
2019年6月19日,惠阳再次出让2宗商业用地,这也是今年内惠阳出让的第3、4宗地块。当天皆由惠州市铨亿化工有限公司底价竞得,成交金额一共2180万元,折合平均楼面价约4813元/㎡,未产生溢价。
据查询,惠州市铨亿化工有限公司于2017年3月28日成立,注册资本1500万美元,法定代表人为黄右昌。经营范围包括:生产和销售化工产品(不含危险化学品)。

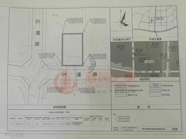
惠阳当天出让的2宗地块紧挨在一起,挂牌编号分别为GP2019-005、GP2019-006,皆位于惠阳区永湖镇福地村地段,占地面积共2513㎡,规划建筑面积共4523.4㎡,土地使用年限为40年,容积率为≤1.8。
其中,GP2019-005地块竞拍起始价为857万元,增价幅度为10万元。GP2019-006地块竞拍起始价为1323万元,增价幅度为15万元。当天皆底价成交,成交楼面价分别为4785元/㎡、4842元/㎡。

GP2019-005/GP2019-006地块现状图
2宗地块权利清晰,安置补偿落实到位,没有法律经济纠纷,具备动工开发所必须的其他基本条件,采用网上公开挂牌方式出让。当前地块现状为五通一平,即用地红线外通路、通水、通电、通讯、通排水,红线内已平整。
此外,机动车停车位配建标准也有明确规定,住宅、商业按每100㎡计容建筑面积≥1.0个,且住宅须执行10%建成充电设备,90%预留用电负荷和设备用房的配置标准。

GP2019-005地块规划控制图

GP2019-006地块规划控制图
从地块位置图可知,2宗地块所处位置毗邻惠城三栋镇,周边众多工业园环绕,区域内有惠莞高速、惠大高速等高速公路途经,临近项目有中洲理想仓、中交香颂花园、碧桂园逸泉山庄、香山美墅等,当前中洲理想仓2栋建面26-60㎡非毛坯公寓在售,均价10500元/㎡。
1.买房必看!惠州全市182个主售楼盘6月报价曝光 博罗X项目价格最低……
2.15盘新增供应2806套 领地兰台府/御水龙庭/梵高的花园10067元/㎡起……
3.三连跌!上周惠城新房网签309套下滑15.8% 周冠军系水口热盘


