
对很多小伙伴而言,这十种植物简直就是童年最熟悉的玩伴啊,但要突然问它叫个啥名字,你一定会一下子兴奋起来,我知道我知道,叫那啥,那啥来?但就是叫不上来!



虎尾草,俗名棒槌草,它还有个更流行的俗名,叫大屁股草。一年生草本植物,分布在全国各地,北方居多,为家畜优质食草,但也是北方常见的农田杂草之一。适应性极强,耐干旱,路边、荒地、果园、 苗圃里常见它的身影。



刺蓟是一种叶上有刺的植物。据说在野外遇到刀割手或其它部位出现流血时,取刺蓟叶片揉烂以汁水滴于伤口并敷于其上,镇疼止血,效果良好。在陕西关中等一些面食地区,那里的人们还常用刺蓟做刺蓟面吃。



田旋花为多年生草质藤本,全身几乎无毛。根状茎横生,平卧或缠绕,种子椭圆形。野生于耕地及荒坡草地、村边路旁。可通过根茎和种子繁殖,常成片生长,缠绕向上,抑制庄稼生长,造成作物倒伏。所以小时候经常拔草的同学应该印象深刻。



马唐是一种禾本科植物。在全世界的温带、热带地区广泛分布。在咱们中国,主要分布分布于东北、华北、华中、华东、华南及西南,生于路旁、田野,既是一种优良牧草,但又是危害农田、果园的杂草。



荨麻,别名蜇人草、咬人草、蝎子草,是一种多年生草本植物,主要生于山地林中或路边。其茎叶上的蜇毛有毒,一旦碰上就如蜂蛰般疼痛难忍,因此有时候会见到果园鱼塘周围种了一圈作为防护栏的。



地黄属多年生直立草本植物,株高可达30厘米,喜温和气候及阳光充足的地方,怕积水,
常见于荒山坡、山脚、墙边、路旁等处。一般初夏开花,喇叭状,淡红紫色,具有较好的观赏性。



决明子,顾名思义,有明目功效,是豆科植物决明或小决明的干燥成熟种子。决明为一年生、直立、粗壮草本,高1-2米。花朵黄色,荚果细长,四棱柱形。喜高温、湿润气候,常见于山坡、路边和旷野等处。



龙葵,一年生草本植物,几乎全国各地均有分布。它的果实你一定有印象,直径约8毫米,成熟时呈黑色。喜欢生长于田边、荒地及村庄附近。我想弱弱的再加一句,其实我印象里都是在坟头上见到的,可能是那上边的没有被作为杂草除去吧。



常见于江苏、山东、安徽、河南等地。直接看图很多人会以为是没长大的西瓜或甜瓜吧,其实它长成了也就鹌鹑蛋大小。学名叫马泡瓜,具体到各个地方,那名字就多了,马宝、小马泡、小野瓜、小香瓜、马蜂蛋子等等等等,最好玩的就是把它的果实摘下来轻轻地慢慢的揉捏,直到软软的透明状,既好看又好闻。



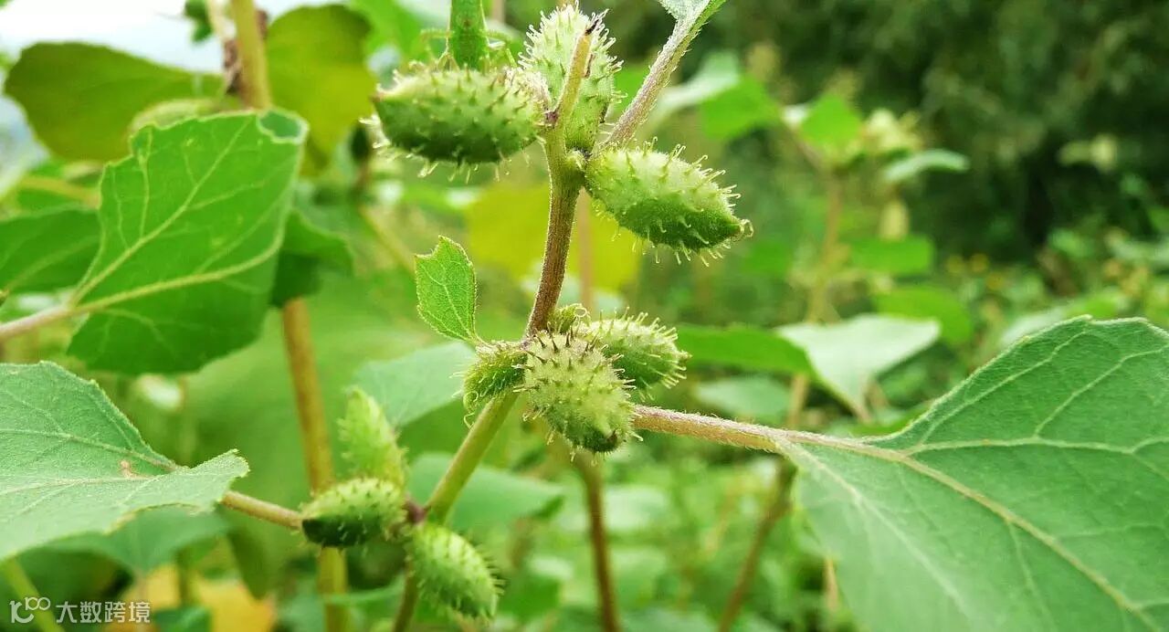
哦,原来你叫苍耳啊,小时候你可不叫这名啊,在大学里和同学讨论时才发现,它在全国各地还有很多个化名。小时候我们经常把它的果实粘在别人身上或者头发里,很难拿下来,甚至有同学为此被迫剪掉头发。


上海零极限文化传播有限公司出品

