“
#最新消息#
虹口区江湾镇板块
城投控股江湾镇旧改万安路项目
首发地块
【江岸嘉苑】
将推108-136m²3-4房
全套户型图及效果图曝光
识别二维码
进入“【江岸嘉苑】”看房通道
案场销售会第一时间与您联系
01
产品信息
项目总计一共有7幅地块
包含了住宅套数超过620套
以小面积为主,包含高层公寓
6层8层的洋房产品,2-3层的合院、联排
沿着走马塘一字排开
项目将分两期开发销售,一期包括ABC三个小地块,这次曝出备案名的只是C地块!二期为DEFG四个小地块。
A地块规划建设5-8层多层和联排别墅,共71套房源,容积率1.35。
产品包括建筑面积约136㎡4房2厅2卫洋房以及约192㎡联排别墅。
户型图如下👇
B地块规划建设1幢17层住宅和商业,容积率2.94,住宅一梯两户设计。
产品包括建筑面积约108㎡3房2厅2卫,中间套户型;约142㎡4房2厅2卫,边套户型。
户型图如下👇
C地块规划建设一幢18层高层和两幢6层多层,容积率2.33。
产品包括建筑面积约108㎡3房2厅2卫,约136㎡4房2厅2卫。
户型图如下👇
02
拍地信息
2019年9月,上海城投集团与虹口区政府签订战略合作协议,并成立上海城虹万岸建设发展有限公司,以旧区改造和城市更新相结合的新模式,拿下了虹口江湾的万安路项目。
虹口万安城市更新项目整体效果图
去年11月9日,城投集团旗下的城投控股与虹口区人民政府共同签订《万安路地块国有建设用地使用权出让协议》。
以人民币44.2亿元价格获得了虹口区江湾镇街道HK0031A-14、HK0031-12、HK0012A-08号地块(旧改项目)使用权。
以及虹口区江湾镇街道HK0012G-28、HK0012H-29、HK0015-07(部分)、HK0015-06号地块(旧改项目)使用权,共计7个地块。
城投拿下的7幅地块位于虹口江湾镇核心位置,是一个毛地旧改项目,总占地面积仅有约3.2万平方米,每一个地块仅有几千平米的大小。
同时,7幅地块中间穿插了两条自然河流,一座滨河绿地,多条道路。该项目也是城投在露香园之后,再度拿下上海的城市更新住宅项目。
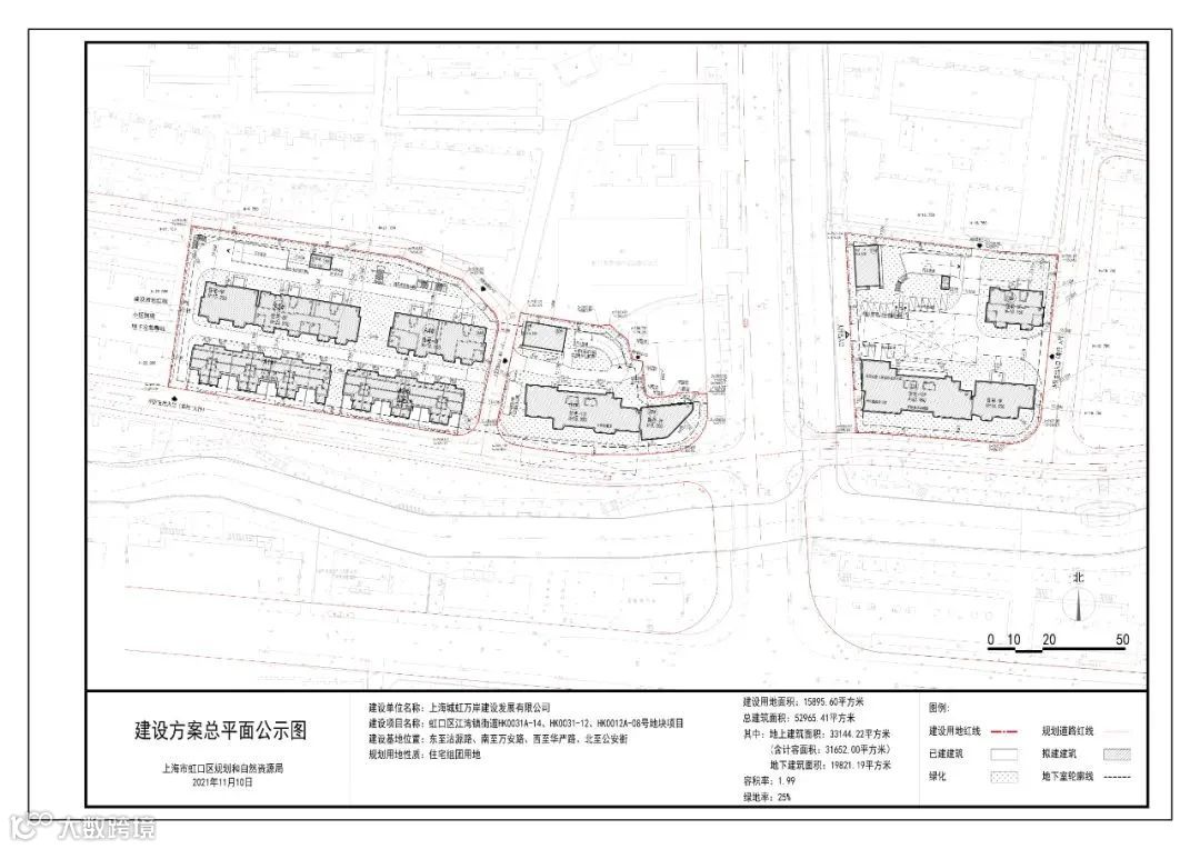
具体规划虹口区江湾镇街道HK0031A-14、HK0031-12、HK0012A-08号地块(旧改项目)。
