
“广东断崖式降温16℃”?
昨日(10月12日)
一则天气消息在网上流传
声称10月13日寒冬来袭
“广东天气”辟谣称
该消息是信口雌黄
这两天的广东不仅没有降温
反而开始在30℃线上奔跑了
“中央气象台”也转帖表示
“假的、别信、已举报!”
气象部门对“广东断崖式降温16℃”进行辟谣
据悉,一名网友10月12日在今日头条平台发布了标题为《警报!注意!广东天气冷空气入侵,断崖式降温16度,寒冬来袭》的网文,称“预计明天开始,广东将迎来一次断崖式降温,预计降幅高达16度”。此网文一出,引起网友关注,并有网友向气象部门求证。
“广东断崖式降温16℃”谣言网文
对此谣言
官方纷纷辟谣↓

网友们也纷纷评论表示:
“能信的都不算广东人”
“开什么玩笑?过年都系穿短袖”
那么未来几天
广东的天气会有什么变化呢?
预计,13-16日,广东省大部市县多云,早晚清凉,其中,韶关、清远和粤东市县15日前后阴天有分散小雨,雷州半岛16日转(雷)阵雨。
具体预报:
虽然没有迎来
大家心心念念的降温
但还是要关注一下
10月11日晚上到10月12日早晨
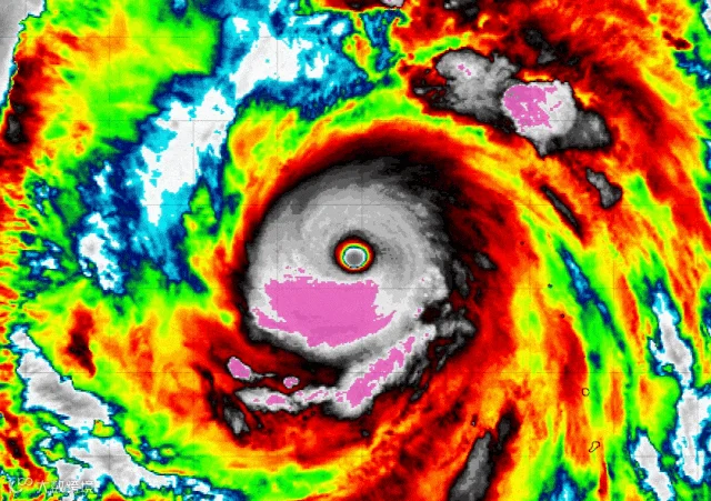
中央气象台继续给出
超强台风“布拉万”
68米/秒,900百帕的强度评价
美国JTWC10月11日20时和10月12日02时
也给出了155节的强度评价
(和之前的“玛娃”巅峰强度一致)
这也意味着“布拉万”
成为今年西北太平洋的“风王”!

来自“风王”的威力与压迫感
是一种危险的“美丽”
“布拉万”最大风力
与今年第2号台风“玛娃”并列
但“布拉万”的中心气压更低
这也让它成为今年全球台风之王
不过
“布拉万”已于今天下午
由超强台风级减弱为强台风级


猜你想看
潮州市委常委、副市长林文锋被查
孙卓、符建涛被拐案,一审宣判!
充气兔子值8万?广东一地官方回应
刘暖曦,被永久禁播!
大家喜欢怎样的天气呢?

