
点击上方通州微平台免费关注!
都说土拍是房价的晴雨表,
那么下半年的南通房价会如何呢?
7月5日上午10时,
下半年的南通第一场土拍如期而至,
▽

当天上午10点整,
通州城区R2019-005开拍,
一通你争我夺之后,
最终历经148轮鏖战
该宗地块最终被中南&华德收入囊中。

该宗地块的成交楼板价为7264.71元/㎡,溢价率14.35%.


-
在10:00竞拍开始之前,就已经有了10轮报价,足见此地的热度之高。

与之前半小时内动辄六七十轮的竞拍相比,该宗地块的竞价相比之下节奏就很缓慢了。R2019-005地块半小时内仅仅竞价了27轮,抛开竞价前的10轮,仅有17轮出价。

虽然节奏慢,但是开发商们韧性是十足的,缓慢地开启了拉锯战模式。10元10元地往上加,4个小时过去了也竞价了足足146轮。

14:04:08,经过148轮报价,此次竞价最终落锤,由南通达海华德房地产有限公司和南通中南新世界中心开发有限公司夺得。溢价率14.35%,楼面价7264.71元/㎡ 。

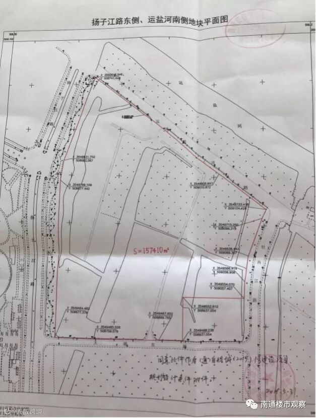
通州区R2019-005地块位于金沙街道扬子江路东侧、运盐河南侧,占地面积约236亩,容积率1.5≤容积率≤1.7,要求绿化率≥30.0%。




1、住宅建筑高度为11-18层,以小高层为主;
2、建筑风格为现代风格;
3、本宗地上绿化苗木随土地挂牌,总价值187万元人民币,竞得人在确认成交后支付给通州区财政局,凭支付凭证签订《国有建设用地使用权出让合同》,否则成交无效且没收竞买保证金(已转为定金的款项作为竞买保证金没收)。

区位交通:地块北至运盐河路,南至太湖路,西至扬子江路,东至牡丹江路,交通极为便捷;
生活配套:地块周边分布有通州万达广场、南山湖水街(在建中)等;
医疗配套:地块距离通州区中医院3KM,距离通州区人民医院4KM;
教育配套:区域内规划建三所幼儿园,另外地块周边还分布有育才中学、南山湖小学、通州区京师双语幼儿园等;
项目配套:地块周边分布有招商新城雍景湾、湖山源著、观澜台等在售项目;
运动休闲:地块周边分布有南山湖公园、南山寺、通州区体育中心等。
来源/南通楼市观察


通州微平台 一个通州人自己的公众号

长按,识别二维码,加关注
对我最大的支持,就是您的转发和点好看

