日前,南通市通州自然资源和规划局发布了三宗幼儿园地块规划条件批后公布。
分别为:金沙湾新区文昌东路北侧、金杏路西侧幼儿园,钟秀东路南侧、金安路东侧幼儿园,以及银河新区的银河幼儿园。
项目名称:金沙湾新区文昌东路北侧、金杏路西侧幼儿园地块
四址范围:南起文昌东路绿化带,北至用地红线,东起金杏路,西至用地红线。
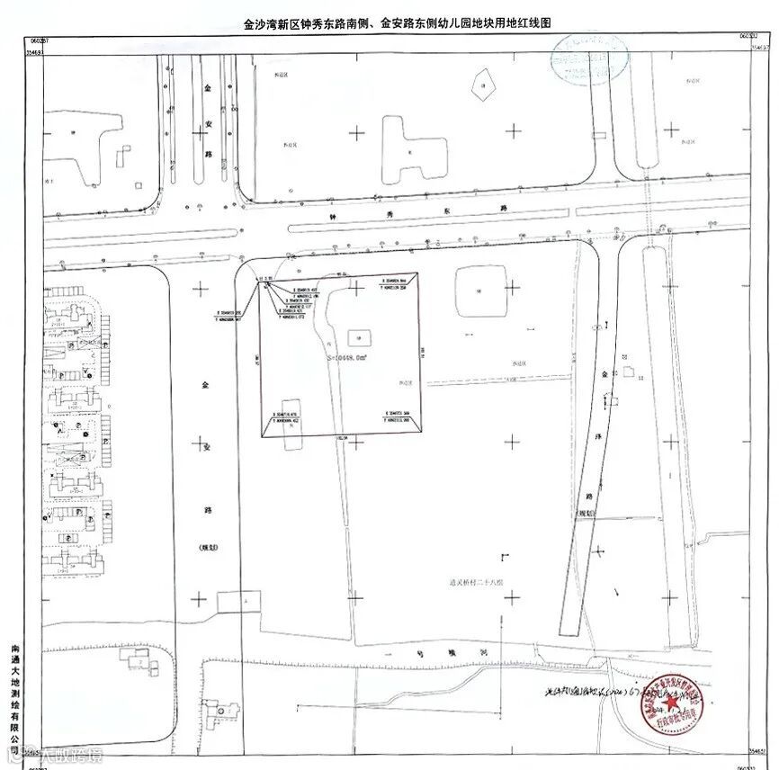
项目名称:金沙湾新区钟秀东路南侧、金安路东侧幼儿园地块
四址范围:南起用地红线,北至钟秀东路绿化带 ,东起用地红线,西至金安路绿化带。

金沙湾两宗幼儿园地块位置与周边开发示意图
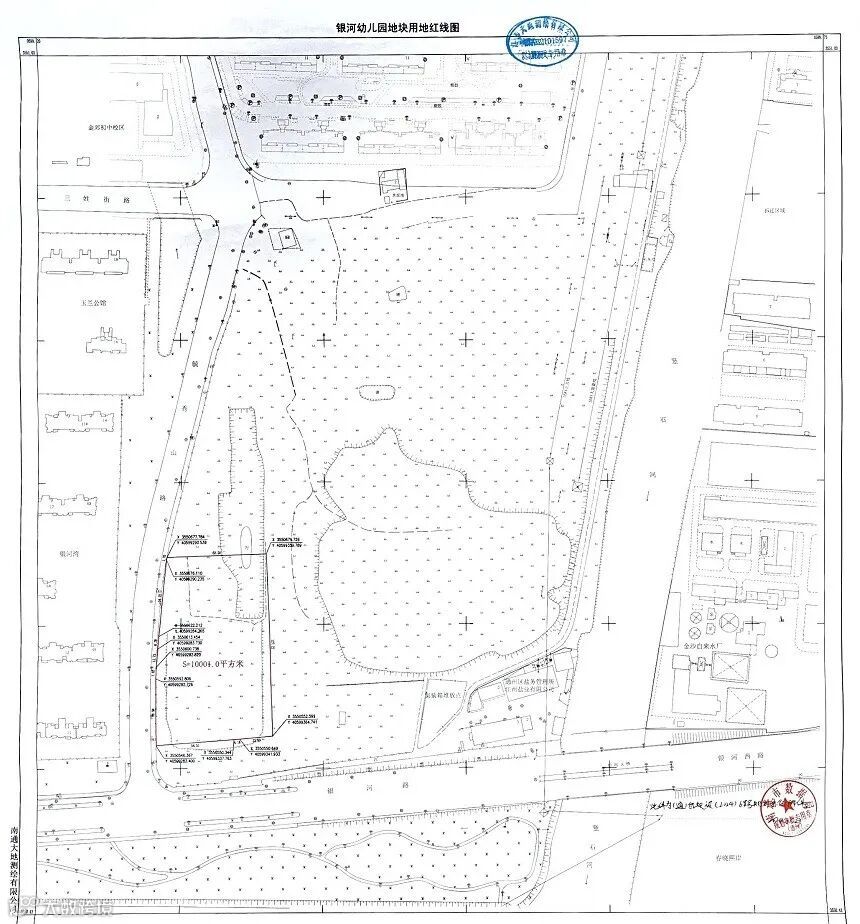
项目名称:银河幼儿园地块
四址范围:南起银河路绿化带,北至用地红线,东起用地红线,西至毓秀山路
用地性质:幼儿园用地
建筑性质:幼儿园
用地面积:10001㎡
容积率:0.55-0.7
建筑密度:≤40%
建筑高度:≤20米
绿地率:≥30%
住宅建筑层次:低层、多层




