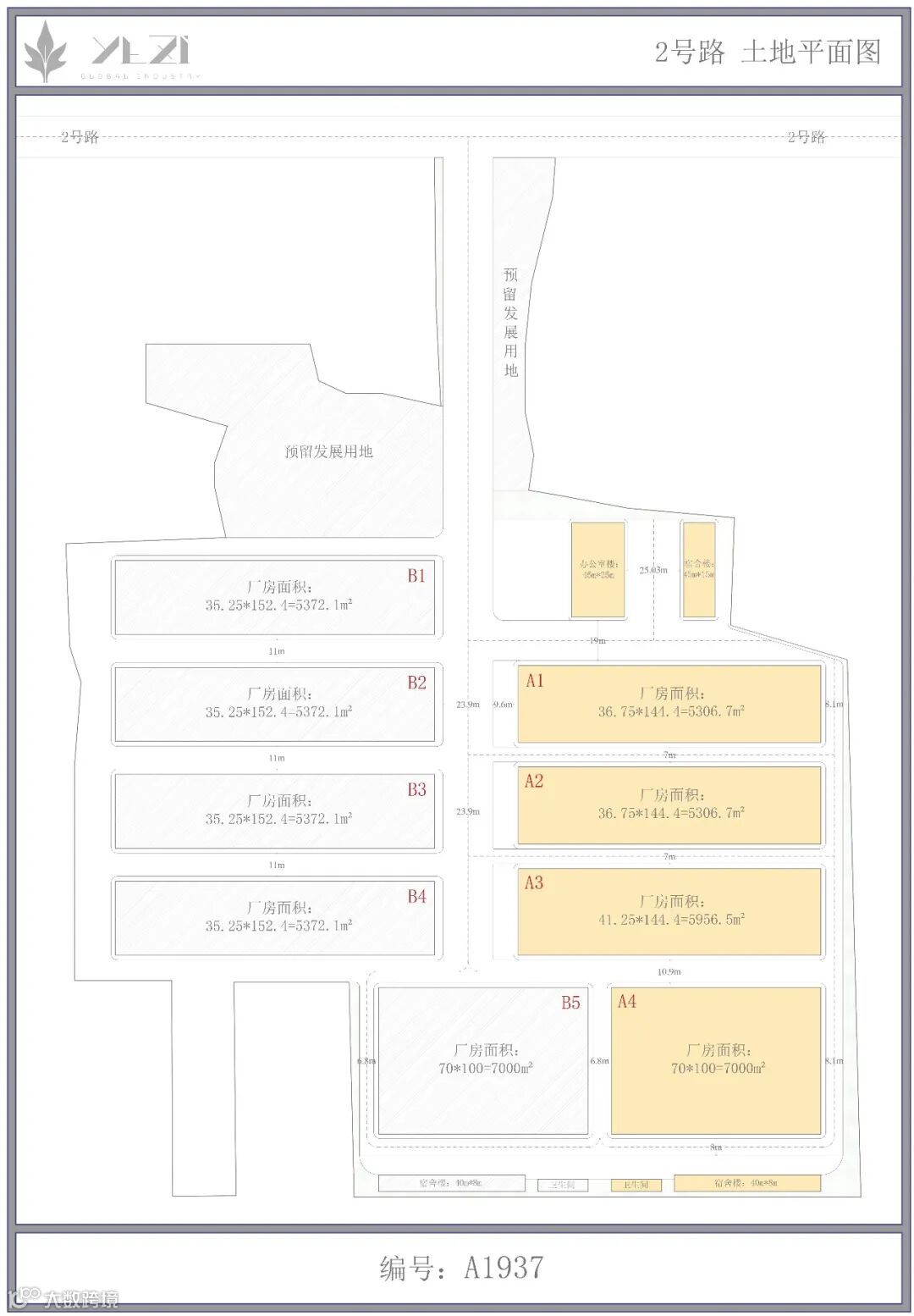
柬埔寨厂房出租|2号路 5000㎡(有三栋)7000㎡
编号:A1937
厂房1面积:5306.7㎡
厂房3面积:5956.5㎡
厂房4面积:7000㎡
租价:面谈
产权:硬卡

柬埔寨厂房租金约2美元/平 土地售价10-80美元/平
更多厂房土地查询 请点击【园区产业招商】
中资企业出海 泰国|越南|印尼|柬埔寨|马来西亚|墨西哥|美国


欢迎关注、点赞、转发
免责声明:
1.部分文字和图片来源于网络不对相关图片内容享有任何权利
2.我方重申:所有转载的文章、图片、音频视频文件等资料知识产权归该权利人所有,但因技术能力有限无法查得知识产权来源而无法直接与版权人联系授权事宜,若转载图片可能存在引用不当或版权争议因素,请相关权利方及时通知我们,以便我方迅速删除相关图文内容,避免给双方造成不必要的损失;
3.因文章中文字和图片之间亦无必然联系,仅供读者参考。
文章来源《网络》

