目前大城市交通拥堵已成为常态,解决城市道路交通压力最常用的方法是新建、扩建道路设施,然而道路设施建设速度往往跟不上诱增交通量增长速度,如广州市2020-2021年道路里程仅增长0.27%,而同期汽车保有量增长了7.5%。这便要求现阶段缓解城市交通拥堵“城市病”蔓延加重等问题需要另辟“蹊径”,对交通拥堵等突出问题要系统分析、综合施策,更多采用微改造这种“绣花”功夫,让城市留下记忆,让人们记住乡愁。
近年来,我院积极参与广州市交通微改造,通过挖潜道路通行能力,助力道路交通安全、有序、畅通建设上新台阶,推动广州实现老城市新活力、“四个出新出彩”。
交通微改造主要是结合国家及地方标准规范,对交通拥堵点、交通事故多发点、交通秩序混乱点等处的道路条件及附属交通设施使用情况进行评估,通过精细化、品质化、规范化改造,优化交通设施配置,引导交通流在时空上均衡合理分布,提高交通设施服务水平,保障交通安全、改善交通秩序、缓解交通拥堵。
交通微改造是交通改善的一类,在国土空间规划体系中属于详细规划层级。交通微改造一方面落实综合交通规划和交通专项规划等上位规划的要求,另一方面以精细化交通设计为核心,对断面、节点、设施等交通全要素进行深化落实,反馈至详细规划专项。

交通微改造在规划体系中的定位
通过交通承载力评价,对既有交通设施容量进行定量评估,针对适配性不足的现状交通设施,结合区域交通系统组织优化,对交通组织、街道功能、道路断面、道路节点、公共交通、慢行设施等内容进行微改造设计。

交通微改造主要工作内容
(1)实施周期短、改善成本小
微改造对象主要为现状交通设施,通过挖潜现有的交通设施能力改善现有交通状况。所以方案力求快速实现较好的改善效果,一般实施周期较短基本在一个月内。同时方案主要对既有交通设施进行优化提升,不涉及大规模交通设施新增建设,改善成本相对较小。
(2)系统性工程
微改造是一项系统工程,改造对象一般为道路,需要明晰其在道路系统中的功能定位,以及其在整个交通系统中的定位。这要求方案团队不仅要掌握详实的规划资料,还要精细化的模型来科学地制定方案、评估改善措施。
(3)多部门合作
交通微改造方案的落地实施需要采取“多部门协同、全流程跟踪”的工作模式,才能推进改造措施的高效实施。

全流程工作模式
交通微改造实践案例
广州大道位于广州城市中部,南北全长17.1公里,是连接白云、天河、海珠、番禺四区的城市中轴线,其周边是承载城市建设历史变迁历程最为集中的地区之一。
其中广州大道海珠北段位于海珠中部,周边集聚了区政府、TIT创意园、逸景翠园等人员密集点,交通出行量巨大。周边地区贯通性干道稀疏,南北交通集中于广州大道,东西交通集中于新港路;同时,次支路缺乏,地区交通干道集散交通与过境交通混杂,导致广州大道局部及沿线客村立交、逸景路路口等交通转换节点高峰时段交通较拥堵。
对标国内外先进城市,广州大道作为以市命名的迎宾大道,交通出行品质亟需改善提升。

晚高峰时段道路网络交通运作
客村立交节点为片区交通转换重要节点,立交共分四层,其中一层为南北向广州大道下沉式道路;二层为“8”字形道路地面层,主要满足小汽车及非机动车全转向功能和人行过街;三层环岛层实现全转向功能;四层为东西向新港路跨线桥。

客村立交(改善前)
(1)存在问题:机非混行效率低,道路资源未充分利用
由于东往北、西往北、西往南方向流量较大,客村立交二层东进口、西进口早高峰时段服务水平均为F级;二层机、非、人混行,秩序混乱,交通通行效率低;三层环岛由于新港路左转车辆通行交通量大,东西进口早晚高峰服务水平为E或F级。此外,客村立交二三层均可实现小汽车全方向转向存在一定的道路功能重叠与资源浪费。


二层交通秩序混乱现状
三层排队车辆过饱和


二层早高峰流量流向图
三层早高峰流量流向图
(2)优化思路:空间与功能上分离交通流
通过流量分析存在较多非左转交通使用转盘层,考虑从空间与功能上优化客村立交二三层,即二层地面层主要供小汽车右转、掉头,及非机动车、行人过街;三层环岛层主要供各方向左转及大车掉头,并增加环岛道路排队空间。
(3)微改造方案:优化交通组织与标志标线
客村立交三层环岛层则通过更改标志标线、增加指引牌,并取消车辆右转,实现四个方向的左转功能,保留现有掉头车道服务小车掉头,大车需绕盘行驶进行掉头,均衡交通流量,减缓三层进口道交通压力;同时,二层地面层承担人行交通以及各向车辆右转和小车掉头的功能,取消直行和左转行驶功能,并改造慢行道、增加物理隔离确保慢行通行安全、提升通行品质。

