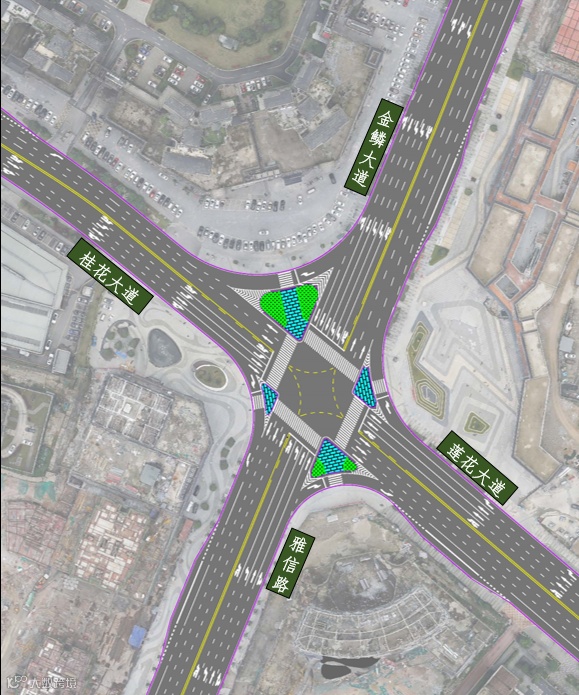
名家汇路口是万山区城市主干路金鳞大道、桂花大道、莲花大道交叉路口,也是从铜仁南站上下高速进出铜仁的必经之路,交通流量大。雅信路建成通车后,名家汇路口由原来的T型路口变为十字路口,交通流线发生重大变化,原有的交通标志标线及交通管理设备已不能满足该交叉口通行需求。
为了改善片区交通环境、梳理交通流线,最大程度提高名家汇路口交通通行能力,同时提高城市形象,以更好的适应万山区城市发展,需要对名家汇路口进行交通改造。
本次设计以名家汇路口交叉点起,向金鳞大道、雅信路、桂花大道、莲花大道各延伸200米作为交叉口改造范围,设计内容包括道路交通标线、交通标志、红绿灯、智能交通设备、港湾式公交站等。

项目区位图












