
就在今天下午
市三防指挥部决定
将防风Ⅳ级应急响应提升为防风Ⅲ级应急响应
将台风蓝色预警升级为黄色预警信号

已经达到全市停课的标准!
台风黄色、橙色、红色或者暴雨红色预警信号为停课信号,停课信号生效期间,托儿所、幼儿园、中小学校、中等职业学校应当停课。

虽然今天是周末,停课意义不大
但如果明天(周日)傍晚前后
还没有解除台风黄色预警信号
那就是停课状态还在继续
千万不要冒着台风去学校上课!
这也可以看出“山竹”的威力有多大了吧!

这几天
仿佛整个东莞都在等
大boss·准风王·超级台风“山竹”
晴热天气的背后
恰恰就是“山竹”的来势汹汹

这两张图是不是既美丽又吓人?


10日,“山竹”在关岛及罗塔岛肆虐
狂风直接将屋顶掀翻

电线杆冒出火花

淹水停电


目前,“山竹”正向我们步步逼近
你们准备好了吗?
今年第22号台风“山竹”已于
今日凌晨2时10分前后
在菲律宾吕宋岛东北部沿海登陆!
登陆时中心附近最大风力17级以上
(超强台风级,65米/秒)

是不是在图上看不到菲律宾的大陆
因为它整个都被“山竹”的云系覆盖了



感受到被它支配的恐怖了吗

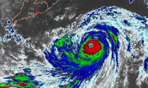
据市气象局最新消息
“山竹”(强台风级)中心位于
我市东南方约860公里的南海东北部海面上
预计“山竹”将于今日中午前后进入南海东部海面
并将于16日下午到夜间
在广东台山到徐闻一带沿海登陆
(14~16级,45~52米/秒,强台风级或超强台风级)
之后继续向西偏北方向移动
也就是说
预计超强台风“山竹”将正面袭击粤西沿海一带

今早八点
粤东沿海风力有所加强
海上已经亮起了小红旗
风力达八到九级
当前
广东省共有77个台风预警信号生效中
覆盖我省中南部地区
其中47个台风蓝色预警信号主要分布在我省南部地区

台风“山竹”
具有“强度超强”
“大风范围广”(8级风圈超300公里)的特点
预计离我市最近时间为16日中午前后
最近距离约为250-300公里

不管“山竹”在哪登陆
它都会给东莞带来严重的影响
↓↓

预计我市15日夜间起风力逐渐加大
16日将有狂风暴雨
最强风雨影响时段在16日上午到下午
风力将加大至9~10级
阵风11~13级
过程累积雨量有暴雨到大暴雨(80~150毫米)
局部特大暴雨(250毫米)

“山竹”瞄准着广东飞奔而来
各位东莞小伙伴请提起警惕
千万不要把它不当一回事!

部分列车将停运
9月16日-17日两天主要是广东、广西、海南,广东沿海、海南沿海、广西沿海可能出现大风,前往上川岛、涠洲岛的游客最好提早撤离或改期。
暂停发售9月16日—18日广深港及杭深高铁、江湛铁路、广深及广珠城际所有列车车票;
暂停发售9月16日—18日粤湘两地始发前往深圳、珠海、潮汕等方向的动车组车票;
9月16日夜间至19日的跨琼州海峡列车车票仍限售到广州地区。
铁路部门表示,将依据台风影响实时调整列车运行方案。同时受暴风雨影响,部分线路列车可能会出现不同程度晚点。
有关列车运行调整的具体信息,可通过12306官网、广州铁路微博,或拨打12306查询。
台风在莞风力如持续达到9级以上
2号线高架段或将停运
面对来势汹汹的台风,市轨道公司已制定应急预案,台风来临时,将视情况启动应急预案。台风期间,地铁运营将可能会有所调整:
当台风风力达到7至9级时,展览中心站至虎门火车站高架区间将限速运行;当风力持续达到9级以上,高架区间及虎门火车站将停运。具体运营情况,请及时留意车站公告或拨打运营热线电话0769-88176666咨询。
启动什么预警信号可停工?


