台风紧急电报!
就在刚刚
国庆超强大台风横空出世!
风力17级!横跨1500公里!
最新路径图指向我国
“发来国庆贺电!!!”
……
现在,此刻
无论你在哪里在干什么
请抓紧看,台风大消息
假期可能有变!!

24小时连跳三级!
17级国庆超强大台风
横空出世!
今天下午5时
今年第25号台风“康妮”
突然猛烈爆发
完成打怪升级
直冲17级,加强为超强台风!

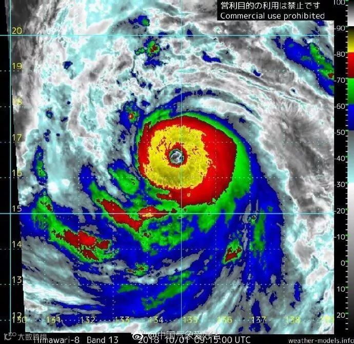
@中国气象爱好者:康妮台风下午突然开挂一样的猛烈爆发,已经爆出超过山竹和潭美的强烈对流和清晰细小台风眼。这也让康妮的最大风力从15级突增到17级,成为超强台风。如果增强趋势继续,康妮甚至有可能在冷水坑前超过山竹,成为今年新“风王”。

刚刚18:14分,@中央气象台敲定:今年第25号台风“康妮”今天(10月1日)下午5点钟由强台风级加强为超强台风级,中心附近最大风力17级(58米/秒),中心最低气压925百帕,七级风圈半径380-400公里,十级风圈半径180-200公里,十二级风圈半径80公里。

这个国庆台风不得了!
昨天的它还是热带风暴级
到今天竟24小时内连跳三级!
今早卫星云图监测就可见
“康妮”已成结构对称
且直径接近1500公里的大台风……

▲10月1日08时50分葵花-8号卫星监测到的“康妮”。
直到下午
变幻形态启动完成:
热带风暴→强台风→超强台风

请欣赏,最新曝光云图
17级来势汹汹!!
强力台风眼
滚滚旋转欲望似火
中心台风眼清晰可见
结构匀称、核心区域紧密...

最新路径图指向我国
预报明天进入48小时警戒线
将进入东海,靠近华东
预报显示:
台风“康妮”今天(10月1日)14时台风中心位于菲律宾马尼拉偏东方约1530公里的西北太平洋洋面上。

预计,“康妮”将以每小时18公里的速度向西北方向移动,逐渐趋向台湾以东洋面,应该明天就有可能能进入48小时警戒区。

▲强台风“康妮”后期路径,底图为10月1日08时葵花-8号卫星云图,路径预报位置为中央气象台1日09时发布的“康妮”未来5天预报位置,由台风监测标注。
目前,官方台风预报机构的主观预报都已一致认为“康妮”会在10月5日白天穿过琉球群岛进入我国东海东部海域,并有进一步向我国华东沿海靠近的可能。
而数值预报模式预测的路径结果却有着较大的分歧:欧洲中期天气预报中心ECMWF集合预报系统近期始终认为“康妮”未来路径更偏西一点,集合平均路径认为会在浙江近海一带转向,甚至有近30%的概率会先登陆台湾后登陆浙闽;
美(NCEP)、英(UKMO)两个集合预报系统则认为“康妮”会在东海东部海域提前转向。

▲ECMWF、NCEP和UKMO集合预报系统预测的“康妮”后期路径。
特!别!提!醒!
这个台风可能在国庆后半段
造成影响!
对于“康妮”来说,长假最后几天的强冷空气将会是影响的关键。10月5日开始,进入东海且拥有着庞大环流的“康妮”会与南下冷空气结合对台湾、福建、浙江,江苏甚至上海等省市沿海地区带来不同程度的影响。具体的影响程度将取决于“康妮”最终的路径和冷空气强度。
“康妮”未来是提前转向,还是在东海近海转向,甚至是直接登陆台湾后再登陆福建浙江,仍然需要进一步监测分析。不过长假后期有计划前往台湾、福建和浙江沿海的朋友现在开始就需要密切关注“康妮”的东向,适时调整自己的出行规划。

对此
刚刚中央气象台的消息称
未来总体还是趋向我国
大概率会近海转向
但即便拐弯了
台湾,福建,浙江,上海,江苏
还是会受到风雨影响

另据福建气象最新发布:
在10月4日前“康妮”对江苏无影响
5号之后,可能给我省带来风雨影响
但其路径存在较大的不确定性
需要密切关注
返程的小朋友要小心了!

SO
国庆出行的朋友
台风康妮的走向和趋势
究竟会不会登陆我国或转向?
假期后半段的影响和变故
关注起来!
现在
赶紧再来看看!
最新出炉,请收好!
国庆天气预报!

来源:海峡导报、中央气象台、江苏气象、中国气象爱好者