建设基地位置:东至沽源路,南至万安路,西至华严路,北至公安街建设用地性质:住宅组团用地建设工程性质:住宅、配套建筑建设用地面积:15895.6平方米总建筑面积:52965.41平方米其中地上建筑面积33144.22平方米(含计容面积31652平方米)地下建筑面积19821.19平方米容积率:1.99
虹口区江湾镇街道HK0012G-28、HK0012H-29、HK0015-07(部分)、HK0015-06号地块(旧改项目)。
建设基地位置:东至新市北路,南至奎照路,西至池沟路,北至公安街建设用地性质:住宅组团用地(其中HK0012G-28地块含社区级公共设施用地)
建设工程性质:住宅、配套建筑(含社区配套)
建设用地面积:16088.2平方米
总建筑面积:88625.93平方米其中地上建筑面积54190.09平方米(含计容面积51775平方米)
地下建筑面积34435.84平方米
容积率:3.22
03
项目介绍
项目介绍江湾镇位于虹口区西北部,面积0.66平方公里,江湾以虬江蟠曲于此而得名,距今近千年历史。
新的万安路项目的设计方案,也串联起了江湾镇的历史性地标,保留并提升走马塘沿岸城市文化。
在旧区改造中既注重保护好历史地段、自然景观、人文环境,也注重保护街巷街区格局,让人文保护与旧区改造实现“双赢”。
虹口万安路周边文化地标万安路项目共分为7个零散地块,项目距总占地面积仅有约3.2万平方米,每一个地块仅有几千平米的大小,同时,7幅地块中间穿插了两条自然河流,一座滨河绿地,多条道路,属于上海的城市更新住宅项目。
城投的方案将7个独立的地块和滨水空间相结合,通过对商业、绿化、广场界面的有机穿插、整合,使原来相对碎片化的地块,织补成为一个与景观河道交相辉映、有节奏的公共长廊,和谐统筹滨水区公共空间与新建建筑,提升走马塘滨水区域的整体环境品质。
同时,为确保周边居民能享受更好的公共配套,城投控股在设计中对周边道路市容全要素品质进行了提升,包括街道美化、架空线入地、河道绿化改造等。在街区重构中,结合架空层、街道开放界面、社区围合空间,打造共享互动的社区交流场所,营造有温度、和谐的邻里氛围,延续江湾居民的烟火气息。
虹口万安路周边文化地标
本文由【沪房新传播】团队创作
转载请声明出处
上海购房政策
点击图片了解详情
热盘推荐
识别二维码
进入“【江岸嘉苑】”看房通道
案场销售会第一时间与您联系
识别二维码
进入“群”看房通道
案场销售会第一时间与您联系
媒体矩阵
觉得有用的话,记得“分享·收藏·点赞·在看”哦!













