“
#最新消息#
重磅!
浦东地铁11号线三林站500米
「香印城建三林项目」
规划设计方案已公示!
预计建15幢6-19F的商品住宅
和1幢公共配套项目已动工!
浦东三林板块,香印城建三林社区项目(浦东新区三林社区Z000701单元15-15B地块)已开工。
实景图
识别二维码
进入“「香印城建三林项目」”看房通道
案场销售会第一时间与您联系
01
项目信息
香印城建三林项目即浦东新区三林社区Z000701单元15-15B地块,该地块属于三林镇金光村“城中村”改造项目的一部分。
地块位置图
2022年12月2日,浦东新区人民ZF官网公示了该地块的出让结果,经过遴选,上海香印城市建设投资发展有限公司以总价332640万元竞得该地块,楼板价37096元/㎡,无联动价!
来源于浦东规划和自然资源局官网
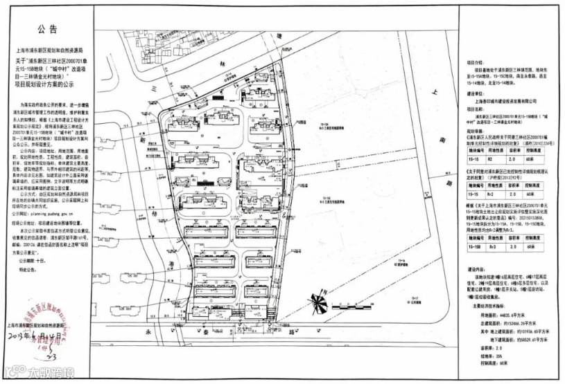
该地块规划设计方案已经公示。项目拟建设1栋16F高层,6栋17F高层、2栋19F高层,6栋6F多层、1栋配套用房及其他配套设施。容积率2.0。
规划示意图
该项目西侧即是最新规划的前滩、三林滨江区域,可以共享这2个重磅规划板块的高能级配套。
示意图
02
周边配套
项目与11号线三林站直线距离约500米,步行可达,可直达前滩、徐汇滨江、徐家汇等核心商圈。自驾出行的话,周边临近中环路、外环高速、南北高架等多条主干道,日常出行非常便捷!
商业方面,项目西侧就是中房金谊广场,沿永泰路往东约1.5公里还有新达汇商业综合体,可完全满足日常生活所需。
教育方面,周边有三林小学、上海育人中学、三林中学东校等。
识别二维码
进入“「香印城建三林项目」”看房通道
案场销售会第一时间与您联系
本文由《沪房新传播》团队整理
更多资讯请关注公众号获取
上海购房政策
点击图片了解详情
热盘推荐
识别二维码
进入“群”看房通道
案场销售会第一时间与您联系
媒体矩阵
觉得有用的话,记得“分享·收藏·点赞·在看”哦!

