
近日,又有一部分
镇乡街道村庄规划改造设计方案公示
有你的家乡么
快一起来看看吧~~~
歌山镇伍祥村伍庄自然村
村庄规划局部调整批前公示公告
[东村规字(2019)局调375号]
东阳市歌山镇伍祥村伍庄自然村村庄规划局部调整方案已由东阳市规划建筑设计院修改完成,现按规定程序将此规划调整方案进行公示。若对本规划调整有异议的,请在公示期内以书面形式向东阳市歌山镇政府或东阳市城乡规划处反馈;若无异议的,将按法定程序报经审批后实施。
公示时间:2019年12月9日至2020年1月24日。
东阳市歌山镇人民政府联系电话:86015556;
东阳市城乡规划处联系电话:86633943。
歌山镇人民政府 东阳市城乡规划处
2019年12月9日
南市街道大联村前新屋自然村
村庄规划局部调整方案批前公示公告
[东村规字2019-376号]
东阳市南市街道大联村前新屋自然村村庄规划局部调整方案由东阳市规划建筑设计院设计完成。现按规定程序分别在东阳市人民政府网站(www.dongyang.gov.cn)、南市街道办事处以及前新屋自然村予以公示,征求广大群众的意见。如对本规划方案有意见或建议的,请在公示期内来信、来电形式向市城乡规划处或南市街道办事处反馈。
公示时间:2019年12月9日—2020年1月24日
南市街道办事处联系电话:86010193
东阳市城乡规划处联系电话:86633943
南市街道办事处 东阳市城乡规划处
2019年12月9日
三单乡中村
村庄规划局部调整批前公示公告
[东村规字(2019)局调377号]
东阳市三单乡中村村庄规划局部调整方案已由东阳市规划建筑设计院修改完成,现按规定程序将此规划调整方案进行公示。若对本规划调整有异议的,请在公示期内以书面形式向东阳市三单乡政府或东阳市城乡规划处反馈;若无异议的,将按法定程序报经审批后实施。
公示时间:2019年12月9日至2020年1月24日。
东阳市三单乡政府联系电话:86130103;
东阳市城乡规划处联系电话:86633943。
三单乡政府 东阳市城乡规划处
2019年12月9日
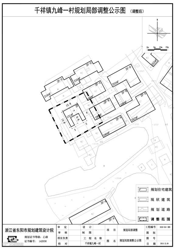
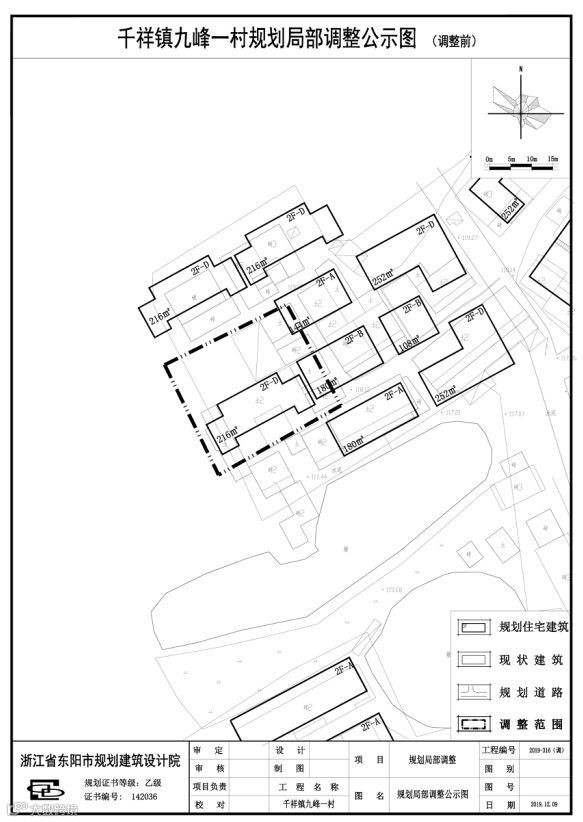
千祥镇九峰一村
村庄规划局部调整批前公示公告
[东村规字(2019)局调378号]
东阳市千祥镇九峰一村村庄规划局部调整方案已由东阳市规划建筑设计院修改完成,现按规定程序将此规划调整方案进行公示。若对本规划调整有异议的,请在公示期内以书面形式向东阳市千祥镇政府或东阳市城乡规划处反馈;若无异议的,将按法定程序报经审批后实施。
公示时间:2019年12月9日至2020年1月24日。
东阳市千祥镇政府联系电话:86446200;
东阳市城乡规划处联系电话:86633943。
千祥镇政府 东阳市城乡规划处
2019年12月9日
巍山镇同乐村乃更自然村
村庄规划局部调整方案批前公示公告
[东村规字2019-379号]
东阳市巍山镇同乐村乃更自然村村庄规划局部调整方案已由东阳市规划建筑设计院设计完成,现按规定程序将此规划调整方案进行公示。若对本规划调整有异议的,请在公示期内以书面形式向东阳市巍山镇政府或东阳市城乡规划处反馈;若无异议的,将按法定程序报经审批后实施。
公示时间:2019年12月10日至2020年1月25日。
巍山镇政府:86961121
东阳市城乡规划处联系电话:86633943
巍山镇政府 东阳市城乡规划处
2019年12月10日
千祥镇后周村(楼门)
村庄规划局部调整批前公示公告
[东村规字(2019)局调380号]
