

友情提示:点击文末“阅读全文”,一键报价
小米洗衣机 [169台]
位置:江苏省南京市栖霞区
是否含税:不含税
标的规格:详见货单
出险时间:2022-06-23 17:10:00
受损原因:交通事故
受损程度:变形




酒店用品及百货 [1批]
位置:河南省郑州市管城回族区
是否含税:不含税
标的规格:批
出险时间:2023-07-07 22:20:00
受损原因:水湿
受损程度:中度




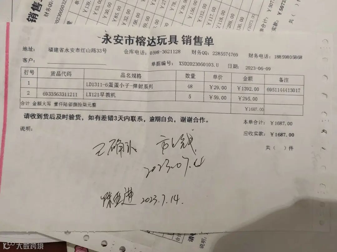
玩具 [1批]
位置:福建省三明市永安市
是否含税:不含税
标的规格:详见清单
出险时间:2023-06-07 18:08:00
受损原因:雨淋
受损程度:包装受损




家具 [35套]
位置:江西省南昌市西湖区
是否含税:不含税
标的规格:木柜、沙发等
出险时间:2023-03-17 16:14:00
受损原因:水湿
受损程度:中




百货 [431件]
位置:贵州省安顺市西秀区
是否含税:不含税
标的规格:一批百货
出险时间:2023-07-12 23:00:00
受损原因:交通事故
受损程度:一般




方太洗碗机 [4台]
位置:浙江省宁波市慈溪市
是否含税:不含税
标的规格:一批洗碗机
出险时间:2023-05-22 22:49:00
受损原因:交通事故
受损程度:一般




百货一批 [1批]
是否含税:不含税
标的规格:百货一批
出险时间:2023-05-21 14:24:00
受损原因:挤压碰撞
受损程度:部分变形




深润透肤补水面膜、发光小姐沐浴露 [552个]
位置:河南省新乡市牧野区
是否含税:不含税
标的规格:深润透肤补水面膜196盒发光小姐沐浴露356瓶
出险时间:2023-06-29 10:56:00
受损原因:雨淋
受损程度:严重




报价方式
1、点击左下角“阅读全文”,一键报价
2、邮箱:kefu@e-baopai.com
3、客服电话:021-5026-0822
关于我们
保拍网”隶属于上海保拍拍卖有限公司,是一家专注于受损保险资产处置,提供在线议价和竞价交易等交易模式的,面向各类潜在企业用户和个人用户的专业受损保险资产交易平台。
保拍网”借助于专业的人才,丰富的各行业渠道、资源、用户,专注于互联网+、大数据、移动端在保险理赔领域末端的精细化应用,以最有效、快捷的方式寻找到合适货物的合适渠道,做到物尽其用。
点阅读原文,即可一键报价

