
围绕农业兴旺发达、农村人人向往、农民安居乐业的乡村建设目标要求,坚持规划先行,打造新时代美丽乡村,近日,又有一部分镇乡街道村庄规划改造设计方案公示,有你们村吗,快跟着一起来看看吧~~
东阳市千祥镇甘棠村下甘棠自然村村庄
规划局部调整公示公告
[东村规字(2020)局调116号]
东阳市千祥镇甘棠村下甘棠自然村村庄规划局部调整方案已由东阳市规划建筑设计院修改完成,现按规定程序将此规划调整方案进行公示。若对本规划调整有异议的,请在公示期内以书面形式向东阳市千祥镇政府或东阳市城乡规划处反馈;若无异议的,将按法定程序报经审批后实施。
公示时间:2020年6月5日至2020年7月5日。
东阳市千祥镇政府联系电话:86446200;
东阳市城乡规划处联系电话:86633943。
千祥镇人民政府
东阳市城乡规划处
2020年6月5日
(图片点击可放大)
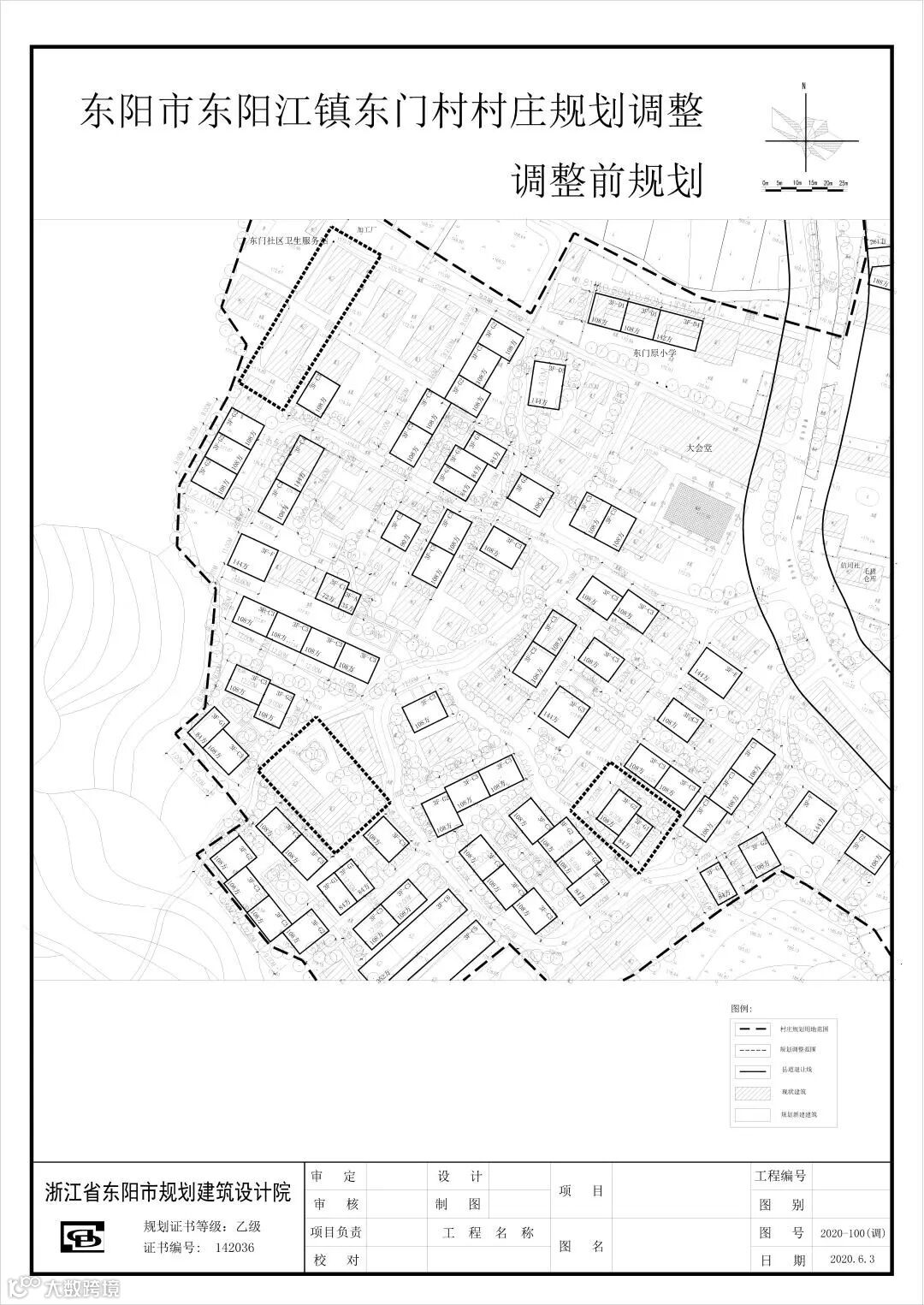
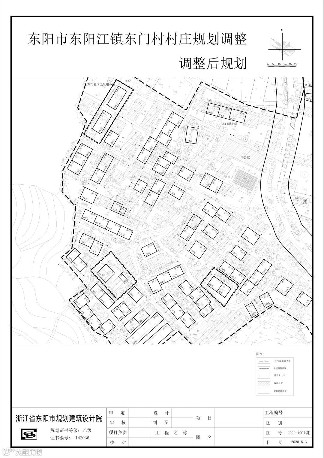
东阳江镇东门村村庄规划局部调整
公示公告
[东村规字(2020)局调117号]
东阳江镇东门村村庄规划局部调整方案已由东阳市规划建筑设计院修改完成,现按规定程序将此规划调整方案进行公示。若对本规划调整有异议的,请在公示期内以书面形式向东阳江镇政府或东阳市城乡规划处反馈;若无异议的,将按法定程序报经审批后实施。
公示时间:2020年6月5日至2020年7月5日。
东阳市东阳江镇人民政府联系电话:86181003;
东阳市城乡规划处联系电话:86633943。
东阳江镇人民政府
东阳市城乡规划处
2020年6月5日
(图片点击可放大)
东阳市三单乡阁溪村黄阁坑自然村村庄
规划局部调整公示公告
[东村规字(2020)局调118号]
