9月15日上午10时,广东省防总召开防御台风“山竹”战前动员会,省市主要领导亲自组织防御强台风“山竹”战前动员。会上透露,“山竹”登陆时间或将有变,由原来预计的16日夜间17日凌晨,提前到了16日傍晚前后,登陆风力将达到强台风或超强台风量级(15-16级),比去年强台风“天鸽”的强度更强。
图片来自网络
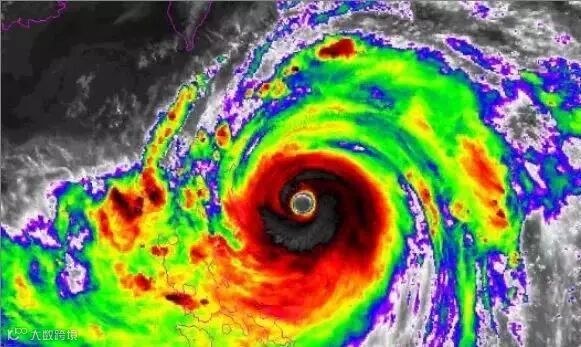
目前,“山竹”中心附近风力已经达到17级以上(65m/s即234km/h),这速度堪比高铁......
图片来自网络
受台风影响,广东、海南部分列车停运、航班取消、地铁限速……
图片来自网络
“山竹”的威力到底能达到一个怎样的量级
以下这组图片让你一目了然
“山竹”风眼大小初步推算是80公里
图片来自网络
超强台风"山竹"将正面袭击广东
图片来自网络
在太空中也能看到它庞大的身影
图片来自网络
广东的朋友们也都开始严阵以待了
图片来自网络
目前
超级台风“山竹”已逼近
广东省明天将有一场“硬战”要打
为保障人身及财产安全
尽量避免或减轻“山竹”给我们带来的影响和损失
绿地广东特此提醒大家
请务必做好防台风工作!
台风安全防范指南,绿地广东也已为您备上
“山竹”来势汹汹
绿地广东心系大家
在此
还要再次提醒正在等待台风来串门的您
密切关注台风动向和预报预警信息
提前做好防范,正确防灾避险,注意出行安全
免责声明:本宣传资料仅为要约邀请,买卖双方的权利义务以双方最终订立的商品买卖合同为准。本宣传资料对周边环境、商业配套、教育资格、政府规划、投资前景的介绍仅提供相关信息,并不意味着对此作出任何承诺。

