
昨夜弱冷空气悄悄潜入广东,
拉着雨神来一场说走就走的旅程:
广佛至云浮一日游

今早在佛山上课的小朋友
都换上了秋装

回看早上9点,
全省气温还是挺舒适的,
你们还满意吗?

明天起又有新一轮冷空气将卷土重来,
10日至11日,
华北中北部、东北地区等地
气温将下降4~6℃,
局地可达8~10℃。
未来三天,江南一带将迎雨水,
西南地区阴雨不断。

在台风界还传来一个
大大大消息!
↓↓↓
惊!狂跳5级!
“海贝思”成17级超强台风!
问鼎西北太平洋2019年风王!

10月7号,
“海贝思”如同一匹发疯的野兽,
在短短十几个小时内
从一个只有11级风力的强热带风暴,
迅速增长成为中心附近最大风速达到65米/秒、
中心最低气压低至910百帕的17级以上超强台风!
成为了今年迄今为止西北太平洋最强风暴,
也是全球加强最快的台风。

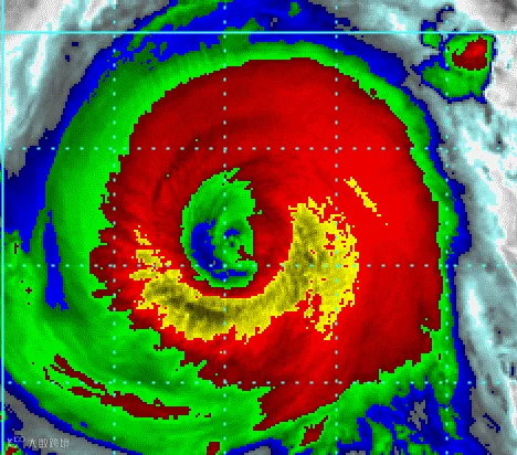
10月8日晚上海贝思眼壁置换已完成大半。
中气爱根据JMA云图制作
10月8日晚上的卫星云图可见,
海贝思的巨大台风眼已经形成,
且正在清空。
因此,稍有减弱、
从17级以上降到17级的风王会再次加强,
中心附近最大风力重新回到17级以上,
与此同时本就庞大的环流会进一步扩大,
暴风圈最大直径可能扩到400公里以上。

10月8日晚海贝思云图,可见其云系范围非常大。来自H8云图
这个超强台风目前强度依然
维持在17级+
预计还要维持2天!
不过,令人放心的是
这个台风不会直接影响中国
官方最新路径显示
该台风未来将转弯向日本
这两天还将维持60m/s(17级)左右的强度
↓↓↓

这个超强台风再次增强,
对日本来说不是好事。
最新的超级计算机集合分析指出,
海贝思仍然锁定日本,
最大可能仍然是10月12日晚上
登陆或擦过静冈县,
10月13日凌晨近距离掠过东京。
由于日本近海海温降低、
干空气变多和垂直风切变增大,
海贝思在登陆前会有所减弱,
但瘦死骆驼比马大,
它仍然会非常强。

ECMWF对海贝思的集合分析,中气爱制作
因此,
去日本或在日本的朋友需要注意,
10月12日下午起,
日本就将受到海贝思的严重影响,
持续到10月13日上午,
名古屋、东京仍然是重点。
虽然海贝思对我国没有直接影响,
但间接影响还是有的。
据@中国气象爱好者分析
“海贝思”的能量将再次“激活”西风带,
让西伯利亚冷空气在12-14日再度大举南下。
由于海贝思“吸力十足”,
所以这次北风可以一直吹到广东、海南,
华南不会再是降温的例外。

▲10月13日海贝思诱发冷空气深度南下示意图,中气爱根据ECMWF数据制作
未来几天副高比较强,
广东大部维持干晴天气,
白天炎热,晨晚舒适。
但10月12日起,
冷空气将在海贝思吸引下深度南下,
直达广东、海南,
让华南的燥热一扫而空。
所以,
现在的热是为了以后(12日起)的凉凉!
冷空气将于12日夜间进入粤北,
13日开始影响全省,
降温幅度在3-5℃之间。
免费空调体验值得期待!
在12日之前,
广东还是大部分晴到多云
最后循例送上广东各地的天气预报
👇

来源:南方网综合广东天气、中国气象台、中国气象爱好者等