东阳市三单乡阁溪村黄阁坑自然村村庄规划局部调整方案已由东阳市规划建筑设计院修改完成,现按规定程序将此规划调整方案进行公示。若对本规划调整有异议的,请在公示期内以书面形式向东阳市三单乡政府或东阳市城乡规划处反馈;若无异议的,将按法定程序报经审批后实施。
公示时间:2020年6月5日至2020年7月5日。
东阳市三单乡政府联系电话:86130103;
东阳市城乡规划处联系电话:86633943。
三单乡人民政府
东阳市城乡规划处
2020年6月5日
(图片点击可放大)
东阳市三单乡山背村瓦窑弄自然村村庄
规划局部调整公示公告
[东村规字(2020)局调119号]
东阳市三单乡山背村瓦窑弄自然村村庄规划局部调整方案已由东阳市规划建筑设计院修改完成,现按规定程序将此规划调整方案进行公示。若对本规划调整有异议的,请在公示期内以书面形式向东阳市三单乡政府或东阳市城乡规划处反馈;若无异议的,将按法定程序报经审批后实施。
公示时间:2020年6月5日至2020年7月5日。
东阳市三单乡政府联系电话:86130103;
东阳市城乡规划处联系电话:86633943。
三单乡人民政府
东阳市城乡规划处
2020年6月5日
(图片点击可放大)
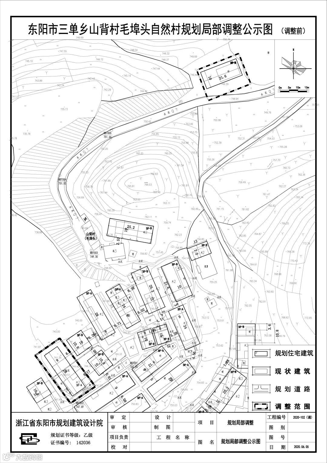
东阳市三单乡山背村毛埠头自然村村庄
规划局部调整公示公告
[东村规字(2020)局调120号]
东阳市三单乡山背村毛埠头自然村村庄规划局部调整方案已由东阳市规划建筑设计院修改完成,现按规定程序将此规划调整方案进行公示。若对本规划调整有异议的,请在公示期内以书面形式向东阳市三单乡政府或东阳市城乡规划处反馈;若无异议的,将按法定程序报经审批后实施。
公示时间:2020年6月5日至2020年7月5日。
东阳市三单乡政府联系电话:86130103;
