WEBINAR
近年来,全球锂电产业规模持续扩张。2024 年我国锂电总产量达 1170GWh,同比增长 24%,行业总产值突破 1.2 万亿元大关(工信部数据)。随着新能源应用场景的不断拓展,检测技术已成为推动行业高质量发展的关键引擎。
作为行业标杆会议,"锂离子电池检测技术与应用"网络会议已成功举办六届,累计吸引近万名专业人士参与。2025 年 5 月 27 日 - 29 日,第七届会议将再次升级,汇聚产学研用顶尖专家,聚焦"实验室到产线"的全链条技术创新,内容覆盖锂电原材料成分分析技术、锂电原材料物理性能分析技术、锂电热安全分析技术、锂电失效机理与分析技术、固态电池与钠电分析技术前沿进展等,为行业发展提供专业交流平台,助力相关产业可持续发展。
复纳科技报告
5 月 29 日 10:00-10:30
复纳科学仪器(上海)有限公司应用工程师蔡维佳将在专场四--锂电失效机理与分析技术应用专场,带来【锂电池失效分析、清洁度管控与原材料 ALD 改性研究】主题报告,报告时间为 2025 年 5 月 29 日 10:00-10:30,欢迎报名预约观看。
PART 01
锂电池失效分析
飞纳台式扫描电镜 + 离子研磨仪
1
2
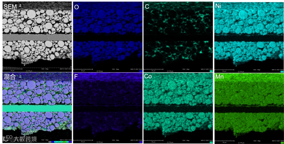
飞纳台式扫描电镜可用于观测正极、负极、隔膜、铝箔等原材料,也可以用于观测极片中浆料、导电剂、粘结剂分散情况,观测辊压前后材料开裂,也能分析失效极片的黑斑区、穿刺处的形貌和元素成分,这些检测对锂电池性能提升、生产效率提高和电池安全性的改善都有重要意义。
磷酸铁锂 20000x
硅碳负极 5000x
通常情况下,极片等样品需要观测截面结构,通过离子研磨仪进行氩离子无应力处理。
正极极片断面进行能谱面扫分析(离子研磨制样)
往期推荐 ●●
// 1
// 2
// 3
PART 02
锂电清洁度管控
锂电池中的铜、锌、铁等金属异物可能导致严重的安全事故,对金属异物的管控也已成为行业共识。飞纳电镜 ParticleX Battery 全自动锂电清洁度分析系统,基于扫描电镜+能谱法可自动识别、分析和统计铜、锌、铁等金属异物,进而帮助分析异物来源,改善生产条件,减少安全事故的发生。
磷酸铁锂
金属异物的统计结果(筛分法)
金属异物的平均成分(筛分法)
自动获取的磷化铁的详细信息
往期推荐 ●●
// 1
// 2
// 3
// 4
PART 03
锂电池质量控制
Avizo Trueput 电池质量控制软件
Avizo Trueput 电池质量控制软件为电池质量提供了一套全面的工作流程,旨在彻底检查电池样本。从处理原始图像到生成详细的合格/不合格报告,Avizo Trueput 电池质量控制软件确保客观的结果,同时最大限度地减少操作者偏差。这种标准化方法使您对数据更有信心,从而能够做出明智的决策。
PART 04
锂电池正负极原材料包覆改性
粉末 ALD 原子层沉积包覆(支持代包覆)
锂电池材料的整体质量除了从工艺以及安全方面着手外,从材料性能本身出发进行改性,提升电池的性能同样重要。表面包覆则是其中最重要的改性手段之一,通过特定的功能性涂层包覆,提升电池的整体性能。而原子层沉积技术(atomic layer deposition, 简称 ALD)由于其出色的共形性以及自限制性,可以实现原子层级别的薄膜厚度控制,在近年来逐渐被工业界重视。ALD 包覆后的电极材料,表现出更优异的电化学性能及使用寿命。
Forge Nano 采用原子层沉积技术(ALD),可提供从包覆研发到工业生产的全套解决方案,包括:流化床技术,旋转床,振动床等。实现从毫克到吨级的粉末处理量,您可以轻松实现从实验室到生产的产品开发计划。ALD 可应用于多种正负极粉末材料,具有延长电池周期寿命、减少气体生成、减少锂不可逆损耗和高电压工作稳定性等优势。
往期推荐 ●●
// 1
// 2
更多应用案例可点击下方按钮下载
如果您想了解更多产品详情和应用案例,欢迎扫码快速咨询:
咨询热线:400 857 8882
复纳科技产品










