“
#最新消息#
虹口·江湾镇
全新盘
【虹盛里】
等待入市
将推约63-197㎡高层&洋房&联排
共计451套房源
均价99600元/㎡
全套户型图首发
识别二维码
进入“【虹盛里】”看房通道
案场销售会第一时间与您联系
01
基本信息
2019年9月,上海城投集团与虹口区政府签订战略合作协议,并成立上海城虹万岸建设发展有限公司,以旧区改造和城市更新相结合的新模式,拿下了虹口江湾的万安路项目。
2021年年11月9日,城投集团旗下的城投控股与虹口区人民政府共同签订《万安路地块国有建设用地使用权出让协议》,以人民币44.2亿元价格获得了虹口区江湾镇街道HK0031A-14、HK0031-12、HK0012A-08号地块(旧改项目)使用权,以及虹口区江湾镇街道HK0012G-28、HK0012H-29、HK0015-07(部分)、HK0015-06号地块(旧改项目)使用权,共计7个地块。
7幅地块的总地上计容面积超过8.3万平方米,包含了住宅套数超过620套,户型面积不大,产品类型却包罗万象,包含高层公寓、6层8层的洋房产品以及2-3层的合院及联排别墅,沿着走马塘一字排开,独有韵味。
项目一直都很低调,为大家挖来了一些项目效果图,提醒大家:以下只是过程设计方案里的效果图,仅供参考!
从图上来看外立面应该是铝板+大面积玻璃组成的,建筑顶部采用了市面上少见的弧形塔冠装饰,视觉效果比较丰富。
部分地块的一层带有架空层,规划有一些儿童活动设施、会客交流、健身设施等功能,可以满足不同年龄段业主不出小区即可活动、社交。
项目总体分两期开发销售,一期包括ABC三个小地块,二期为DEFG四个小地块。现已开工建设。
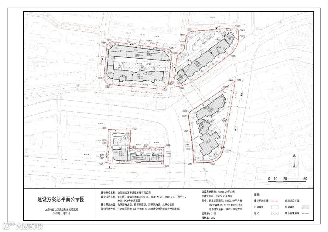
示意图
万安路项目一期平面图
万安路项目二期平面图
最新效果图如下:东区
西区
02
周边配套
万安路项目位于拥有千年历史的虹口江湾镇核心位置,是一个毛地旧改项目。江湾镇位于虹口区西北部,面积0.66平方公里,江湾以虬江蟠曲于此而得名,距今近千年历史。
新的万安路项目的设计方案,也串联起了江湾镇的历史性地标,保留并提升走马塘沿岸城市文化,完成对历史和文脉的追溯和重构,强化城市肌理的保留,展现鲜明的社区个性特点,在旧区改造中既注重保护好历史地段、自然景观、人文环境,也注重保护街巷街区格局,让人文保护与旧区改造实现“双赢”。
虹口万安路周边文化地标
万安路项目共分为7个零散地块,项目距总占地面积仅有约3.2万平方米,每一个地块仅有几千平米的大小,同时,7幅地块中间穿插了两条自然河流,一座滨河绿地,多条道路,属于上海的城市更新住宅项目。
城投的方案将7个独立的地块和滨水空间相结合,通过对商业、绿化、广场界面的有机穿插、整合,使原来相对碎片化的地块,织补成为一个与景观河道交相辉映、有节奏的公共长廊,和谐统筹滨水区公共空间与新建建筑,提升走马塘滨水区域的整体环境品质。
同时,为确保周边居民能享受更好的公共配套,城投控股在设计中对周边道路市容全要素品质进行了提升,包括街道美化、架空线入地、河道绿化改造等。在街区重构中,结合架空层、街道开放界面、社区围合空间,打造共享互动的社区交流场所,营造有温度、和谐的邻里氛围,延续江湾居民的烟火气息。
交通方面:项目距离3号线江湾镇站直线距离约900米。19号线(在建)车站北路站直线距离仅200m,将来出行十分便捷。自驾方面,周边有中环高架、南北高架、逸仙路高架等快速路。
教育方面,项目周边有凉城第四小学以及江湾初级中学。
医疗方面,项目周边有同济大学附属上海市第四人民医院、上海中医药大学附属岳阳中西医结合医院等。
本文由【沪房新传播】团队创作
转载请声明出处
上海购房政策
点击图片了解详情
热盘推荐
识别二维码
进入“【虹盛里】”看房通道
案场销售会第一时间与您联系
识别二维码
进入“群”看房通道
案场销售会第一时间与您联系
媒体矩阵
觉得有用的话,记得“分享·收藏·点赞·在看”哦!













