
今年虽然受到疫情影响
但是全市旧改任务
目标不变!
↓↓↓
据上观新闻报道
2020年中心城区
要完成成片二级旧里以下
房屋改造55万平方米
粗略统计
预计动迁居民约2.8万户
01
金陵东路旧改地块
二轮签约率高达99.29%
金陵东路,距离南京东路商圈一步之遥。1月6日是金陵东路旧改地块第二轮征询正式签约的第一天,有2102证居民完成签约,签约率达到99.2%,创造黄浦旧改首日签约新纪录。签约后6天,一些居民就已搬迁离场。
据了解,金陵东路旧改地块征收工作完成后,占地面积超过7万平方米,在上海市中心,堪称史诗级城市更新工程。总投资额预计将会超过500亿的豫园站上盖开发即将进入下一阶段,土地出让在即。
02
乔家路西块
首日签约率超90.05%
乔家路地块作为目前上海市规模最大的旧改项目,涉及居民3300余证、近3800户。为做好征收服务,乔家路旧改地块采用“一次征询、分块实施”的工作模式,以光启南路为界分东、西两块,有序推进。
乔家路地块的征收改造是由黄浦区与上海地产集团合作推进。目前乔家路东块已签约选房已经在去年6月启动。而去年12月,乔家路西块二轮征询也顺利进行,签约率达到90.05%,成功签约权证数2467证,再创新高。
据了解,目前乔家路西块旧改正在加快推进,居民搬走后,地块将在2020年就开工建设。
03
五坊园四期
首轮征询99.30%同意率
小东门街道五坊园四期旧城区改建项目房屋征收一轮意愿征询投票活动在东江阴街181号桑园居委进行。最终同意率99.3%。
根据《上海市国有土地上房屋征收与补偿实施细则》规定,愿意改建的户数超过地块总户数的90%以上,将启动该地块的旧城区改建工作。
五坊园四期东至糖坊弄、南至东江阴街、西至跨龙路、北至中华路,该地块旧改需求由来已久。春节后,地块将启动二轮旧改征询。未来地块的开发将由区属国企上海南房(集团)有限公司与民企融创集团对地块进行联合开发。
04
董家渡14号地块
意愿征询赞成率99.5%
去年12月底,黄浦区董家渡14号地块(二期)旧城区改建项目一轮意愿征询,最终以99.50%的高赞成率通过。
该地块东至董家渡14号地块一期、南仓街40弄小区,南至东江阴街,西至中华路、糖坊弄,北至董家渡路。
和五坊园四期一样,该地块也将在春节后启动二轮旧改征询。地块同样将由区属国企上海南房(集团)有限公司与民企融创集团对地块进行开发。
05
虹口区万安路地块
当天签约率97.83%!
去年12月底,虹口区万安路地块旧改征收传来新消息。当天上午9时,共有496证居民签约,签约率达到97.83%,成功生效。
据了解,虹口区万安路地块共涉及7个地块,房屋征收范围为:东至新市南路,南至奎照路,西至华严路弄地,北至公安街,共有居民507证818户、企事业单位75证,占地面积约36000平方米。
为了解决旧改的资金难题,上海城投(集团)有限公司与虹口区政府合作,首创“政府收回土地、市区国企合作接盘”新模式推进旧改。
未来,万安路地块的规划将与江湾镇整体规划统筹推进,打造出一个商、住、办综合开发的滨水空间。如果项目推进顺利,将力争在2021年开工建设。
06
静安区257 、258街坊
1月动迁安置款发放
同样是去年12月底,宝山路街道257 、258街坊旧城区改建项目征收生效仪式隆重举行。据了解,宝山路街道257 、258街坊旧改征收地块共有1826证居民签约,签约率达到99.24%,远远超过了90%的签约生效比率。今年1月,该地块的动迁安置款已经发放。
07
静安育群中学西块
签约100%奇迹
静安区育群中学西块创造了抽号率100%,签约100%的奇迹。育群中学西块基地东至共和新路、南至芷江西路、西至大统路、北至中山北路。育群中学西块居民302证419户,在册人口1432人,单位8证。
地块征收签约刚生效,一些居民便请征收部门找搬场公司帮他们搬迁。今年1月,地块居民已经开始陆续搬迁。
08
静安区北宝兴路基地
6个半小时!100%签约!
去年9月28日,北宝兴路基地旧城区改建一轮意愿征询137证174户以100%全票通过。12月18日,北宝兴路基地旧城区改建项目摸号率达100%。12月20日,静安区共和新路街道北宝兴路基地集中签约第一天,居民签约率在六个半小时内到达100%,刷新了上海旧改地块征收签约的纪录。
据悉,北宝兴路基地旧城区改建房屋征收范围东至北宝兴路、南至柳营路、西至成套公房小区、北至洛川东路。今年1月,签约居民迎来了首批集中搬迁的幸福时刻。
09
虹口区138街坊
第一轮征询同意率97.79%
3月8日,虹口区138街坊启动第二轮方案签约工作,成为鼠年首个启动的旧改基地。第一轮征询同意率97.79%,其中居民征询同意率为100%。
据悉,虹口区138街坊东至舟山路,南至周家嘴路,西至公平路,北至岳州路,占地面积22075平米,居民总证数860证,其中新工房54证。旧里公房785证、旧里私房21证,共1011户。
疫情期间,为确保第二轮方案征询工作顺利实施,基地将采取“线上优先,线下预约”的签约模式,鼓励居民通过电话、微信等“非接触”方式签约;必须到现场签约的,实行预约登记。
根据上观新闻报道,2020年上海中心城区将完成二级旧里以下房屋改造55万平方米、2.8万户。其中,剩余零星旧改地块改造,共计完成8.7万平方米、3600余户。按照这样的速度,在未来5年中,将有10万户的居民收益旧城改造和城市更新。
2020,上海有哪些地方要拆迁了?
闵行

黄浦
-
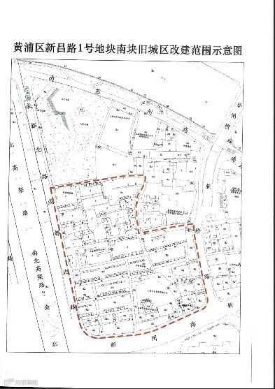
新昌路1号地块北块列入旧城区改建范围。上述地块房屋征收范围:东至新桥路,南至新桥路51弄,西至九子公园,北至南苏州路

-
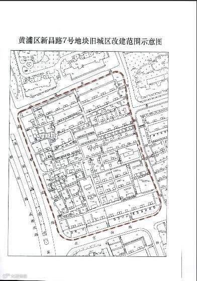
新昌路7号地块列入我区旧城区改建范围。上述地块房屋征收范围:东至新昌路,南至北京西路,西至成都北路,北至山海关路

虹口
浦东

松江

宝山

嘉定

崇明

重点关注
一大波拿到安置款动迁居民
将实现改善居住生活的梦想
涉及2.8万户,并非一个数字
短期内足以拉动房地产市场
可能会改变今后的楼市格局
注:内容来源于上观新闻、上海黄浦、上海虹口、上海静安、上海住建委、上海动迁、上海楼市情报等信息综合整理,仅供参考


