“
#最新消息#
浦东·内中环 纯新盘
【浦发仁恒·北蔡源】等待入市
将推约90-250㎡ 洋房&合院
户型图&效果图曝光
识别二维码
进入“【浦发仁恒·北蔡源】”看房通道
案场销售会第一时间与您联系
高清效果图
01
楼盘信息
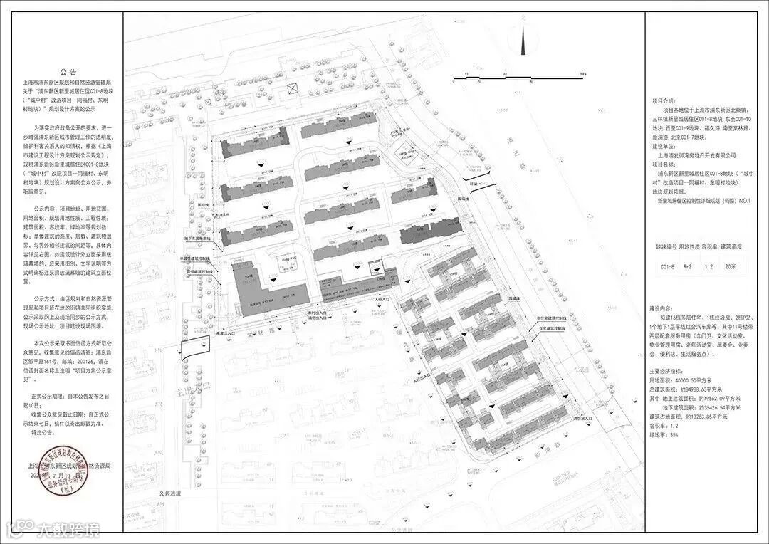
浦发仁恒`北蔡源 是仁恒和浦发在北蔡合作开发的项目,北面是凯利海华府。
再来回顾一下地块信息:
🔷 四至范围:东至C01-10地块,南至规划道路、盛苑路,西至C01-9地块、规划道路,北至C01-7地块(地块四至范围应以附图红线为准)• 土地用途:普通商品房
🔷 出让面积(㎡):40000.5• 容积率:普通商品房 1.2• 出让年限:普通商品房 70年• 起始价:19.3亿元• 起始楼板价:40207元/平• 竞得企业:上海浦发御湾房地产开发有限公司
根据出让要求,该地块限高20米,全装修比例100%,中小套比例不低于70%,对住宅套数下限不作限制。竞得人需自持不低于15%的建筑面积用于租赁。
02
推售信息
【浦发仁恒北蔡源】户型图(仅供参考)
03
周边配套
交通方面,项目距离13号线华鹏路站约1.5公里。
医疗方面,板块周边有几家不错的医院,比如塘桥的仁济医院东院、儿童医学中心,第九人民医院(浦东分院)等。
生态方面,有大华北公园、三林世博主题公园等。
本文由《沪房新传播》团队整理
更多资讯请关注公众号获取
上海购房政策
点击图片了解详情
热盘推荐
识别二维码
进入“【浦发仁恒北蔡源】”看房通道
案场销售会第一时间与您联系
识别二维码
进入“群”看房通道
案场销售会第一时间与您联系
媒体矩阵
觉得有用的话,记得“分享·收藏·点赞·在看”哦!













