



一、核查情况
执法人员到 “鲜越海鲜加工店”进行检查,该店营业执照名称“北海市银海区蟹仔海鲜加工店”,已取得《营业执照》和《食品经营许可证》,该店海鲜池里的海鲜产品已全部明码标价,其中青蟹(带绳称) 98元/500g,马蹄螺58元/500g,白鸽螺48元/500g,一点红(鱼)88元/500g ,皮皮虾48元/500g,象拔蚌138元/500g。执法人员现场对该店电子秤进行计量标准检测,该秤显示数据准确,未发现有短斤少两情况。

二、处理情况
(一)、针对舆情提到的“一叠炒青蟹549元,10只马蹄螺290元,车螺芥菜汤206元”问题。执法人员在该店当场捞出3只青蟹(带绳)进行称重,电子秤显示为5.7斤,其中1只青蟹(带绳)1.9斤(青蟹1.1斤,绳子0.8斤);
捞出10只马蹄螺称重显示为4.4斤;
按该店平时做法,称好4.2斤白鸽螺(直接捞到黑色袋子称),倒进与该网友消费时店家使用的一样大小的白色盘子进行称量显示7.5斤(不含黑色带水袋子),随后再次单独称盘子为3.7斤,黑色袋子(带水)为0.4斤。
因此,直接捞到黑色袋子称4.2斤白鸽螺是足秤的(7.5斤+0.4斤-3.7斤=4.2斤)。
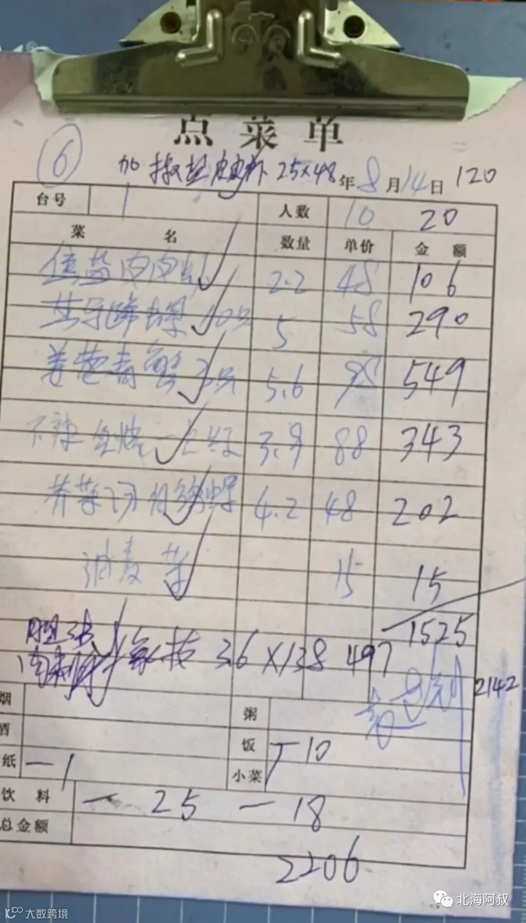
(二)、针对“南宁美食博主自爆被坑!在北海吃海鲜花了2206元,大家看看是不是真坑”问题。
经核实,该网友一行10人在该店2020年8月14日的消费金额为“2206”元,实际支付金额为“2095”元,菜单上标示有“蒸马蹄螺10只 5(斤) 58(元/斤) 290元、姜葱青蟹3只 5.6(斤) 98(斤/元) 549元;红烧一点红 3.9(斤) 88(元/斤) 343元、芥菜汤白鸽螺4.2(斤) 48(元/斤) 202元”等内容。该菜单已经消费者签字确认,现场检查的标价与投诉价一致。

(三)、关于价格高问题,餐饮服务物价一般由商家根据自身生产经营成本和市场供求状况自主制定。
经调查,无相关证据证明该店存在“宰客”行为,执法人员现场对经营者进行了批评教育,要求其诚信经营,防止此类消费纠纷再次发生。
8月19日,执法人员通过电话将调查核实的情况告知该网友,该网友表示理解。
- END -
· 爆款推荐 ·
&
&
&
&
➤内容来源:北海市场监督管理局、抖音视频截图 | 版权归原作者所有
➤图文编辑:北海阿叔|豆腐 |转载请注明
➤北海阿叔 商业推广联系:bhv108(请备注店名)
商家招聘如需刊登信息 联系阿叔
|急聘|——拾螺记餐饮
招聘职位:
前台收银员,后厨操作员,洗碗保洁员,男女均可。
薪资待遇:
包吃住+底薪+全勤+考核+奖金+提成+工龄工资。
工作地点:
重庆路店、前进路店、北部湾广场店、杭州路店。
应聘热线:18775795916(海城区重庆路店)18777984613(银海区杭州路店)15007793457(海城区前进路店、北部湾广场店)