东阳市城乡规划处联系电话:86633943。
三单乡人民政府
东阳市城乡规划处
2020年6月5日
(图片点击可放大)
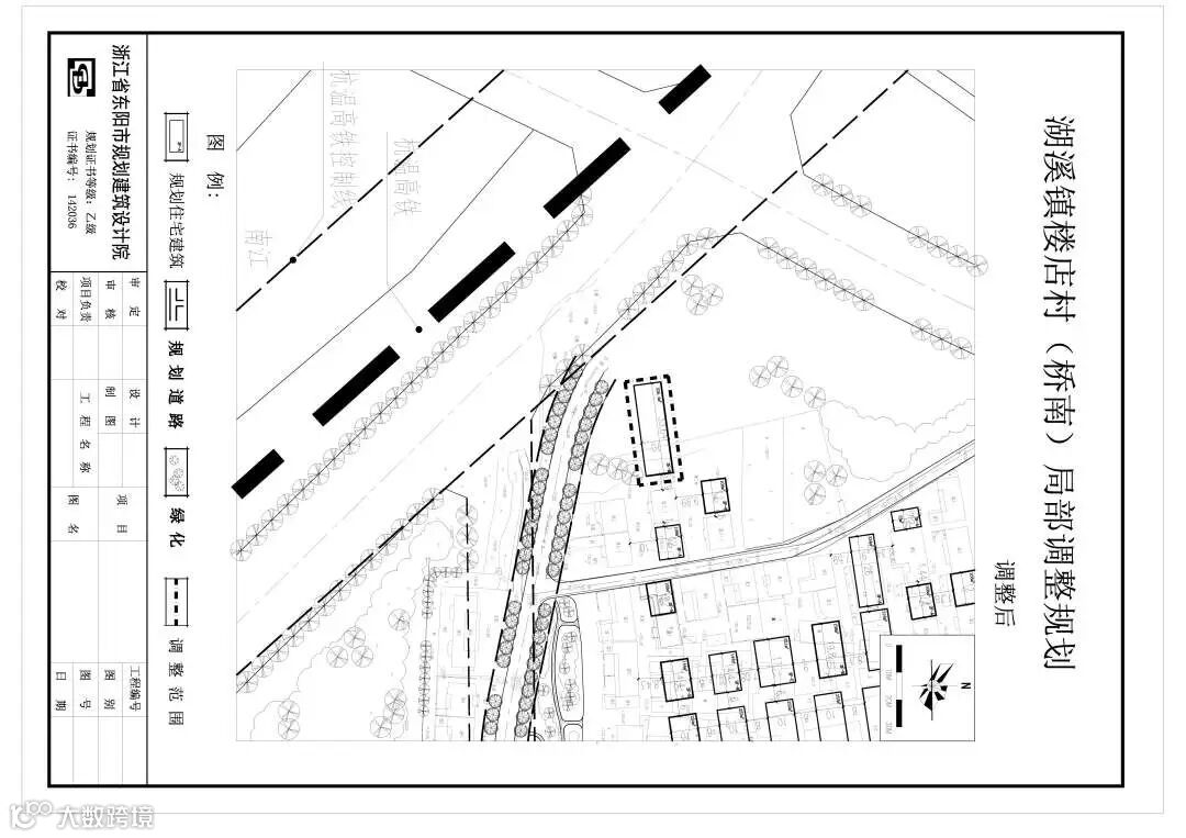
东阳市湖溪镇楼店村桥南自然村村庄
规划局部调整公示公告
[东村规字(2020)局调121号]
东阳市湖溪镇楼店村桥南自然村村庄规划局部调整方案已由东阳市规划建筑设计院修改完成,现按规定程序将此规划调整方案进行公示。若对本规划调整有异议的,请在公示期内以书面形式向东阳市湖溪镇政府或东阳市城乡规划处反馈;若无异议的,将按法定程序报经审批后实施。
公示时间:2020年6月5日至2020年7月5日。
东阳市湖溪镇人民政府联系电话:86610003;
东阳市城乡规划处联系电话:86633943。
湖溪镇人民政府
东阳市城乡规划处
2020年6月5日
(图片点击可放大)
东阳市南马镇双峰村金院自然村村庄规划局部
调整方案公示公告
[东村规字2020-112号]
东阳市南马镇双峰村金院自然村村庄规划局部调整方案由东阳市规划建筑设计院设计完成。现按规定程序分别在东阳市人民政府网站(www.dongyang.gov.cn)、南马镇政府以及金院自然村予以公示,征求广大群众的意见。如对本规划方案有意见或建议的,请在公示期内来信、来电形式向市城乡规划处或南马镇政府反馈。
公示时间:2020年6月4日—2020年7月4日
联系电话及地址:86015556南马镇人民政府
86633943东阳市城乡规划处
南马镇人民政府
东阳市城乡规划处
2020年6月4日
(图片点击可放大)
东阳市画水镇许宅村上宅自然村
村庄规划调整公示公告
[东村规字(2020)局调114号]
