
今天下午
南通公共资源交易中心发布搬迁工程招标公告
共包括4个标段,
涉及民居约400户,非居约12家,
搬迁总面积约25万平方米

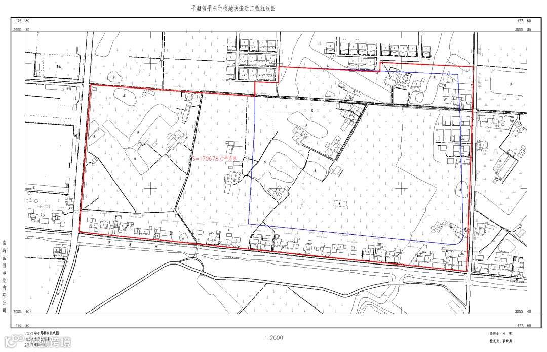
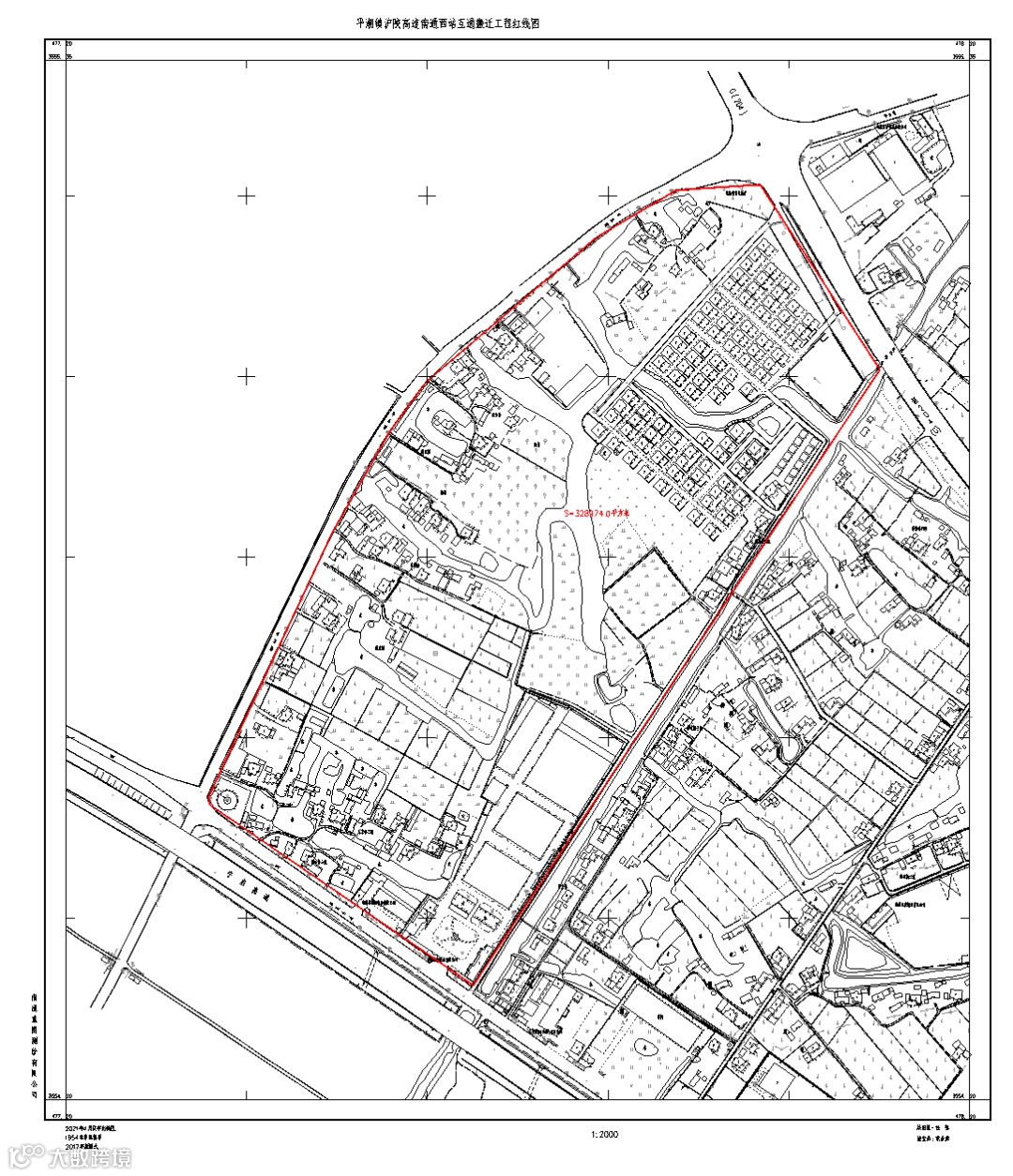
平潮镇平东学校、安置点、G40西站互通、九圩港沿线环境提升、殡仪馆南侧地块搬迁工程招标公告
平潮镇平东学校、安置点、G40西站互通、九圩港沿线环境提升、殡仪馆南侧地块搬迁工程(项目编号: Z320612210154(ZB071))已经通州区有关部门批准,资金已经落实,现决定对房屋征迁及拆除进行公开招标,择优选定承包人。
一、南通建仁房地产评估工程项目管理有限公司受南通市通州区平潮镇人民政府委托具体负责本项目的招标事宜。
二、招标项目的基本情况
1.招标范围:
一标段:平东九年制学校地块、殡仪馆南侧地块搬迁工程、九圩港沿线环境提升工程中的吉尔达,搬迁面积约6.1万平方米;


二标段:平东安置点地块、九圩港沿线环境提升工程中的成世重工,搬迁面积约6.2万平方米;

三标段:沪陕高速南通西站互通中的薛桥小区、九圩港沿线环境提升工程中的尧盛重工,搬迁面积约6.3万平方米;

四标段:沪陕高速南通西站互通(薛桥小区除外)、九圩港沿线环境提升工程(吉尔达、成世重工、尧盛重工除外),搬迁面积约6.4万平方米。


共涉及民居约400户,非居约12家,搬迁总面积约25万平方米,(最终结算按测绘实测面积计),共分四个标段。
2.招标内容:按工作规程、相应政策和专业技术要求提供房屋征迁服务及拆除服务,包含标段内地面建筑全部拆除和清障结束,并做好拆除地块的防扬尘措施。
3.资金来源:镇财政资金;
4.投标限价:委托征迁服务费为 9-12元/㎡(系统中开标一览表需填投标总价时,按250000*投标单价折算成总价填入系统中,评标以投标文件中投标函上所报单价评审),按测绘面积计取。(拆除残值由中标方所有,如联合体投标的,残值分配由联合体各方自行协商确认);
5.工程范围地点及征迁、拆除进度:详见房屋征迁、拆除计划表;

......

购房咨询添加微信nt36522
观察君拉你进买房交流群

免责申明:1/本文来源南通楼市网,仅供参考和交流,不构成直接投资建议;2/任何投资行为均有不同程度风险性,投资需理性;3/添加微信nt36522,观察君拉你进买房交流群.