东阳市千祥镇后周村(楼门)村庄规划局部调整方案已由东阳市规划建筑设计院修改完成,现按规定程序将此规划调整方案进行公示。若对本规划调整有异议的,请在公示期内以书面形式向东阳市千祥镇政府或东阳市城乡规划处反馈;若无异议的,将按法定程序报经审批后实施。
公示时间:2019年12月10日至2020年1月25日。
东阳市千祥镇政府联系电话:86446200;
东阳市城乡规划处联系电话:86633943。
千祥镇政府 东阳市城乡规划处
2019年12月10日
千祥镇林甘村
村庄规划局部调整批前公示公告
[东村规字(2019)局调381号]
东阳市千祥镇林甘村村庄规划局部调整方案已由东阳市规划建筑设计院修改完成,现按规定程序将此规划调整方案进行公示。若对本规划调整有异议的,请在公示期内以书面形式向东阳市千祥镇政府或东阳市城乡规划处反馈;若无异议的,将按法定程序报经审批后实施。
公示时间:2019年12月10日至2020年1月25日。
东阳市千祥镇政府联系电话:86446200;
东阳市城乡规划处联系电话:86633943。
千祥镇政府 东阳市城乡规划处
2019年12月10日
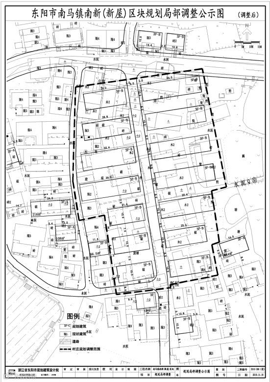
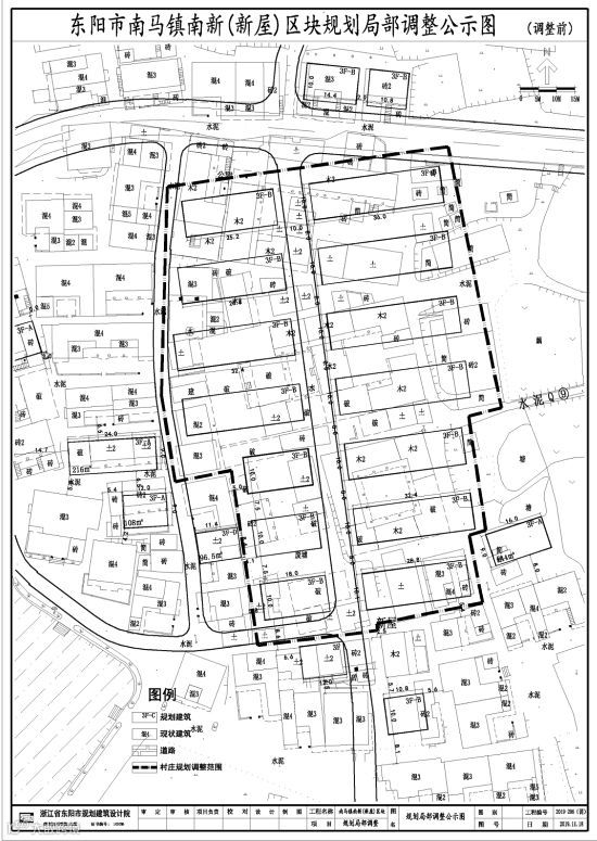
南马镇南新(新屋)区块
规划局部调整批前公示公告
[东村规字(2019)局调382号]
东阳市南马镇南新(新屋)区块规划局部调整方案已由东阳市规划建筑设计院修改完成,现按规定程序将此规划调整方案进行公示。若对本规划调整有异议的,请在公示期内以书面形式向南马镇政府或东阳市城乡规划处反馈;若无异议的,将按法定程序报经审批后实施。
公示时间:2019年12月12日至2020年1月27日。
东阳市南马镇人民政府联系电话:86015556;
东阳市城乡规划处联系电话:86633943。
南马镇政府 东阳市城乡规划处
2019年12月12日
东阳江镇上陈区块
规划局部调整批前公示公告
[东村规字(2019)局调383号]
东阳江镇上陈区块规划局部调整方案已由东阳市规划建筑设计院修改完成,现按规定程序将此规划调整方案进行公示。若对本规划调整有异议的,请在公示期内以书面形式向东阳江镇政府或东阳市城乡规划处反馈;若无异议的,将按法定程序报经审批后实施。
公示时间:2019年12月12日至2020年1月27日。
东阳江镇人民政府联系电话:86181003;
东阳市城乡规划处联系电话:86633943。
东阳江镇政府 东阳市城乡规划处
2019年12月12日
千祥镇岭脚村岭脚自然村
村庄规划局部调整批前公示公告
[东村规字(2019)局调384号]
东阳市千祥镇岭脚村岭脚自然村村庄规划局部调整方案已由东阳市规划建筑设计院修改完成,现按规定程序将此规划调整方案进行公示。若对本规划调整有异议的,请在公示期内以书面形式向东阳市千祥镇政府或东阳市城乡规划处反馈;若无异议的,将按法定程序报经审批后实施。
公示时间:2019年12月12日至2020年1月27日。
东阳市千祥镇政府联系电话:86446200;
东阳市城乡规划处联系电话:86633943。
千祥镇政府 东阳市城乡规划处
2019年12月12日
千祥镇隔塘村
村庄规划局部调整批前公示公告
[东村规字(2019)局调385号]
东阳市千祥镇隔塘村村庄规划局部调整方案已由东阳市规划建筑设计院修改完成,现按规定程序将此规划调整方案进行公示。若对本规划调整有异议的,请在公示期内以书面形式向东阳市千祥镇政府或东阳市城乡规划处反馈;若无异议的,将按法定程序报经审批后实施。
公示时间:2019年12月12日至2020年1月27日。
东阳市千祥镇政府联系电话:86446200;
东阳市城乡规划处联系电话:86633943。