二层交通优化方案

三层交通优化方案
(4)实施效果:拥堵延时指数大幅降低
目前客村立交交通组织优化方案已实施。经评估,三层环岛层和二层地面层各进口道拥堵延时指数改善幅度为10%-25%,三层交通拥堵得到较大的缓解,同时二层慢行通行秩序也得到较大的提升,整体实施情况基本达到缓解广州大道交通拥堵的目标。客村立交微改造方案已于2018年9月实施,《珠江新闻》、《南方+》等媒体对此作了新闻报道,实施效果得到了业主单位与市民一致好评。

客村立交三层北进口道数据对比图改善前后交通拥堵系数对比


客村立交微改造前后对比

相关新闻报道
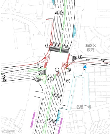
广州大道/逸景路交叉口位于海珠区中部,周边坐落区政府、万达广场、合生广场等交通吸引点,交通流量较大。交叉口整体服务水平为F级,晚高峰时常处于严重拥堵状态。

广州大道逸景路口早高峰(改善前)
(1)存在问题:直行车道高峰时段过饱和
南北进口道承担交通量过大,通行能力无法满足通行需求;交叉口交通转向功能过多,进一步加剧交叉口交通压力;南进口名粤广场出入口距离出口道过近,车辆进出对路口形成干扰。
(2)优化思路:优化交通组织,增加直行通行能力
通过压缩车道宽,增加车道数,增加广州大道直行车道通过能力,此外根据《广州大道改造提升研究》等规划,广州大道未来规划定位为城市快捷路,需保障主线交通连续、快速行驶,考虑将左转道调整为直行道,原左转功能通过绕行实现。
(3)微改造方案:系统优化进口道功能
①为缓解广州大道主线交通拥堵,保证主线交通畅通,调整交叉口交通组织,取消广州大道南北向左转(北往东、南往西),可减少交通转向,增加直行通行能力;
②北进口利用现状人行空间拓宽1条右转车道,原来右转车道调整为直行车道,同时增加导流岛;
③南进口增加导流岛并增大右转转弯半径不少于10m,同时前移停车线,缩短驶离交叉口距离;
④敦丰路进口道展宽为3车道,调整为1左转、1直左及1直右,并增加物理栅栏隔离;
⑤关闭名粤广场广州大道侧出入口,并调整至敦丰路;
⑥优化信号配时,取消左转相位。

渠化设计方案

信号灯优化方案


广州大道/逸景路南进口微改造前后对比
(4)实施效果:拥堵持续时间明显缩短
目前广州大道/逸景色路交通组织优化方案已实施。经评估,改善后,南北进口道交通拥堵比改善前均有明显改善,最高拥堵系数降幅达到20%,拥堵持续时间也均有明显的缩短,改善效果良好。

广州大道/逸景路交叉口南进口道改善前后交通拥堵系数对比
(1)存在问题:交通标线、管理失位
①叠景路(合生广场段)未设置道路标线与行人过街设施;
②内部部分道路年久失修,且存在人行道划线停车、占道经营等情况。
(2)优化思路:以人为本改善出行环境
①针对道路标线及行人过街设施微改造:在无信号灯控制人行横道路口,按照应设尽设的原则,增设“礼让斑马线”交通设施;
②针对地区道路品质:强调以人为本,融入人性化设计理念,提升行人行车的实际体验,彰显精细化品质化。
(3)微改造方案及实施效果
①细化叠景路道路标线,具体包括:“礼让行人”地面文字标识、纵向减速标线、反光道钉、人行横道菱形预告标识、村巴停靠区等,营造文明有序的交通出行环境。


改善前无交通标线
改善后交通有序

叠景路(合生广场段)行人过街设施、道路标线微改造方案示意图
②除了强调市政设施的功能性之外,更注重从群众的实际使用需求出发,在设计的同时同步考虑优化道路断面、改善路面铺装、设置“广州印记”护栏、消除路面高差等,使道路更加畅顺、空间更加开阔,提升地区交通出行品质。目前在项目片区内部已实施了3条道路改造优化。
改善前
改善后


聚德路优化慢行设施取消人行道停车


聚德中路优化道路断面


聚徳西路优化路面铺装改善街区功能
小工程不小,微改造不“微”,精细化操作体现系统思维。广州市交通微改造工作着眼于现有路网条件下的交通组织调整和交通设施改造,采取的措施主要是通过对交通流向、停车管理、车道分配、交通安全设施等进行全方位优化提升,不涉及大拆大建,只涉及交通信号灯、交通标志标线以及道路附属交通安全设施的调整,动作小、投入成本低、见效快、易于推广。交通微改造实施后,市民出行满意度及交通文明意识得到提升、车辆通行更加有序顺畅,道路交通出行更加安全、道路承载能力提升、停车资源得到更充分利用。道路“微改造”体现出整治交通拥堵的“技术含量”和“情感价值”,彰显着治理和服务的“大智慧”,凸显“人民交通为人民”理念。
广州市交研院在交通领域深耕二十余年,拥有丰富的交通改善与治理经验,近年来开展的交通微改造研究陆续得到落地实施。此类交通微改造项目焕发了既有交通设施的“新活力”,快速满足了广大市民美好出行需要,受到了政府与市民的高度认可。城市交通拥堵治理工作任重而道远,交研院还将持续致力于城市交通拥堵点治理工作,以更好地提升城市道路交通服务水平。
作者 | 交通规划二所 周洋 李华
编辑 | 技术质量所

