“
#最新消息#
徐汇华泾超级综合体
【华之门】一期
住宅规划设计方案出炉!
4栋26层高层住宅
指导价约8.1万/㎡!
识别二维码
进入“【华之门】”看房通道
案场销售会第一时间与您联系
01
基本信息
去年9月23日,第三批次集中土拍中,徐汇城投集团联合招商蛇口,以22.6亿元竞得华泾镇xhpo-0001单元d2b-1地块;同时联合嘉华集团、上海龙华,以37.3亿元竞得华泾镇xhpo-0001单元d1-2、d5b-1地块。
两宗地块为「华之门」首次出让的地块,一幅为纯宅地,另一幅为商住用地。
示意图
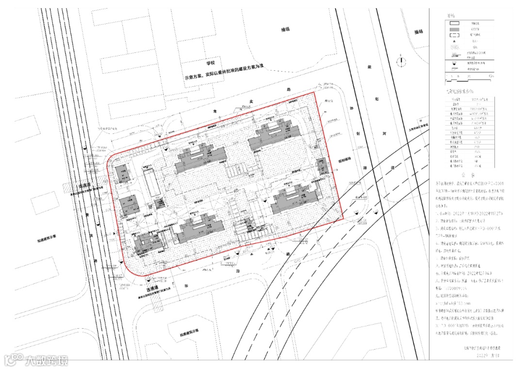
日前,d2b-1地块规划设计方案已公示。
该地块位于华之门综合体东北方位,东至规划绿化,南至华泾路,西至景洪路,北至育实路,土地面积18095.6平方米,容积率2.5。
根据方案,d2b-1地块拟建4栋26层高层住宅和1栋10层保障房,房地联动价8.1万/㎡。
此外,d1-2地块土地面积19086平方米,容积率2.5。按照规划,用途为商品住宅,计划建设高层住宅,主力户型为中小套型。d5b-1地块土地面积26217平方米,容积率5.65。规划用途为商办餐旅用地,计划建设高层及150米超高层的商办楼栋,且规划有餐旅酒店。
华泾位于整个徐汇的最南端,外环线在华泾北部穿过。
华之门项目是地铁15号线、19号线(规划)华泾西站上盖综合体。地上总开发体量81.28万㎡,超过新鸿基徐家汇中心ITC中心(58万㎡),直逼西岸金融城(地上108.7万㎡)。
在超81万㎡的地上开发规模中,产品形态可谓包罗万象:商办占了80%以上,足足有约65.6万㎡,另有住宅约9.3万㎡(约950 套),酒店约10万㎡,还有教育、社区服务配套等约6.4万㎡,建筑限高150米。
华之门总商业面积将达到30万㎡,是兴业太古汇、国金中心商业面积的3倍多,建成后将是徐汇区最大的商业地标!其中地上商业面积24万㎡,地下商业规划面积也超过了6万㎡。
02
项目周边
项目是地铁15号线、19号线(规划)华泾西站上盖综合体,并可通过通道直接连通23号线(规划)、机场联络线(在建)华泾路站。
不仅有优越的交通基础,区域内产业规划也十分硬核。华泾定位“全球高水平科学策源地”,是以科技、商务、生活为一体且结合公共交通布局的科技商务社区。
华发路上的北洋人工智能小镇正在建设中。该项目在2018年获批,总用地面积约54.3公顷,建设规模约100万平方米,定位打造具有全球影响力人工智能新地标。
本文由【沪房新传播】团队整理
转载请声明出处
上海购房政策
点击图片了解详情
热盘推荐
识别二维码
进入【华之门】看房通道
案场销售会第一时间与您联系
识别二维码
进入“群”看房通道
案场销售会第一时间与您联系
媒体矩阵
觉得有用的话,记得“分享·收藏·点赞·在看”哦!













