◤公众号对话框回复楼盘名称,查楼盘、加买房群◢
刚刚调整!
南通3宗用地规划有变
分别在主城区和创新区!

01.
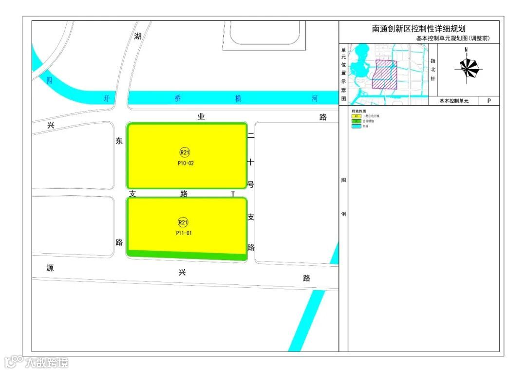
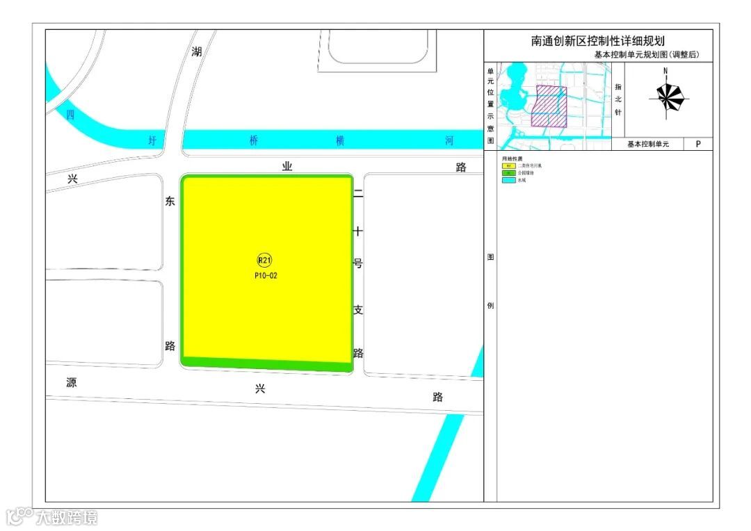
创新区P10-02、P11-01地块

《南通创新区P10-02、P11-01地块控制性详细规划调整》于2023年2月14日至3月15日进行公示,公示期间收到市民反馈意见,我局按照相关意见经与属地管理机构对接,对调整方案进行了优化,并征得市市政和园林、交警支队等部门同意。现就调整方案再次进行公示,时间自2023年3月16日起至2023年4月15日止。公众如有建议意见,请将书面意见邮寄至南通创新区管理办公室建设局(南通经济技术开发区崇州大道紫琅科技城6号楼1003办公室,信封上请注明“南通创新区P10-02、P11-01等地块控制性详细规划调整书面意见反馈”)或将书面意见发送至邮箱:tcbjsj@163.com。
联系电话:0513-59001080
一、调整原因
《南通创新区控制性详细规划》(以下简称《控规》)已于2017年9月经南通市人民政府批准。该规划自批准实施以来,为城市建设提供了科学的指导依据。因地块深化研究,南通创新区管理办公室提出对《控规》进行调整。
二、调整内容
1、取消支路T(湖东路至二十号支路段)。
2、调整后居住地块(P10-02)指标为:容积率≤1.4,建筑密度≤30%,绿地率≥30%,建筑高度≤30米,同时在地块内增设婴幼儿照护站和居家养老服务站。

调整前

调整后

02.
新城区01单元L1-04、05地块

南通市崇川区新城区01单元L1-04、05地块控制性详细规划调整》于2023年2月14日至3月15日进行公示,公示期间收到市民反馈意见,我局按照相关意见经与属地政府对接,对调整方案进行了优化,并征得市市政和园林、交警支队等部门同意。现就调整方案再次进行公示,时间自2023年3月16日起至2023年4月15日止。公众如有建议意见,请将书面意见邮寄至南通市自然资源和规划局崇川分局(崇川区青年中路128号,邮政编码226001,信封上请注明“南通崇川区新城区01单元L1-04、05地块控制性详细规划调整书面意见反馈”),或将书面意见发送至邮箱:ccghgs@163.com。
联系电话:0513-85665986
一、调整原因
《南通市崇川区新城区01单元控制性详细规划》(以下简称《控规》)已于2014年2月经南通市人民政府批准。该规划自批准实施以来,为城市建设提供了科学的指导依据。因地块深化研究,崇川区政府提出拟对《控规》进行调整。
二、拟调整内容
1、取消地块之间支路瑞远路(跃龙路至洪临路路段)。
2、将原商务用地(L1-04)、商业商务混合用地(L1-05)调整为居住用地(L1-04)。
3、调整后的地块指标为:容积率≤1.6,建筑密度≤28%,绿地率≥35%,建筑高度≤35米。地块内设置文体活动用房、卫生服务站、居家养老服务站、婴幼儿照护站等配套服务设施。

调整前

调整后

03.
创新区D9-01、D10-01等地块

《南通创新区D9-01、D10-01等地块控制性详细规划调整》于2023年2月14日至3月15日进行公示,公示期间收到市民反馈意见,我局按照相关意见经与属地管理机构对接,对调整方案进行了优化,并征得市教育、市政和园林、交警支队等部门同意。现就调整方案再次进行公示,时间自2023年3月16日起至2023年4月15日止。公众如有建议意见,请将书面意见邮寄至南通创新区管理办公室建设局(南通经济技术开发区崇州大道紫琅科技城6号楼1003办公室,信封上请注明“南通创新区D9-01、D10-01等地块控制性详细规划调整书面意见反馈”)或将书面意见发送至邮箱:tcbjsj@163.com。
联系电话:0513-59001080
一、调整原因
《南通创新区控制性详细规划》(以下简称《控规》)已于2017年9月经南通市人民政府批准。该规划自批准实施以来,为城市建设提供了科学的指导依据。因地块深化研究,南通创新区管理办公室提出对《控规》进行调整。
二、调整内容
1、局部取消科教路(胜利路至崇州大道段)。
2、取消地块内幼儿园,将科甲路北侧幼儿园由12班调整为15班。
3、调整后的居住地块(D9-01)指标为:容积率≤1.4,建筑密度≤30%,绿地率≥30%,建筑高度≤30米,同时在地块内增设婴幼儿照护站和居家养老服务站。

调整前

调整后

-END-
公众号对话框回复楼盘名称,
一键查楼盘详情、加买房群

免责申明:1/本文来源南通楼市网,仅供参考和交流,不构成直接投资建议;2/任何投资行为均有不同程度风险性,投资需理性;3/添加微信nt36522,观察君拉你进买房交流群。