东阳市画水镇许宅村上宅自然村村庄规划调整方案已由东阳市规划建筑设计院修改完成,现按规定程序将此规划调整方案进行公示。若对本规划调整有异议的,请在公示期内以书面形式向东阳市画水镇政府或东阳市城乡规划处反馈;若无异议的,将按法定程序报经审批后实施。
公示时间:2020年6月4日至2020年7月4日。
东阳市画水镇政府联系电话:86012023;
东阳市城乡规划处联系电话:86633943。
画水镇人民政府
东阳市城乡规划处
2020年6月4日
(图片点击可放大)
东阳市画水镇画塔村方朱自然村
村庄规划调整公示公告
[东村规字(2020)局调115号]
东阳市画水镇画塔村方朱自然村村庄规划调整方案已由东阳市规划建筑设计院修改完成,现按规定程序将此规划调整方案进行公示。若对本规划调整有异议的,请在公示期内以书面形式向东阳市画水镇政府或东阳市城乡规划处反馈;若无异议的,将按法定程序报经审批后实施。
公示时间:2020年6月4日至2020年7月4日。
东阳市画水镇政府联系电话:86012023;
东阳市城乡规划处联系电话:86633943。
画水镇人民政府
东阳市城乡规划处
2020年6月4日
(图片点击可放大)
南马镇南新村南田自然村
村庄规划局部调整方案公示公告
[东村规字2020-108号]
东阳市南马镇南新村南田自然村村庄规划局部调整方案由东阳市规划建筑设计院设计完成。现按规定程序分别在东阳市人民政府网站(www.dongyang.gov.cn)、南马镇政府以及南田村予以公示,征求广大群众的意见。如对本规划方案有意见或建议的,请在公示期内来信、来电形式向市城乡规划处或南马镇政府反馈。
公示时间:2020年6月2日—2020年7月2日
联系电话及地址:
86015556南马镇人民政府
86633943东阳市城乡规划处
南马镇人民政府
东阳市城乡规划处
2020年6月2日
(图片点击可放大)