千祥镇政府 东阳市城乡规划处
2019年12月12日
千祥镇柽溪村彤弓自然村
村庄规划局部调整批前公示公告
[东村规字(2019)局调386号]
千祥镇柽溪村彤弓自然村村庄规划局部调整方案已由东阳市规划建筑设计院修改完成,现按规定程序将此规划调整方案进行公示。若对本规划调整有异议的,请在公示期内以书面形式向东阳市千祥镇政府或东阳市城乡规划处反馈;若无异议的,将按法定程序报经审批后实施。
公示时间:2019年12月12日至2020年1月27日。
东阳市千祥镇政府联系电话:86446200;
东阳市城乡规划处联系电话:86633943。
千祥镇政府 东阳市城乡规划处
2019年12月12日
湖溪镇八里湾村上田自然村
村庄规划局部调整批前公示公告
[东村规字(2019)局调387号]
东阳市湖溪镇八里湾村上田自然村村庄规划局部调整方案已由东阳市规划建筑设计院修改完成,现按规定程序将此规划调整方案进行公示。若对本规划调整有异议的,请在公示期内以书面形式向东阳市湖溪镇政府或东阳市城乡规划处反馈;若无异议的,将按法定程序报经审批后实施。
公示时间:2019年12月12日至2020年1月27日。
湖溪镇人民政府联系电话:86610003;
东阳市城乡规划处联系电话:86633943。
湖溪镇人民政府 东阳市城乡规划处
2019年12月12日
歌山镇塘下村积塘湖自然村
村庄规划设计方案批前公示公告
[东村规字(2019)村规48号]
歌山镇塘下村积塘湖自然村村庄规划设计方案由东阳市规划建筑设计院设计完成。现按规定程序分别在东阳市人民政府网站(www.dongyang.gov.cn)、歌山镇政府以及积塘湖自然村予以公示,征求广大群众的意见。如对本规划方案有意见或建议的,请在公示期内来信、来电形式向市城乡规划处或歌山镇政府反馈。
公示时间:2019年12月11日—2020年1月26日
歌山镇人民政府联系电话:86016000
东阳市城乡规划处系电话:86633943
歌山镇政府 东阳市城乡规划处
2019年12月11日
湖溪镇范宅村
村庄规划设计方案批前公示公告
[东村规字(2019)村规49号]
东阳市湖溪镇范宅村设计方案由东阳市规划建筑设计院设计完成。现按规定程序分别在东阳市人民政府网站(www.dongyang.gov.cn)、湖溪镇政府以及范宅村予以公示,征求广大群众的意见。如对本规划方案有意见或建议的,请在公示期内来信、来电形式向市城乡规划处或湖溪镇政府反馈。
公示时间:2019年12月11日—2020年1月26日
湖溪镇人民政府联系电话:86610003
东阳市城乡规划处:86633943
湖溪镇政府 东阳市城乡规划处
2019年12月11日
江北街道永久小区金家庄区块
(危旧房整治改造)2017-2026年公示公告
东自然资规告示[2019]69号
东阳市江北街道永久小区金家庄区块(危旧房整治改造)2017-2026年由东阳市规划建筑设计院设计完成。于2018年10月17日—2018年11月15日进行了第一次公示,公示期间收到村公示意见并进行了修改完善,现按规定程序将修改后的规划方案分别在东阳市政府网站(www.dongyang.gov.cn)、江北街道办事处以及金家庄公示栏予以公示,征求广大群众的意见。如对本规划方案有意见或建议的,请在公示期内以书面形式向江北街道办事处或市自然资源和规划局规划编审科反馈。
公示时间:2019年12月5日—2020年1月3日
联系地址:江北街道办事处
东阳市自然资源和规划局规划编审科307
联系电话:86667589(江北街道办事处)
86655213 (规划编审科)
东阳市自然资源和规划局
2019年12月5日
来源:东阳自然资源和规划




