>>>
会议邀请
2025.5.15-17
CIBF 2025
复纳科技锂电行业综合解决方案
2025 年 5 月 15 日 - 17 日,CIBF 2025(第十七届深圳国际电池技术交流会/展览会) 将在深圳国际会展中心盛大召开。
此次展览会将集中展示全球动力电池、储能电池、3C 电池、各种电池材料、制造设备、动力及储能系统解决方案,特别将重点展示近两年来我国在各种乘用车、新能源客车及物流车用动力电池领域和新能源储能领域的一系列成果。
PHENOM SCIENTIFIC
本次展览会期间,复纳科技将携带飞纳锂电清洁度检测系统 ParticleX(行业标准)和扫描电镜制样设备 Technoorg Linda SEMPREP SMART 离子研磨仪进行现场演示和展出! 欢迎大家携带样品到现场交流和互动!
展位上还准备了免费领取精美小礼品的互动活动,欢迎莅临展台交流!
会议时间:2025年5月15日-17日
会议地点:深圳国际会展中心
展位号:10T136
复纳科技锂电行业综合解决方案
复纳科学仪器(上海)有限公司(以下简称“复纳科技”)致力于为样品制备与检测提供智能、高效、可靠的高科技解决方案,利用其技术优势与丰富的产品组合,深耕锂电行业,无论是锂电池失效分析和清洁度管控,还是正负极原材料粉末 ALD 包覆改性,积累了大量的锂电行业用户案例和应用经验,无助力研发生产与质量提升!
锂电池清洁度管控
飞纳电镜全自动锂电清洁度分析系统 ParticleX【行业标准】
锂电池中的铜、锌、铁等金属异物可能导致严重的安全事故,对金属异物的管控也已成为行业共识。飞纳电镜 ParticleX Battery 全自动锂电清洁度分析系统,基于扫描电镜+能谱法可自动识别、分析和统计铜、锌、铁等金属异物,进而帮助分析异物来源,改善生产条件,减少安全事故的发生。
磷酸铁锂
金属异物的统计结果(筛分法)
金属异物的平均成分(筛分法)
自动获取的磷化铁的详细信息
往期推荐 ●●
// 1
// 2
// 3
// 4
锂电池失效分析
飞纳台式扫描电镜 + 离子研磨仪
1
2
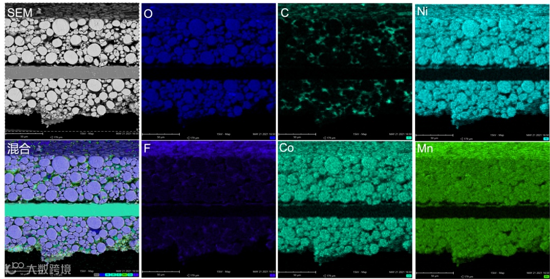
飞纳台式扫描电镜可用于观测正极、负极、隔膜、铝箔等原材料,也可以用于观测极片中浆料、导电剂、粘结剂分散情况,观测辊压前后材料开裂,也能分析失效极片的黑斑区、穿刺处的形貌和元素成分,这些检测对锂电池性能提升、生产效率提高和电池安全性的改善都有重要意义。
磷酸铁锂 20000x
硅碳负极 5000x
通常情况下,极片等样品需要观测截面结构,通过离子研磨仪进行氩离子无应力处理。
正极极片断面进行能谱面扫分析(离子研磨制样)
飞纳电镜型号推荐
01
不挑安装环境
可灵活放置于产线旁、厂房、高楼层等复杂环境
02
全球 5000+ 用户选择
稳定性高,让精密仪器无后顾之忧
03
人人都可以操作的电镜
无需专人操作,培训 30 分钟即可上手
04
原厂集成能谱仪
一分钟给出 SEM 和元素分析 2 个结果
往期推荐 ●●
// 1
// 2
// 3
锂电池质量控制
Avizo Trueput 电池质量控制软件
Avizo Trueput 电池质量控制软件为电池质量提供了一套全面的工作流程,旨在彻底检查电池样本。从处理原始图像到生成详细的合格/不合格报告,Avizo Trueput 电池质量控制软件确保客观的结果,同时最大限度地减少操作者偏差。这种标准化方法使您对数据更有信心,从而能够做出明智的决策。
锂电池无损检测内部缺陷
X 射线台式显微 CT
显微CT技术能够提供电极材料的高分辨率三维图像,使研究人员能够详细观察材料的孔隙率、颗粒大小、形状和分布。这些参数对于理解电池的充放电行为、锂离子的插入/脱出动力学以及电极反应的均匀性至关重要。
Neoscan N90 纳米 CT 具有 40nm 超高分辨率,样品尺寸大小为 100mm x 400mm,可选配集成的 XRF 系统,进行化学成分分析,钾(K)以上可分辨。这种方法对于理解电池的内部机理、评估电池的质量以及提高电池的安全性具有重要价值。
Neoscan NXL 台式大仓显微 CT 则可以容纳 320mm x 540mm 样品。
使用 Neoscan N90 高分辨纳米CT 以 580nm 体素尺寸扫描锂电池,内部结构得以清晰展示。
往期推荐 ●●
// 1
// 2
// 3
锂电池正负极原材料包覆改性
粉末 ALD 原子层沉积包覆(支持代包覆)
锂电池材料的整体质量除了从工艺以及安全方面着手外,从材料性能本身出发进行改性,提升电池的性能同样重要。表面包覆则是其中最重要的改性手段之一,通过特定的功能性涂层包覆,提升电池的整体性能。而原子层沉积技术(atomic layer deposition, 简称 ALD)由于其出色的共形性以及自限制性,可以实现原子层级别的薄膜厚度控制,在近年来逐渐被工业界重视。ALD 包覆后的电极材料,表现出更优异的电化学性能及使用寿命。
Forge Nano 采用原子层沉积技术(ALD),可提供从包覆研发到工业生产的全套解决方案,包括:流化床技术、旋转床、振动床等。实现从毫克到吨级的粉末处理量,您可以轻松实现从实验室到生产的产品开发计划。ALD 可应用于多种正负极粉末材料,具有延长电池周期寿命、减少气体生成、减少锂不可逆损耗和高电压工作稳定性等优势。
往期推荐 ●●
// 1
// 2
如果您想了解更多产品详情和应用案例,欢迎扫码快速咨询:
咨询热线:400 857 8882
复纳科技产品














