站15:30停开往东莞常平方向一个班次,阳春站16:00停开往东莞太平方向一个班次。
清远粤运:16日下午14时后,清远各粤运车站到达或回程阳江、深圳、珠海、肇庆、江门等粤西的班线均停开,其他线路班次将按照实际情况合理安排营运。
汕尾粤运:汕尾粤运汽车总站于15日17:00时起暂停汕尾往深圳的班次;16日,去往深圳、香港、东莞、惠州等班次,全日全线停开;16日7:40分陆河至珠海线停班。
潮州粤运:潮州粤运客分公司16日共停班6个班次,分别是8:30/20:15潮州-珠海、10:00潮州-三亚、12:50潮州-南宁、11:00潮州-大化、11:20潮州-湛江。

9月15日傍晚山竹台风和华南地区合影,来自向日葵8号卫星
茂名电白粤运:16日早上5时开始,茂名电白区城乡公交车辆停运。
梅州粤运:城区16日早上开始,梅州城区至深圳、肇庆、中山、珠海、江门、海口、惠州、惠东、惠阳、东莞、潮州;蕉岭16日早上开始,蕉岭至深圳、珠海;五华16日早上开始,五华至深圳、珠海、惠东。
不幸在高速公路上遭遇台风咋办?
1、出发前注意咨询气象信息,风雨较大的天气尽可能不要出行,以免遇上危险或耽误行程。
2、出发前必须检查车辆,尤其对灯光、制动、雨刮器等机件要检查到位,货车司机上高速前要做好货物的捆扎。
3、遇到台风时,减速慢行,将车速严格控制在车速指示牌限速以下,并保持两倍以上车距。
4、如果台风较为强劲,并伴有雷暴雨,应视具体情况采取必要的措施。当能见度小于200米时,应开启近光灯、示廓灯和前后位灯,车速不得超过每小时60公里,与同车道前车保持100米以上距离;当能见度小于100米时,应开启近光灯、示廓灯、前后位灯和危险报警闪光灯,车速不得超过每小时40公里,与同车道前车保持50米以上距离;当能见度小于50米时,应开启近光灯、示廓灯、前后位灯和危险报警闪光灯,并服从交警指挥,从就近的出口驶离高速公路。
5、车辆在高速公路上抛锚或发生事故,立即靠边停车,开启危险报警闪光灯,夜间还需开启示廓灯和尾灯,并在来车方向150米以外按规定设置危险警告标志,车上人员迅速撤离到右侧护栏外,拨打12122报警。严禁在高速公路上行走。
6、在道路不适宜通行实行封道分流的情况下,尽快从就近出口驶离高速公路。
铁路交通
受台风“山竹”影响 16日广东高铁全部停运
记者从广铁集团获悉,受“山竹”登陆影响,9月16日广东省内高铁全天停运;9月16日普铁线路广州地区9点至20点、普铁线路深圳地区凌晨4点至20点到发旅客列车停运。(因涉及到不同方向、不同区段、不同时间段的停运安排,建议旅客登陆12306网站查询具体车次的停运安排);9月16日下午16点后海南环岛高铁停运;9月16-17日进出海南岛的跨海列车、江湛铁路、广茂及信宜城际普速铁路停运。

中央气象台对山竹的预报
航空
珠海机场取消所有航班起降:受台风“山竹”影响,部分航空公司确认取消9月16日所有在珠海机场进出的航班,具体如下:南方航空珠海分公司、东方航空、上海航空、天津航空、重庆航空。另外,深圳航空9月16日取消珠海出港航班:ZH9530珠海-无锡,ZH9736珠海-合肥-沈阳,ZH9293珠海-常州,ZH9289珠海-泉州-南通;取消进港航班:ZH9529无锡-珠海,ZH9290南通-泉州-珠海。南方航空9月16日取消出港航班:CZ6489郑州-珠海,CZ6490珠海-郑州。
深圳机场暂停所有航班起降:受其“山竹”影响,9月16日深圳将出现12-15级最大阵风,伴有大暴雨到特大暴雨。为保障安全,深圳机场9月16日0:00-24:00、9月17日0:00-8:00,暂停所有航班起降,全部航班取消。请各位旅客在此期间不要前往深圳机场,并联系所购票航空公司办理退改签手续。预计9月17日上午8时后,深圳机场进出港航班将逐步恢复运行。

大鹏新区葵涌沙鱼涌、玫瑰海岸海水倒灌人员紧急撤离
16日南航深圳香港进出港航班全部取消:南方航空公司9月15日19时透露,受第22号台风“山竹”影响,南航对9月16日的航班做出调整,16日深圳、香港进出港航班全部取消。16日19:00前,广州航班均正常执行。此外,16日珠海进出港航班全部取消;16日12:00后湛江航班全部取消;16日13:00后北海航班全部取消。
广州白云集团空港快线停运:白云机场空港快线从15日晚上18:30起,所有长途和市区线路的大巴全部停运,恢复时间需等待广州市“三防办”通知。
快递
广东收发快递(件)将延迟1-3天:记者从各大快递公司了解到,受“山竹”台风影响,广东收发的快递(件)时效性将受影响,可能延迟1-3天。
顺丰方面表示,这几天均正常工作,但受台风影响,寄往广东省、广西省、海南省的快件将比平时延迟1-2天,对于给用户造成的困扰深表歉意。
圆通方面也表示,受台风影响,广东收发的快件时效性将延迟。目前,已经加派人手保障工作。
最后南方君特别提醒!
广东已发布防风I级应急响应,
各位市民请尽量保留在室内,
避免外出。
愿一切平平安安!
来源:南方网综合南方日报、南方+、广东天气、广东气象台、南方都市报、羊城晚报、广州日报、中国气象爱好者等
猜你想看











