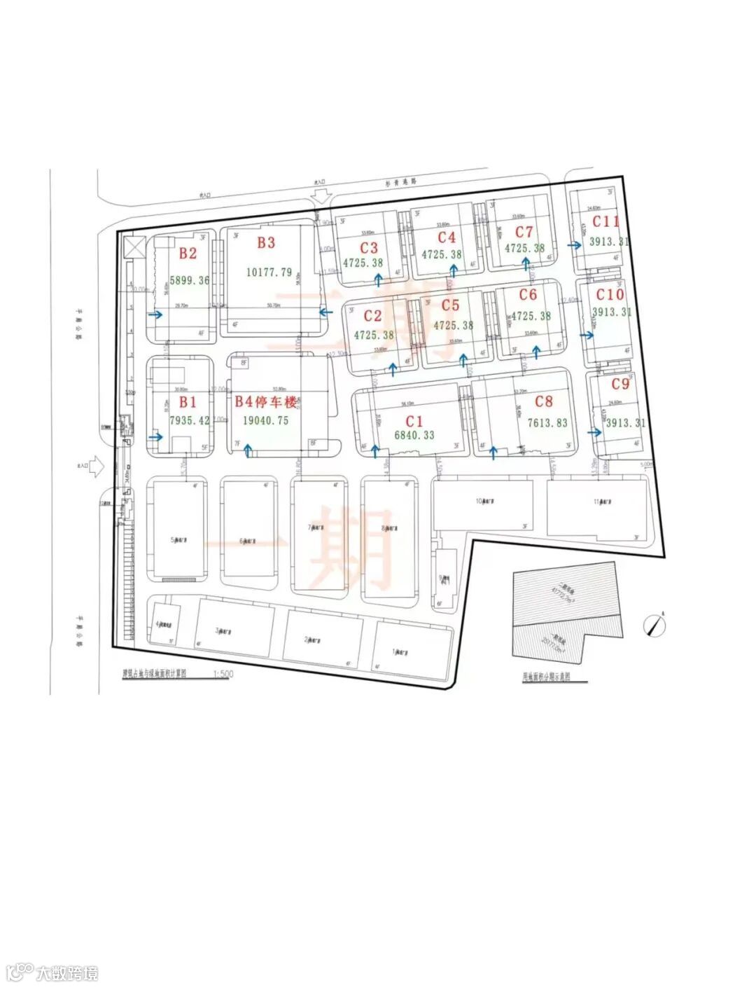
总规划103亩,一期30亩,二期73亩
【地址】
浙江省平湖市:嘉创智谷新仓远景产业园
【交通】
距上海金山区、松江区、奉贤区、青浦区、闵行区均在一小时左右车程
【规划】
沪平城际铁路第二站,从平湖区到上海南仅需50分钟。园区内规划建设7层立体车库
【面积】
3914.09㎡/幢;
4717.53㎡/幢;
5876.81㎡/幢;
6840.35㎡/幢;
7633.83㎡/幢;
10177.17㎡/幢;
【承重】
1楼2-3T/㎡;
2楼1T/㎡;
3楼1T/㎡
【优势】
楼上承重全为1T/㎡,叉车可楼上作业,楼上每层分别预留吊装口
【电梯】
井道货梯4.2mX3.3m,客梯2.3mX2.9m,超大预留口,客货分流,层层停靠
【层高】
底楼7.8米;
二楼7.8米;
三楼7.8米;
【行车】
自行定制
【交房时间】
2023年底
【行业导向】
智能制造、数字经济、高端装备制造、生物制造、特种制造等
【配套】
5G信号全覆盖、食堂、超市、咖啡厅、酒店式住宿、空中篮球场
【电话】
13391219793 微信 或 4000123021
【项目亮点】
目前现有入园企业均与项目开发商方保持了密切深度的合作,有对入园企业投资入股的,有为入园企业业务赋能的(资源整体、导入客户等)。























嘉兴平湖研发厂房招商中心
企业选址咨询接洽考察对接
嘉兴平湖研发厂房招商中心

关注公众号:园区产业招商
加入产业招商学习交流群