按照规定,收到台风橙色预警、台风红色预警以及暴雨红色预警信号时,还可以停工!不过,特殊行业除外......
东莞相关部门和单位严阵以待
面对这次的超强台风大Boss
东莞各地已进行了各种防卫措施
相关部门和单位工作人员均取消了休假
随时候命

截止至9月14日20时
全市城管系统出动约6060人次
全面摸排填埋场、路灯广告、燃气设施等设施
(其中城市户外广告约2380块、路灯灯饰约12230套)
整改各类隐患1104处
修剪城市树木2812棵、加固382棵
清理下水口的垃圾约350吨
同时
预置了236支城市园林、市容环卫、广告灯饰
城镇燃气等应急队伍和2645名抢险人员
以及一大批应急防汛物质和装备

记者从东莞市大朗镇、洪梅镇、东坑镇等多个镇街获悉,防汛常备的救生圈、冲锋舟、救生衣、军用钢铲等救灾设备均已配备到位,应急避灾场所也全天开放,有需要的市民可前往寻求帮助。

相关镇街已经派员前往泄洪站、水库、供电中心等多个“要害”环节进行巡查,以确保台风过境时,有效抗洪,最大限度保障市民正常工作、生活。

市水务局、市三防办在东城街道、塘厦镇各安排一台大型抽水泵车,每台排水流量3000m³/h,为用于紧急排水。

供电部门工作人员提前做好供电安全检查,并提醒市民,下雨天需格外注意安全用电,如遇用电问题,可拨打电话85195598进行报障。

市政部门提前修剪过高或者倾斜的树木,以防台风来临时压倒周边建筑,对过往车辆、行人造成安全威胁。

大朗镇水务中心组织工作人员对下水道井口进行逐一检查,对存在堵塞的水道进行清理,确保下水道排水畅通。

厚街镇各大水库提前排水,腾空库容,进一步加强值班和水情监测,全面落实好各类防洪物资,提前做好防汛的各个环节的准备工作,以期发挥更好的防汛功能。

据悉,沙田镇已动员300余人提前开展台风防御工作,共计装袋沙包1.5万余个,调配钩机、铲车等工程车辆10台、运输车辆15台、加固500米海堤。

在沙田镇的先锋渔港码头可以看到,渔船提前回港避风,靠岸停泊的渔船连成了一片。渔民有的忙固锚、搬物资、整理渔具、检修机器,提早做好台风防御工作。

虎门新湾,所有渔船已回港。

松山湖园区公安分局安排警力深入辖区危楼危房、工棚窝棚、地质灾害点、水库、堤围、工地等区域开展排查,劝导告示帮助广大市民提前做好防风措施,及时消除安全隐患。

“山竹”具有“移速快、强度强、个头大”等秋台特点,并可能是今年登陆我国最强的台风,又恰逢周末,公众可通过多种渠道,密切关注台风最新预报预警信息,高度关注并积极防御:
1. 沿海各地特别是珠江口及以西沿海市县近海海域作业渔船、商船和海上作业人员及时回港、上岸避风,避免到海边和海岛旅游。
2.沿海市县的建筑工棚、人工构筑物、户外广告牌、道路绿化树木等要做好防风加固。
3.移除室外(阳台)易被吹动的东西,并加固门窗。远离海边、山边、河边;远离危房、临时建筑物、广告牌、铁塔、大树。
4.台风强降水易引发城乡积涝、局地山洪及山体滑坡等地质灾害,需留意最新预报和预警信息,请做好防御。

这里有个防风小贴士
在台风来临前
可以在玻璃窗上贴上"米“字型胶带

玻璃中间部分较为脆弱
所以在室内玻璃窗贴上交叉的胶带
可以增加玻璃的韧度
不但可以对抗较大的风压
也可以防止玻璃破裂时四溅伤人
另外在窗户的玻璃贴上胶带
面临强风时
还可以降低玻璃震动的频率
因此较为安全
多少增加防护的效果

东莞的朋友们
这个周日就乖乖呆在家里
减少外出和海滨活动
收好阳台的衣物和物品

莞事君会随时为大家更新台风“山竹”最新动态
请随时留意“山竹”的路径预报
直击:台风实时滚动播报

来源:今日莞事
本期以上内容均来自网络,版权归原作者及原出处所有,我们对文中观点保持中立,对所含内容的准确性、可靠性或者完整性不提供任何明示或暗示的保证,请仅做参考,如有侵权,请联系删除。
往期回顾
企业文化

公司愿景:成为中国最受信赖的原
辅料企业
核心使命:让您的品质更完美
核心价值观:安全、责任、服务、
创新、诚信、感恩
企业精神:快乐工作,实现价值
经营理念:谦和遵道,务实创新
想了解更多的信息,请关注我们的微信公众号
东美微信公众号

