

湖溪镇上红湖村红山自然村
村庄规划局部调整公示公告
[东村规字(2022)局调28号]


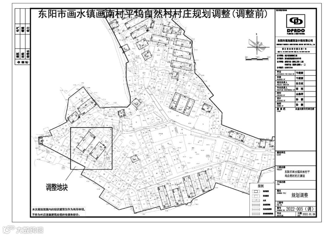
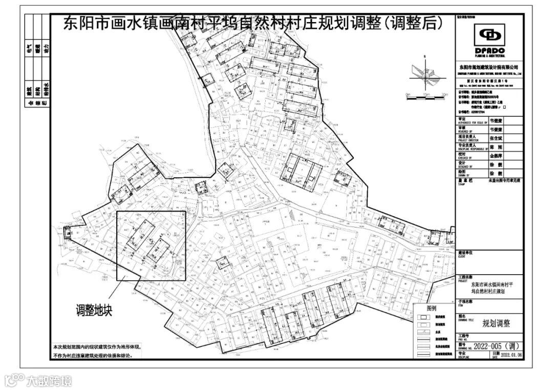
画水镇画南村平坞自然村
村庄规划局部调整公示公告
[东村规字(2022)局调29号]


湖溪镇溪南村里村自然村
村庄规划局部调整公示公告
[东村规字(2022)局调30号]

南马镇防军村小东陈自然村
村庄规划局部调整公示公告
[东村规字(2022)局调31号]


号外!号外!
我们有粉丝群啦
加入我们,发现东阳趣事
不定期发放粉丝福利
举办有趣的线下活动
你也一起来玩呀
🔔🔔🔔
(添加好友小编会拉你进群)
end
来源 | 东阳自然资源和规划
校对 | 阿森 Zero
版权归原作者所有,如有侵权请及时联系我们

